unbekannter corticioider Pilz

Es gibt 19 Antworten in diesem Thema, welches 1.594 mal aufgerufen wurde. Der letzte Beitrag () ist von Wolfgang P..

  • Hallo zusammen,


    am 13.11.2025 habe ich einen corticioiden Pilz auf Laubholz gefunden, den ich nicht einmal der Gattung nach zuordnen kann. Makroskopisch sieht er so aus:



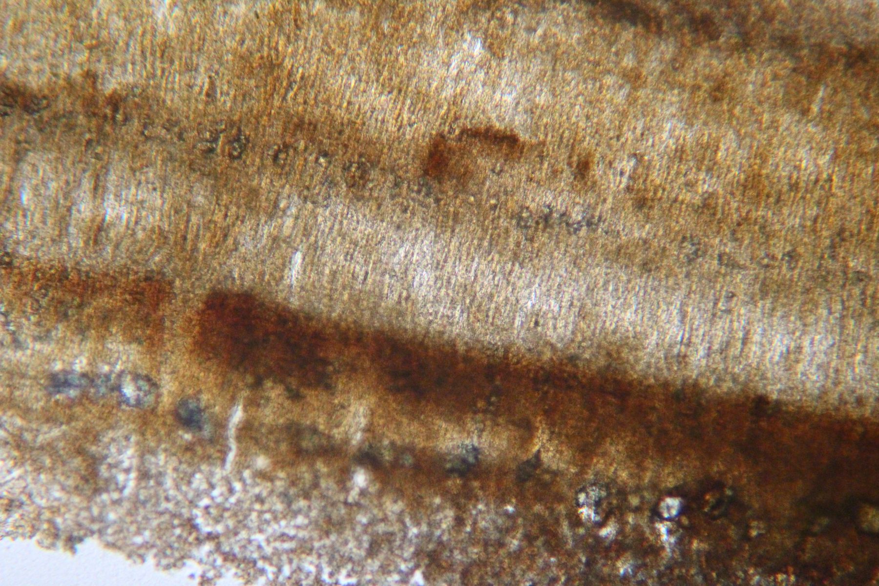
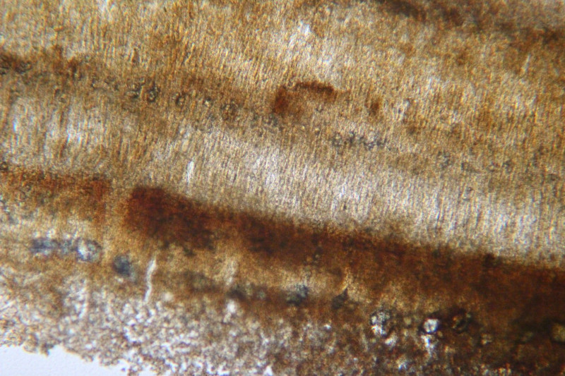
    Aufgrund der leichten rötlichen Verfärbungen auf der Unterseite dachte ich erst, das Exemplar könnte gloeoplere Hyphen enthalten. Zwar konnte ich Hyphen mit tropfenförmigen Inhalt finden, allerdings waren diese in zu geringer Anzahl, nicht um Vaukolen angeordnet und auch nicht mit Sulfovanillin verfärbend:



    Die generativen Hyphen sind septiert, aber ohne Schnallen:



    Zudem gibt es noch einen weiteren, dickwandigeren Hyphentyp, den ich für Skeletthyphen halte. Diese kommen sowohl in transparenter Form als auch mit braunem Inhalt vor:




    Aus diesem Grund gehe ich von einem dimitischen Hyphensystem aus. Die Basidien sind viersporig und keulenförmig:



    Basalschnallen tragen sie nicht:



    Das Hymenium sieht unauffällig aus und enthält scheinbar keine sterilen Elemente:



    Hier noch ein Bild vom Subhymenium:



    Die Sporen sind ellipsoid und leicht gebogen, dünnwandig, glatt und mit gut erkennbarem Apiculus:



    Sporenmaße: 9,5 ± 0,8 µm × 4,1 ± 0,5 µm, Q̄ = 2,4 ± 0,3

    Reichweite: 8,4–11,7 µm × 3,4–5,3 µm, Q = 1,8–3,1

    n = 25


    Eine amyloide Reaktion unter dem Mikroskop konnte ich nicht erkennen, allerdings habe ich auch nicht mehrere Sporen übereinander gelagert beobachten können.


    Was den Aufbau der Schichten betrifft, kann ich diese Bilder anbieten:



    Zu guter Letzt habe ich in meinen Queschpräparaten zusätzlich diese Strukturen gefunden, die ich nicht weiter zuordnen kann:



    Auch nach stundenlangem Schlüsseln komme ich nicht einmal auf eine Gattung. Kann hier jemand Abhilfe schaffen, oder zumindest die dunkel gefärbten Skeletthyphen sowie die Tröpfchen in den generativen Hyphen erklären?


    Ich freue mich auf eure Antworten!


    Herzliche Grüße,

    Vitus

  • Hallo Vitus,


    ich hätte den Pilz rein makroskopisch bei Stereum rugosum verortet (hat der Pilz im frischen Zustand beim Kratzen gerötet?). Da müßten dann mikroskopisch noch Acanthozystiden zufinden sein.


    Björn

  • Hallo Björn,


    danke dir für deine Antwort! An Stereum rugosum hatte ich auch schon gedacht: das Verwachsen mit dem Substrat, die Farbe des Hymeniums und die leicht rötliche Verfärbung passen – auch die Sporenform und -größe. Unglücklicherweise habe ich im frischen Zustand nicht daran gekratzt, im getrockneten Zustand tut sich beim Kratzen nichts.


    Mikroskopisch gesehen passt zu Stereum rugosum zu meiner Verzweiflung leider einiges nicht. Neben den von dir erwähnten Acanthozystiden, die ich in keinem meiner Präparate finden konnte, sehe ich noch die folgenden Probleme (Infos aus Eriksson et al., 1984, p. 1429 entnommen):

    1. Auch Acutozystiden fehlen.
    2. Pseudozystiden mit öligem Inhalt, die mit Sulfuvanillin reagieren, fehlen.
    3. Das Hyphensystem von Stereum-Arten ist monomitisch, ich glaube aber Skeletthyphen gefunden zu haben (irre ich mich vielleicht?).

    Zudem sind die Sporen von Stereum-Arten amyloid, allerdings kann ich das, wie oben beschrieben, nicht sicher ausschließen. Da das der erste corticioide Pilz ist, den ich mikroskopiere, kann ich mit all meinen Zweifeln jeodch völlig daneben liegen!


    Herzliche Grüße,

    Vitus


    Literatur:

    Eriksson, J., Hjortstam, K., & Ryvarden, L. (1984). The Corticiaceae of North Europe 7: Schizopora – Suillosporium. Fungiflora.

  • Servus Vitus,


    Skeletthyphen haben keine Septen und sehr stark verdickte Wände. Die Hyohen, die du zeigst, haben Septen, sind also mehrzellig und die Wände sind nicht extrem verdickt. Insofern: monomitisch.


    Liebe Grüße,Christoph

  • Hallo Vitus,


    die dickwandigen Objekte, die du als Skeletthyphen interpretiert hast, würde ich für die Pseudozystiden halten. Die sollten aber nicht mit SV reagieren, zumindest kann ich dazu in ter Literatur nichts finden. Die Acanthozystiden sind leicht zu übersehen, da kannst du noch mal versuchen stärker zu quetschen, bis das Präparat wirklich einem Schlachtfeld gleicht und überall flach und zerstreut die diversen Pilzbestandteile verteilt sind.


    Björn

  • Hallo, ihr beiden!


    Danke für eure fixen Antworten. Tricholomopsis: Nur für mein Verständnis: Ich bezeichne ja zwei Arten von Objekten als „Hyphen“. Die, die ich als „dickwandigeren Hyphentyp“ bezeichne, hatten keine mir ersichtlichen Septen, auch auf den Bildern kann man keine erkennen. Beziehst du dich mit deiner Antwort auch auf diese Objekte? Ich hatte bisher noch nie eine Skeletthyphe unter dem Mikroskop und habe mich an Zeichnungen aus der Literatur sowie an diesem Forumpost orientiert.


    boccaccio Ich versuche mal, meinen Gedankengang transparent zu machen. Vielleicht wird dadurch mein möglicher Fehler erkennbar. Larsson & Ryvarden, 2021, p. 18 schreiben:

    Zitat
    Gloeoplerous hyphae (fig. 4c) occur only in species belonging to Russulales. The contents of gloeoplerous hyphae is usually oily or grainy and sometimes weakly yellowish (compare gloeocystidia). The bleeding reaction in some Stereum species and in Gloiothele lactescens depends on the gloeoplerous hyphae.

    Jetzt ist das Problem, wie man das „some“ liest. Ich sehe hier zwei Interpretationen:

    1. Einige Stereum-Arten zeigen eine Blutungsreaktion, und alle Stereum-Arten, die eine solche Reaktion zeigen, hängen von gloeopleren Hyphen ab.
    2. Einige Stereum-Arten zeigen eine Blutungsreaktion, und einige Stereum-Arten, die eine solche Reaktion zeigen, hängen von gloeopleren Hyphen ab (aber einige andere nicht).

    Ich muss zugeben, dass ich beim Lesen direkt (1) verstanden habe und erst jetzt bei erneutem Lesen auch die zweite Interpretation sehe. Wir gehen nun aber zunächst davon aus, dass (1) zutrifft, damit ich meinen Gedankengang weiterführen kann. Beenken, 2004, p. 323 schreibt:

    Zitat
    Lichtmikroskopisch sieht man in den gloeopleren Elementen kleine lichtbrechende Tröpfchen (ca. 1–2 μm im Durchmesser), die um große kugelige Vakuolen angeordnet sind […]. Mit Sulfobenzaldehyden, z.B. Sulfovanillin, fließen diese Tröpfchen zusammen und verfärben sich dunkelbraun bis blauschwarz […]. […] Diese bei den Russulaceae gemachten Beobachtungen finden sich auch an den gloeopleren Elementen anderer Mitglieder der Russulales.

    Zum Verständnis habe ich mir den folgenden Zeichnungs-Mikrovergleich von gloeopleren Hyphen gemacht:



    Da Stereum Teil der Stereaceae ist und diese den Russulales zuzuordnen ist, war mein Gedankengang nun folgender:

    1. Wenn es sich beim betrachteten Exemplar um eine rötende Stereum-Art handelt, muss sie gloeoplere Hyphen enthalten.
    2. Gloeoplere Hyphen haben öligen Inhalt und verfärben sich mit Sulfovanillin.
    3. Einige betrachteten Hyphen haben tröpfchenförmigen Inhalt, aber keine verfärbt sich mit Sulfovanillin.
    4. Also enthält das betrachtete Exemplar keine gloeopleren Hyphen.
    5. Also handelt es sich nicht um eine rötende Stereum-Art.

    Wenn ich die Stelle mit der Blutungsreaktion falsch verstehe, bricht das Kartenhaus allerdings schon zusammen. Vielleicht habe ich aber auch einen anderen Fehler im Gedankengang?


    Wenn es sich bei den dickwandigeren Objekten um Pseudozystiden handelt, müssten diese ja „with oily content“ (Eriksson et al., 1984, p. 1429) sein, sie haben aber teils einen bräunlichen Inhalt, teils keinen (sichtbaren), deshalb bin ich mir hier noch etwas unsicher. Womöglich kann man gloeoplere Hyphen aber auch als Pseudozystiden deuten? Pseudozystiden sind ja keine echten Zystiden, sondern eigentlich Hyphen. Auch hier äußere ich aber nur vage Vermutungen.


    Was die Acanthozystiden betrifft, mache ich gleich noch einmal ein Schlachtfeld-Präparat und suche weiter. In der Literatur stand „Acanthocystidia easily observed“, vielleicht ist diese Einschätzung ja etwas zu optimistisch. Außerdem suche ich gleich mal nach einem Stereum-Exsikkat und mikroskopiere das zum Vergleich. Vielleicht wird mir dadurch ja einiges klarer.


    Mein Kopf ist gerade kurz vor’m Qualmen, ich lerne gerade aber sehr viel. Vielen Dank, dass ihr euch die Zeit nehmt!


    Herzliche Grüße,

    Vitus


    Literatur:

    Beenken, L. (2004). Die Gattung Russula: Untersuchungen zu ihrer Systematik anhand von Ektomykorrhizen. Ludwig-Maximilians-Universität München.

    Eriksson, J., Hjortstam, K., & Ryvarden, L. (1984). The corticiaceae of north europe 7: Schizopora – Suillosporium. Fungiflora.

    Larsson, K.-H., & Ryvarden, L. (2021). Corticioid fungi of europe. volume 1: Acanthobasidium - Gyrodontium. Fungiflora.

  • Hallo Vitus,


    zunächst mal zu den Gloeohyphen (gleiches gilt aber auch für Gloeozystiden): Die können eine positive SV-Reaktion haben, müssen es aber nicht. Wenn du z.B. bei Bernicchia in den Peniophora-Schlüssel schaust, wird dort in Schritt 14 gefragt, ob die Gloeozystiden SV+ oder SV- sind. (Nebenbemerkung: Laut Bernd Oertel sind alle Russulales mit SV+ Gloeozystiden scharf, weil der entsprechende Inhaltsstoff positiv reagiert).


    Zu den "Gloeohyphen" von Stereum konnte ich in der Literatur keine konkrete Aussage zum SV-Verhalten finden, ich gehe dann aber eher davon aus, daß es dort keine Reaktion gibt. Ich habe hier Gloeohyphen mal in Anführungszeichen gesetzt, weil Bernicchia z.B. schreibt "the conducting hyphae, functionally or not, seem to be homologous to the gloeoperous hyphae present in the rest of the russuloid lineage" und in den CoNE nur von "oleiferous pseudocystidia" die Rede ist. Wenn ich mir meine eigenen Mikrobilder von Stereum anschaue, sehe ich da auch nichts, was den typisch öligen Inhalt von echten Gloeohyphen/zystiden hat. Was ich dort aber sehe, sind genau die dickwandigen Pseudozystiden, die aus langen, scheinbar unseptierten Hyphen entspringen (ob das Skeletthyphen sind oder nicht, scheint Interpretationssache zu sein: CoNE schreibt, daß Stereum monomitisch ist, bei Bernicchia ist Stereum dimitisch). Teilweise sind die Pseudozystiden in meinen Präparaten mit braunem Inhalt gefüllt, in den anderen Fällen aber nicht. Ich kann mir vorstellen, daß da auch das Alter des Fruchtkörpers eine Rolle spielt.


    Stereum rugosum mit Füllung


    Stereum sanguinolentum ohne Füllung (bzw. ganz recht mit einer gefüllten Zystide)


    Björn

  • Servus Vitus,


    ich sehe auf deinen Mikorfotos keine Strukturen, die für mich Skeletthyphen sein könnten. Björns Fotos zeigen deutlich dickwandigere Hyphen als ich sie auf deinen Fotos sehe, aber auch da kann ich es nicht wirklich beurteilen, weil man ja nur einen Ausschnitt der Hyphe sieht, der zu kurz ist. Ich bin sicher, dass sich auch bei den Elementen Septen fnden lassen und die Trama nicht dimitisch ist.


    Das ist übrigens nicht trivial. Phellinus gilt klassisch als dimitisch, dabei findet man auch hier in den skelettisierten Elementen Septen (nur da schnallenlos, unauffällig). Also eher pseudodimitisch. Ist aber ein anderes Thema. Ich will nur sagen, dass Stereum nur mit Erfahrug als klar monomotisch erkannt wird.


    Zu den amyloiden Sporen – ich gebe zu, dass ich bei Stereum noch gar nicht Sporenamyloidität im Mikroskop geprüft habe. Schwache Amyloidie kann man leicht übersehen. Sporenpulbe rmakroskopisch, wie Björn schon schrieb, ist klarer. Ich muss unbedingt mal einen Schichtpilz mit Melzers anschauen und Fotos von den Sporen machen... (kommt auf die To Do-Liste).


    Das meiste ja Björn ja schon ausführlich kommentiert. ;)


    Liebe Grüße,

    Christoph

  • Hallo zusammen!


    Ich habe von der mikroskopischen Thematik wenig Ahnung, lese den Beitrag aber durchaus mit Interesse.

    Also mir geht es wie Björn, und makroskopisch wäre ich bei Stereum rugosum trocken oder gefriergetrocknet.


    Eine Aufnahme vom Substrat und Fundort gibt es wohl nicht?

    Erfahrungsgemäß ist das m.M.n. ein mehrjähriger Fruchtkörper, und wo die wachsen ist noch eine sehr große Substratfläche vom Pilz bedeckt, wahrscheinlich resupinat an einem Stamm/Stämmchen herablaufend.

    Unglücklicherweise habe ich im frischen Zustand nicht daran gekratzt, im getrockneten Zustand tut sich beim Kratzen nichts.

    Lass ihn doch einfach wieder aufleben, indem du ihn mit was feuchtem zusammensperrst, dann klappt das auch mit dem Rotwerden wieder beim Ankratzen.

    Denk ich zumindest.


    VG Ingo W

    ________________________________________________________________
    "Pilz nur von oben ist wie Käfer nur von unten"

    145-15 (Teilnahme APR 2023) = 130+3 (10. Platz) = 133+3 (Unbewusst-Phal) = 136+5 (Lupus-Wette-APR-Sieger=ü300) = 141+5 (GnE-Gewinnsteuer-APR23) = 146+7 (Phalplatz 1) = 153-20 (Teilnahme APR 2024) = 133+5 Honorar APR = 138+8 (APR-Treppchenwette 2.Pl.) = 146+4 (APR-Früh-Joker-Bonus 1.Pl.) = 150+15 (Phalprämierung 2. + 5. Pl) = 165-20 (Teilnahme APR 2025) = 145+4 (8. Pl. APR2025) = 149+3 (GnE-Prozent-Gewinnabstaube) = 152+9 (2.Platz Phalprämierung) = 161


    Link: Gnolmengalerie

    Link: Auflösung APR 2025

    Link: Nanzn 2025

    Link: APR 2025

  • Hallo ihr drei,


    danke euch für eure Rückmeldungen! boccaccio: Deine Mikro-Bilder haben mich jetzt restlos überzeugt, dass es sich um Stereum rugosum handelt – danke dafür! Bei Miggel, 2008 habe ich gestern noch gelesen, dass man rötende Stereum-Arten im getrockneten Zustand einfach anfeuchten und dann ankratzen kann. Allein das Anfeuchten hat schon eine sehr deutliche Rötungsreaktion hervorgerufen:



    Das ist genau der Vorschlag, den du gemacht hast, Ingo W! Ich wusste nicht, dass das möglich ist. Im Übrigen habe ich auch versucht, einem Exsikkat von Stereum subtomentosum durch Anfeuchten eine gelbe Druckreaktion zu entlocken, allerdings hat das nicht funktioniert.


    Trotz (oder gerade wegen?) der Tatsache, dass die Bestimmung nun eindeutig ist, sind bei mir einige Baustellen offen. Um das zusammenzufassen:

    1. Das obige Zitat von Beenken, 2004 behauptet, dass die Sulfovanillinreaktion mit allen gloeopleren Elementen positiv ist, dabei stimmt das weder für Zystiden noch für Hyphen. Dann ist das wohl falsch!
    2. Stimmt die Aussage von Larsson & Ryvarden, 2021, p. 18, dass gloeoplere Hyphen in rötenden Stereum-Arten für das Röten verantwortlich sind, nun? Wenn ja, muss es ja sulfovanillin-negative gloeoplere Hyphen bei Stereum rugosum geben – aber welche? Wie sehen sie aus?

    Zu guter Letzt gibt es bei mir Verwirrung bezüglich der Zystiden – auch hier scheint sich die Literatur zu widersprechen. Zum Vergleich zunächst Eriksson et al., 1984, p. 1429:

    Zitat
    1. Pseudocystidia thick-walled, except for in the apical part, slightly projecting, smooth, more or less constricted, hyaline to yellowish, with oily content, 5–12 µm wide, usually more than 100 µm long.
    2. Acanthocystidia easily observed, 30–35 × 3–4 µm, projecting slight above the basidia.

    Und nun Bernicchia & Gorjón, 2010, p. 640:

    Zitat
    1. Pseudocystidia thick-walled except in the apical part, obtuse to acute, often more than 100 × 3–6 μm, usually brown.
    2. Acanthocystidia slightly projecting, 30–40 × 3–5 μm.

    Hier noch die Zeichnung der Autoren:



    Ich habe gestern und heute mehrere Präparate durchsucht. Zwar konnte ich im Hymenium Pseudozystiden ≥ 100 µm finden:



    Diese waren aber nicht braun oder gelblich. Braun waren ähnliche, aber insgesamt deutlich kleinere (keins ≥ 100 µm) Gebilde:



    Aber zumindest habe ich welche gefunden und kann sie abhaken. Was die Acanthozystiden betrifft, habe ich nur nur ein einziges Bild, das gegebenenfalls eine zeigt:



    Ansonsten konnte ich nichts finden. Was denkt ihr?


    Tricholomopsis: Danke für die Erklärung zu Skeletthyphen! Ja, die Erfahrung fehlt mir noch, das Mikroskop nutze ich erst seit ca. 2 Monaten. Aber solche Einordnungen helfen ungemein! Was die Amyloidität betrifft: Ich hatte im frischen Zustand keinen Abwurf gemacht, deshalb blieb mir nichts anderes übrig, als ein Stück Exsikkat in Melzers zu geben, und da habe ich keine Amyloidität feststellen können. Oder gibt es da einen Trick, noch ein paar isolierte Sporen aus einem Exsikkat zu bekommen?


    Mir zeigt das einmal mehr, wie uneinheitliche Literatur Verwirrung bei Pilzbegeisterten stiften kann. Ich bin sehr dankbar, dass ihr mir helft, das Wirr-Warr in meinem Kopf zu ordnen!


    Herzliche Grüße,

    Vitus


    Literatur:

    Beenken, L. (2004). Die Gattung Russula: Untersuchungen zu ihrer Systematik anhand von Ektomykorrhizen. Ludwig-Maximilians-Universität München.

    Bernicchia, A., & Gorjón, P. (2010). Fungi Europaei 12: Corticiaceae s.l. Candusso.

    Eriksson, J., Hjortstam, K., & Ryvarden, L. (1984). The corticiaceae of north europe 7: Schizopora – suillosporium. Fungiflora.

    Larsson, K.-H., & Ryvarden, L. (2021). Corticioid fungi of europe. volume 1: Acanthobasidium - gyrodontium. FUNGIFLORA.

    Miggel, B. (2008). Die Schichtpilze der Gattung Stereum. Südwestdeutsche Pilzrundschau, 44(2), 49–60.

  • Hallo Vitus,


    es sieht so aus, als gäbe es unterschiedliche Definitionen von gloeopleren Hyphen bzw. Gloeozystiden. Beenken schreibt ja ganz explizit als ersten Satz auf S. 323, daß er unter gloeopleren Hyphen Elemente versteht, die mit SV positiv reagieren. Wenn man aber z.B. bei Clemencon (Anatomie der Hymenomyceten 1997) schaut, steht dort, daß Gloeozystiden mit SV manchmal reagieren.


    Zu den Stereumzystiden: Da solltest du bei der Beurteilung der Farbe zunächst mal bedenken, daß du dein Präparat mit Kongorot gefärbt hast, also die Farbe des Zellinhalts durch die Kongorote Brille betrachtest. Ansonsten haben Pilze ja immer eine gewisse Variabilität und der Inhalt der Stereum-Zystiden wird in der Praxis dann irgendwo zwischen hyalin und braun liegen. Wenn man sich deine beiden Zystidenbilder anschaut, sieht man das eigentlich ganz schön. Die eine Zystide hat einen deutlich dunkelbraunen Inhalt, die andere Zystide ist zwar nicht deutlich braun, aber hat eben auch sicher keinen farblosen Inhalt.


    Bei deinem letzten Bild denke ich nicht, daß das eine Acanthozystide darstellt. Ich habe gerade mal meine Mikrofotos von S. rugosum durchgeschaut und muß sagen, daß man Acanthozystiden zwar hier und dort erkennen kann, aber daß sie offenbar auch nicht unmittelbar ins Auge springen:


    Björn

  • Hallo Björn,


    danke für die Klarstellung der verschiedenen Definitionen von gloepleren Hyphen! Gar nicht so leicht, da durchzusteigen. Was die Farbe der Zystiden betrifft, überzeugt mich deine Kongorot-Erklärung.


    Danke dir für das Mikrobild! Diese dünneren Objekte mit teils ausgezogenem, teils spitzem Apex finde ich in größeren Mengen bei mir. Hier eine Kollektion:



    Von den Maßen her passen sie auch zur Literatur:



    Ich habe sie bisher aber nie als Acanthozystiden wahrgenommen. Sie sehen meiner Ansicht nach nicht aus wie in der oben gezeigten Zeichnung von Bernicchia & Gorjón, 2010, p. 640; Clémençon, 1997, p. 534 beschreibt sie als „apikal kurz fingerförmig verzweigte, dünnwandige, farblose, terminale Zystiden“ und zeigt diese Abbildung:



    Kurz fingerförmig verzweigt ist auf den Bildern von uns beiden aber nichts – ich sehe nur eine ausgezogene Spitze. Wie kann man sich das erklären?


    Herzliche Grüße,

    Vitus



    Literatur:

    Bernicchia, A., & Gorjón, P. (2010). Fungi Europaei 12: Corticiaceae s.l. Candusso.

    Clémençon, H. (1997). Anatomie der Hymenomyceten: eine Einführung in die Cytologie und Plectologie der Krustenpilze, Porlinge, Keulenpilze, Leistlinge, Blätterpilze und Röhrlinge = Anatomy of the Hymenomycetes. Komm. F. Flück-Wirth.

  • Hallo Björn,


    ja, mit etwas Fantasie sehe ich da auch Auswüchse. Sind die anderen Gebilde, die auf deinem Bild deutlicher zu erkennen sind und die ich auch oben zeige, denn dann auch Acanthozystiden, oder andere Elemente?


    Herzliche Grüße,

    Vitus

  • Hallo Vitus!

    Im Übrigen habe ich auch versucht, einem Exsikkat von Stereum subtomentosum durch Anfeuchten eine gelbe Druckreaktion zu entlocken, allerdings hat das nicht funktioniert.

    Wundert mich nicht. Mit dieser Reaktion beim Samtigen Schichtpilz hat man ja im frischen Zustand schon seine Probleme.

    Um das irgendwie nachvollziehen zu können braucht man Fruchtkörper im Wachsen und wenn man dann dort im weißen Zuwachs der Fruchtschicht kratzt, kann es sein, dass man es dort ein klein wenig gilben sieht.


    Gruß

    Ingo

    ________________________________________________________________
    "Pilz nur von oben ist wie Käfer nur von unten"

    145-15 (Teilnahme APR 2023) = 130+3 (10. Platz) = 133+3 (Unbewusst-Phal) = 136+5 (Lupus-Wette-APR-Sieger=ü300) = 141+5 (GnE-Gewinnsteuer-APR23) = 146+7 (Phalplatz 1) = 153-20 (Teilnahme APR 2024) = 133+5 Honorar APR = 138+8 (APR-Treppchenwette 2.Pl.) = 146+4 (APR-Früh-Joker-Bonus 1.Pl.) = 150+15 (Phalprämierung 2. + 5. Pl) = 165-20 (Teilnahme APR 2025) = 145+4 (8. Pl. APR2025) = 149+3 (GnE-Prozent-Gewinnabstaube) = 152+9 (2.Platz Phalprämierung) = 161


    Link: Gnolmengalerie

    Link: Auflösung APR 2025

    Link: Nanzn 2025

    Link: APR 2025

  • Hallo Vitus,


    schwierige Frage. Clemencon diskutiert das ein wenig und spekuliert, daß die spitzen Zystiden ohne Finger in den Stereumarten mit Acanthozystiden auch Acanthozystiden sind. Ich würde aber sagen, daß es letztlich egal ist, wie man die Dinger benennt. Wichtig ist für die Bestimmung eigentlich nur, daß man im Präparat irgendwo 1-2 Finger findet.


    Björn

  • Hallo Björn,


    danke für deine Antwort! Ich habe heute aus Neugier nun auch mal ein Exemplar von Stereum subtomentosum mikroskopiert und dort sehr ähnliche spitze Gebilde gefunden (auch wenn die Art keine Acanthozystiden hat):



    Bernicchia & Gorjón, 2010, p. 642 beschreiben Elemente mit „30–40 × 4–5 µm, with pointed apex and slightly projecting“ als „acutocystidia“. Ob das Kind nun den Namen „Acanthozystide ohne Auswüchse“ oder „Acutozystide“ trägt, ist mir im Endeffekt auch egal. Was mir allerdings nicht egal ist, ist, wie uneinheitlich die Literatur teilweise ist. Wenn ich zwei Mikrobeschreibungen ein und derselben Art lese, fühlt es sich teils so an, als würden zwei verschiedene beschrieben. Aber ich denke, ein Gefühl dafür kommt mit der Zeit. Vielen Dank für eure ganzen Beiträge, ich durfte viel von euch lernen!


    Herzliche Grüße,

    Vitus



    Literatur:

    Bernicchia, A., & Gorjón, P. (2010). Fungi Europaei 12: Corticiaceae s.l. Candusso.

  • Hallo an alle,

    m.E. kann man nur von "Acanthozystide" im Sinne der Bestimmung sprechen, wenn sie mindestens 2 Auswüchse hat. Kann sein, dass manche Elemente mit nur einem Finger histologisch das gleiche sind, aber weil es in so einem Pilz verschiedene Zellen gibt, die zufällig auch mal zugespitzt sein können, kann der Mikroskopierer diese Zellen nicht zur Bestimmung benutzen.


    Wolfgang