Hi alle miteinander,
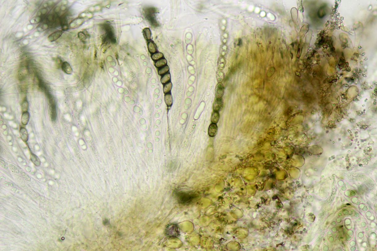
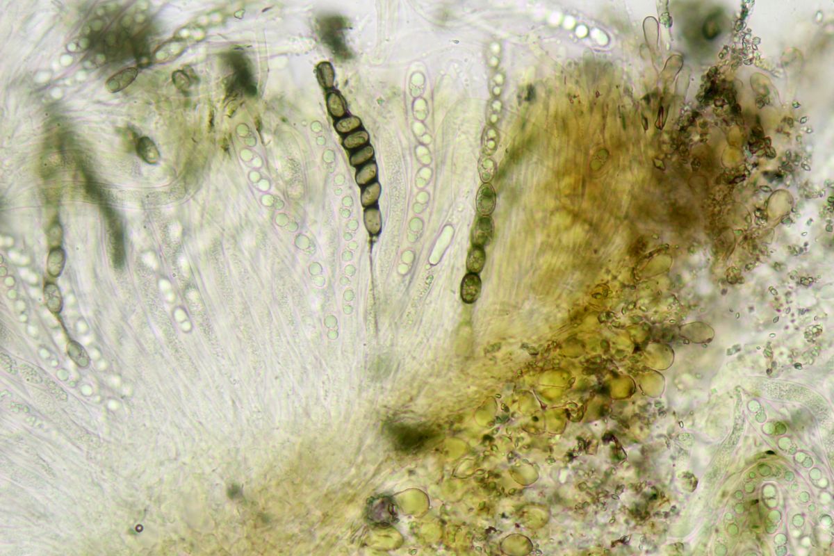
habe kürzlich ein Becherchen namens Velutarina ruf-olivacea von Torsten Richter zugeschickt bekommen. Die Art ist wohl nicht sonderlich selten, aber hier ist das Substrat bemerkenswert: Artemisia vulgaris. Meist findet man die Velutarinas an Brombeere oder verschiedenen anderen Hölzern.
Zudem ist das die mit Abstand schönste Kollektion, die mir bislang untergekommen ist. Es waren alle erdenklichen Reifegrade dabei. Da die Art zudem sehr vielfältige Mikromerkmale hat, wurde die Fotosession diesmal etwas länger:
Viele Grüße,
Matthias
