Hallo zusammen,
Karl hatte heute ja schon einen ersten Fund von der gestrigen Eifeltour gezeigt, hier kommt jetzt ein erster, etwas längerer Beitrag von mir von der grandiosen Tour mit Karl W, nobi_†, Rada, melanieoderimmer und Rainer. Den Anfang machten zwei Wiesen mit jeder Menge Orchideen und Arnika
1. Dactylorhiza fuchsii
2. Pseudorchis albida
3. Arnica montana
4. Pseudorchis albida
5. Dactylorhiza fuchsii
6. Platanthera chlorantha
7. Aculepeira ceropegia
8. Arnica montana
9. Pedicularia sylvatica
10. Arnica montana
11.
12. Aporia crataegi
13. Coeloglossum viride
14. unbekannte Raupe
15. Himantoglossum vhircinum
16. Epipactis atrorubens
17. Ophyris insectifera
18. Anacamptis pyramidalis
19. Es gab aber auch Pilze! Calocybe carnea
20. Clitocybe squamulosa
21. Russula delica agg.
22. Boletus reticulatus
23. Tricholomopsis rutilans
24. Suillellus mendax
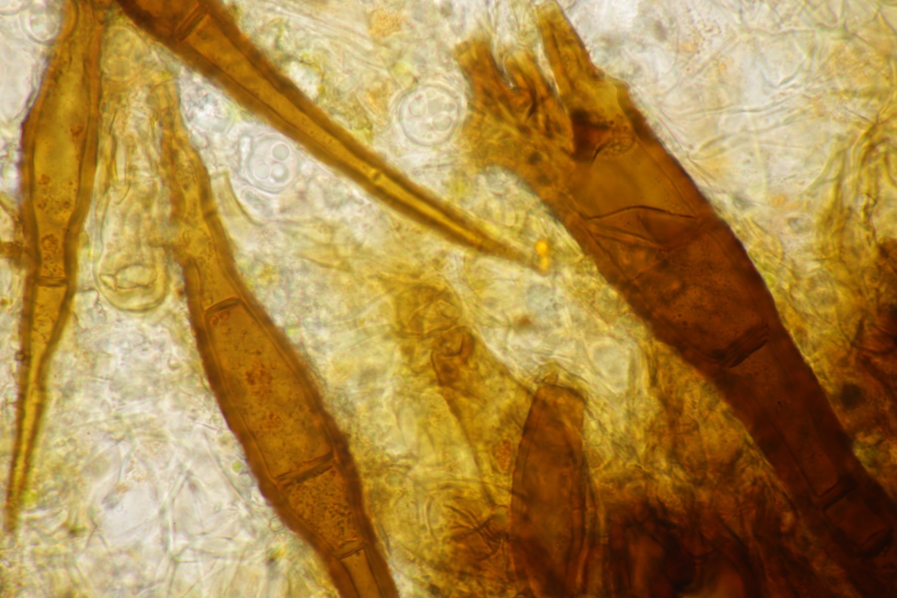
Huthaut
Röhren
Stiel
Sporen (13.6+-0.6) µm x (5.0+-0.2) µm, Q=2.7+-0.2
25. Ramaria flavosalmonicolor
26. Auf der Tour hatte ich noch gewitzelz, daß ich nur noch rundsporige Scutellinias einpacken werde. Gesagt getan, aus einer Treckerspur habe ich Scutellinia trechispora mit nach Hause gebracht.
Björn
