Hallo zusammen,
hier kommt mal eine Zusammenstellung meiner Pilzfunde der letzten Tage. Den Anfang machen zwei Funde aus dem Bottroper Rotbachtal:
1. Brunnipila fuscescens auf alten Buchenblättern
2. Trochila iliicina an alten Ilex-Blättern
Weiter geht es mit einem Fund von den Rheinwiesen in Duisburg-Neuenkamp:
3. Puccinia allii ex Allium sp.
Es folgen Funde aus dem Botanischen Garten Duisburg
4. Septoria apiiicola ex Apium graveolens
5. Puccinia menthae ex Mentha sp.
6. Neoerysiphe galii ex Galium odoratum
7. Erysiphe buhrii ex Silene dioica
8. Albugo candida s.l. ex Lunaria annua
9. Phragmidium rubi-idaei ex Rubus idaeus
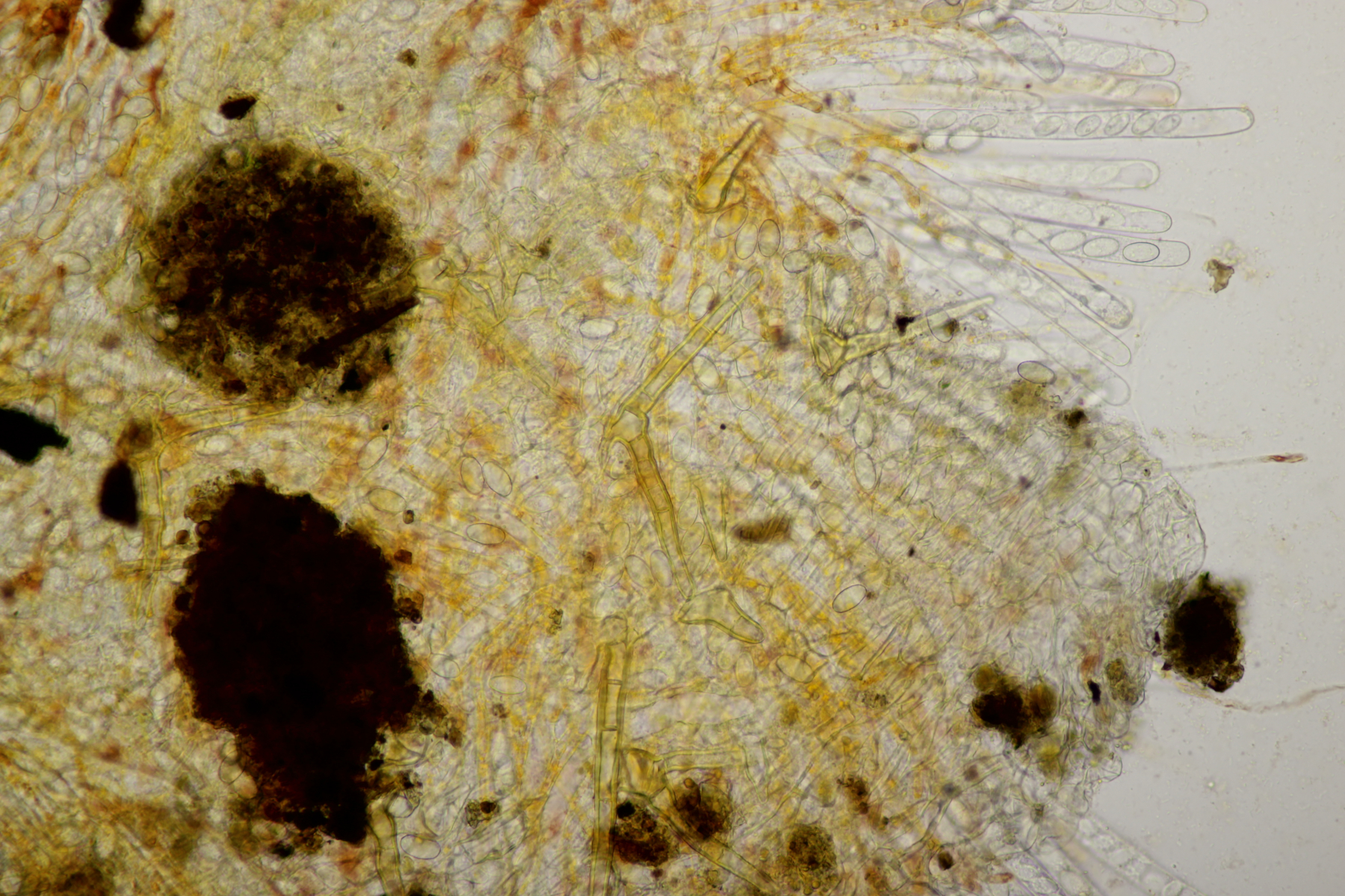
Und zum Schluß noch etwas aus dem Duisburger Stadtwald:
10. Ist das eine sehr kurzhaarige Scutellinia? Oder doch etwas anderes? Wuchs direkt auf der Erde an einer offenen Stelle.
