Hallo zusammen,
hier nun das schon angekündigte Finale furioso. Erdzungen am laufenden Band. Während unserer Exkursion haben wir uns langsam gesteigert. Gab es an der ersten Stelle nur drei kleinere Grüppchen mit Zungen, wuchsen am nächsten Splitterschutzwall dann Erdzungen en masse. Danach waren wir dann quasi so gesättigt, daß die Erdzungen am dritten Standort fast schon komplett ignoriert wurden.
1. Glutinoglossum glutinosum. Flutscht schön zwischen den Fingern und ist damit schon im Feld ansprechbar
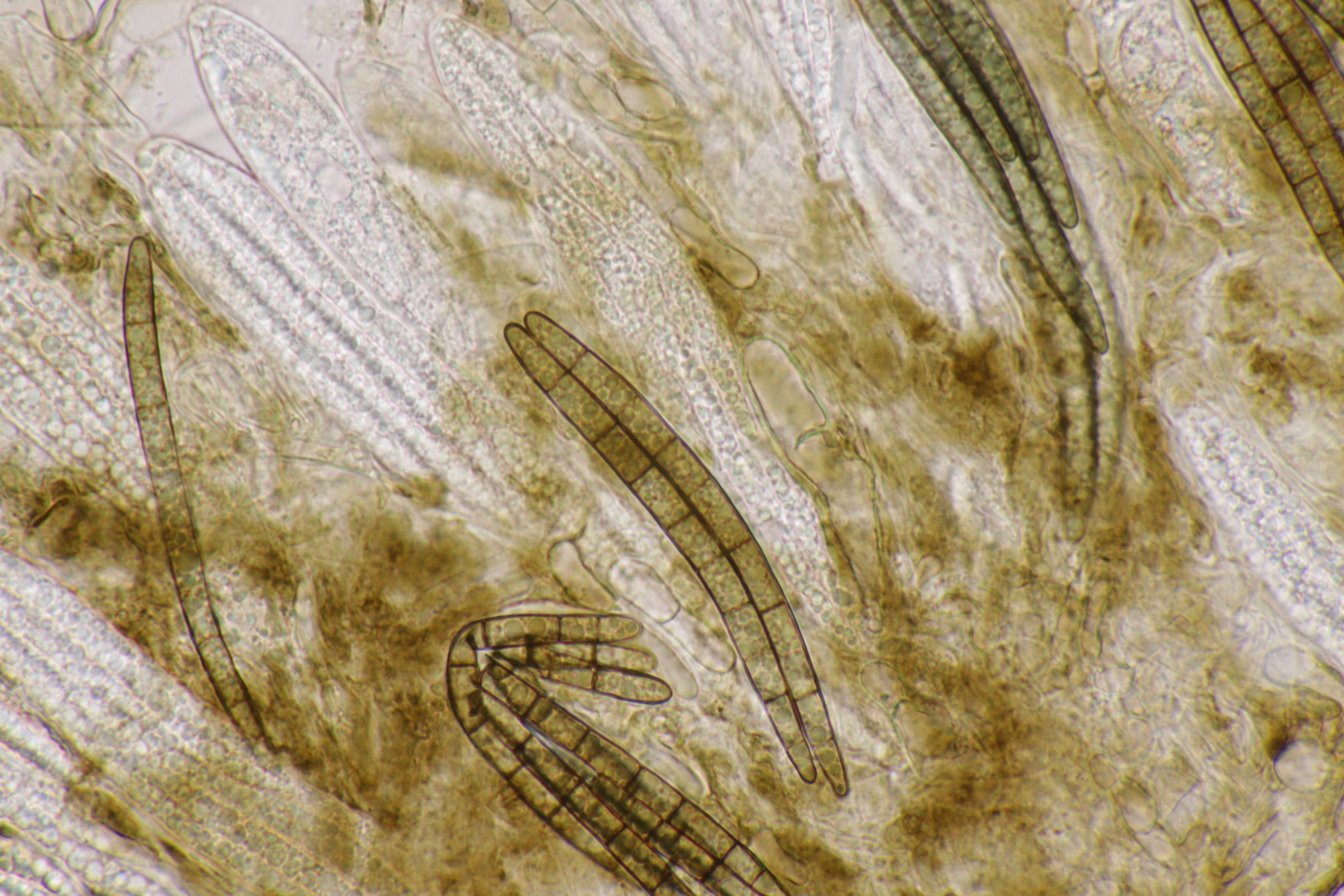
2. Hier messen die Sporen 55-71 µm, im Mittel 62 µm und sind siebenfach septiert. Die Paraphysen sind zylindrisch und das letzte Glied ist keulig verdickt. Da würde ich dann Geoglossum umbratile dranschreiben wollen.
3. Hier messen die abgeworfenen Sporen 70-83, im Mittel 77 µm und sind unseptiert. Damit landet man dann bei Geoglossum fallax. Bei dem, was Roobeek unter Geoglossum elongatum versteht, wären die Sporen kleiner.
4. Auch wieder unseptierte Sporen im Abwurf, diesmal 73-91 µm, im Mittel 84 µm, also auch Geoglossum fallax
5. Und zum dritten Mal unseptierte Sporen im Abwurf mit 69-90 µm, im Mittel 81 µm, also wieder Geoglossum fallax
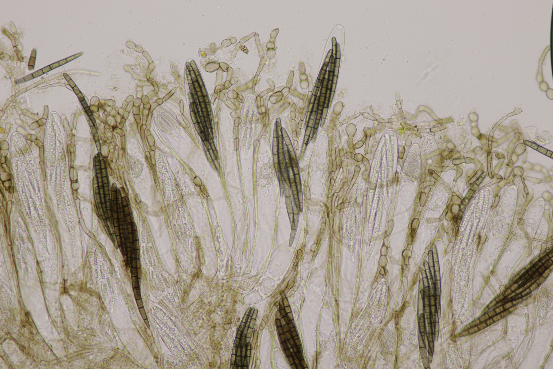
6. Jetzt wird es aber mal Zeit für etwas Neues. Sporen messen 61-77 µm im Mittel 69 µm und sind siebenfach septiert. Die Paraphysen sind moniliform, so daß wir es hier mit Geoglossum cookeanum zu tun haben.
7. Diese kleine Gruppe hatte ich offenbar nicht eingesteckt.
8. Zum krönenden Abschluß dann noch die Erzunge mit den längsten Sporen: 129-146 µm, im Mittel 140 µm und fünfzehnfach septiert. Dazu noch mit hübschen Setae ausgestattet: Trichoglossum hirsutum.
Björn
