Beiträge von Vitus Schäfftlein

    Hallo Frank,


    danke dir für deine Einschätzung! Da die Amyloidreaktion passt, muss es wohl Amyloporia xantha oder Amyloporia carbonica sein. Dennoch traue ich mich nicht, dem Kind ohne Sporen abschließend einen Namen zu geben. Aber ganz unabhängig davon habe ich wieder viel lernen dürfen!


    Herzliche Grüße,

    Vitus

    Hallo Frank,


    erst einmal: Ich hoffe, du hattest einen schönen Urlaub! Die Infos, dass Amyloporia xantha auch rein weiß sein kann und der Geruch abhängig vom Reifegrad ist, sind schon einmal sehr hilfreich – vielen Dank!


    Dass ich keine Sporen habe, macht die Sache schwierig, ja. Leider ist der Fundort zu weit weg, um noch einmal hinzufahren und ein jetzt reiferes Stück mitzunehmen. Dass man mit dieser Grundlage aufgrund des Vorhandenseins aller Merkmale nicht auf die Art schließen kann, leuchtet mir völlig ein.


    Nun steht für mich die Frage im Raum, ob der Fund aufgrund des Ausschlussverfahrens als Amyloporia xantha kartiert werden darf. Wenn es Verwechslungspartner gäbe, die man anhand der vorhandenen Informationen nicht sicher ausschließen könnte, wäre das natürlich keine Option. Das scheinst du mit deiner Aussage "Ohne die dazugehörigen allantoiden Sporen ist eine Zuordnung unsicher" ja nahezulegen.


    Der Habitus, die Dichte der Poren sowie die makroskopisch deutlich wahrnehmbare Amyloidität schränken die Menge der Verwechslungspartner aber doch stark ein, oder irre ich mich? Der einzige resupinate Porling, der auf Picea vorkommen kann, nicht zur Gattung Amyloporia gehört und zumindest einigermaßen amyloide Skeletthyphen hat, ist meinen Recherchen nach Cinereomyces lindbladii. Den habe ich aber bereits gefunden und die mikroskopische KOH-Reaktion ist unverwechselbar. Allerdings kenne ich mich mit resupinaten Porlingen auch einfach nicht gut aus und kann mich irren! Deshalb die Frage an dich als Experten: Welche Verwechslungspartner würdest du hier in Verdacht haben?


    Herzliche Grüße,

    Vitus

    Lieber Christoph,


    danke dir für deine Rückmeldung! Dann teilen wir unsere Unsicherheit ja – mit dem Unterschied, dass ich die Art noch nie gefunden habe. Viele Alternativen gibt es aber nicht, wenn man die Gattungshypothese kauft.


    Herzliche Grüße,

    Vitus

    Hallo zusammen,


    am 29.03.2026 wuchs ein weißer, resupinater Porling auf einem stark zersetzten Fichtenstumpf. Fruchtkörper waren sowohl in der Vertikalen als auch in der Horizontalen auf einem Motorsägenschnitt zu finden:



    Von dem ganz flach wachsenden Stück habe ich etwas abgebrochen. An der Bruchstelle erkennt man, dass auf das Substrat direkt die Röhren folgen:



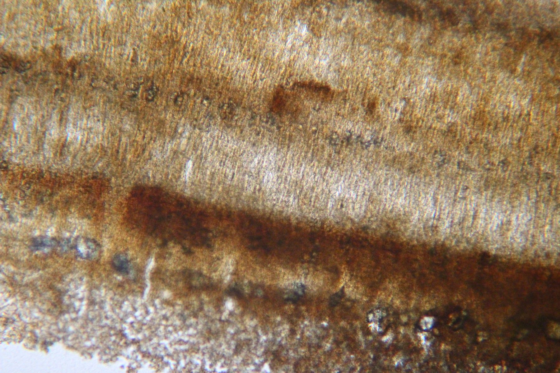
    Der Geruch war intensiv angenehm pilzig mit dezent säuerlicher Note. Die Poren reagieren amyloid mit Melzers:



    Sie waren so eng, dass es mehrere Minuten dauerte, bis die Jodlösung eingezogen war und sich die bläuliche Verfärbung zeigte. Leider hatte ich nicht die üblichen Mittel, die Anzahl der Poren pro mm zu bestimmen, hier aber ein vermessenes Bild eines dünnen Skalpschnitts der Poren unter dem 10er-Objektiv:



    Da auf ca. 1/3 mm 2 Poren zu finden waren, sollten der Fund ca. 6 Poren/mm haben. Frisch waren die Poren weiß, nach zwei Tagen erinnerten sie mit ihrer gelb-bräunlichen Verfärbung an die ehemals weiße Tapete eines Raucherzimmers:



    Was die Mikromerkmale betrifft, konnte ich leider weniger feststellen, als mir lieb war – der Fruchtkörper ist schlichtweg zu jung. Hier eine Kollektion von halbwegs reifen Basidien:



    Zystiden waren zumindest prominent nicht vorhanden, ich konnte lediglich einen merkwürdigen Auswuchs im Hymenium feststellen (ganz rechts):



    Zudem dominieren im Dissepiment Skeletthyphen, bei denen ich mit Melzers keine amyloide Reaktion unter dem Mikroskop feststellen konnte. Sporen konnte ich keine sicher zuordenbaren finden.


    Anhand von Habitus (in der Vertikalen), Substrat, amyloider Reaktion der Poren, dimitischem Hyphensystem und zystidenfreiem Hymenium fühle ich mich auf Gattungsebene mit Amyloporia recht sicher. Was die Art betrifft, sind in Laessøe & Petersen, 2019, p. 935 vier aufgeführt: Amyloporia alpina, Amyloporia sinuosa, Amyloporia xantha und Amyloporia carbonica. Die erste Art fällt raus, weil die KOH-Reaktion (getestet mit 3 % und 20 %) bei meinem Fund negativ statt violett-rötlich war. Die zweite Art hat deutlich größere, labyrinthische Poren.


    Meiner Ansicht nach ist die am besten passende Art Amyloporia xantha, denn Amyloporia carbonica hätte gröbere Poren. Probleme habe ich allerdings mit diesen beiden Punkten:

    1. Die Poren sollen „pale lemon-yellow“ sein, waren aber weiß.
    2. Der Geruch soll „like lemon-scented soap“ sein, war aber höchstens leicht säuerlich.

    Punkt (1) lässt sich ggf. mit einer Erklärung aus dem alten Ryvarden, 1976, p. 95 (für Antrodia xantha) auflösen:

    Zitat

    Pore surface white to cream, pale to deep chrome yellow, to almost citric yellow.

    Hier wird also die weiße Farbe nicht ausgeschlossen. Für Punkt (2) habe ich allerdings keine Erklärung – außer, dass Gerüche höchst subjektiv sind.


    Mich interessiert nun eure Einschätzung, ob ihr mit diesen Informationen auch bei Amyloporia xantha wärt oder ob ihr Arten habt, die ich gegenprüfen sollte. Ich freue mich auf eure Antworten!


    Herzliche Grüße,

    Vitus



    Literatur:

    Laessøe, T., & Petersen, J. H. (2019). Fungi of temperate europe 2 (Vol. 2). Princeton University Press.

    Ryvarden, L. (1976). The Polyporaceae of North Europe 1: Albatrellus - Incrustoporia.

    Lieber Johann,


    Jens Rüdig hat sicherlich seine Berechtigung, allerdings läuft das Programm nur auf Windows. Da der Quellcode nicht open source ist, ist er nicht einmal für Linux anpassbar, Linux-Nutzer haben damit nur die Fiji-Alternative.


    Herzliche Grüße,

    Vitus

    Hallo zusammen,


    nun bin ich endlich dazu gekommen, mich noch einmal intensiv mit der Thematik auseinanderzusetzen.

    1. Zwei- vs. viersporige Basidien

    Argross Danke dir für den Link mit den Bildern! Dort sieht man ja auch ausschließlich Basidien mit (höchstens) zwei Sterigmen. Ich habe noch ein paar weitere Präparate gemacht und weiterhin überwiegend zweisporige Basidien gesehen. Dennoch habe ich auch einige viersporige erkennen können. Interessanterweise konnte ich aber nie alle vier Sterigmen zusammen in den Fokus bekommen – nicht einmal ansatzweise. Hier ein Bild, das viersporige Basidien zeigt:



    Im Übrigen habe ich bei der Suche nach Basidien auch noch Hyphidien gefunden, die unauffällig und sehr rar waren:



    Ich deute die Tatsache, dass mein Fruchtkörper sowohl zwei- als auch viersporige Basidien besitzt, als Kuriosität, aber dadurch, dass viersporige Basidien vorhanden sind und eine andere zuverlässige Quelle einen Fund mit zweisporigen Basidien auch als Radulomyces rickii bestimmt hat, nicht als Ausschlusskriterium. Was denkt ihr?

    2. JKJ-Reaktion

    In der Literatur stand auch noch, dass das Hymenium mit einer Jod-Kaliumjodid-Lösung rötlich reagieren soll. Das habe ich mit Melzers getestet und kann es bestätigen:


    3. Sporen

    Ich habe noch einmal im Präparat gesucht und 20 weitere Sporen zusammengekratzt:



    Sporenmaße: 8,9 ± 0,7 µm × 7,2 ± 0,6 µm, Q̄ = 1,2 ± 0,1

    Reichweite: 7,9–10,2 µm × 5,5–8,3 µm, Q = 1,1–1,4

    n = 20


    Die Sporenmaße sind hiermit sehr nah an den 12 anderen Sporen, die ich oben vorgestellt habe. Hier ein direkter Vergleich mit den Maßen von Ghobad-Nejhad & Kotiranta, 2007, p. 102:


    Merkmal Literatur Fund
    Sporenlänge 7,3–9,5 8,9
    Sporenbreite 6,2–8,6 7,9
    Q-Wert 0,9–1,24 1,2


    Das würde also schon einmal passen. Vom Q-Wert könnte Radulomyces confluens zwar in Frage kommen (hier nach Literatur Q = 1,09–1,51), aber die Sporenbreite macht hier einen dicken Strich durch die Rechnung: Mit 7,9 µm liege ich deutlich außerhalb der Normalmaße (5,0–6,5 µm) und selbst der Ausreißer von 7 µm kommt an die Durchschnittsbreite nicht ran. Für mich spricht das eindeutig für Radulomyces rickii.


    Was die biapiculaten Sporen betrifft, habe ich viel gesucht und nur eine Spore gefunden, bei der das eventuell passen könnte:



    Unten rechts in meinem Bild ist eindeutig der Apiculus, aber ob das oben ein spitzer Keimporus ist, kann ich nicht sicher beurteilen; nicht wenige der Sporen waren auch schon – ähnlich wie die Basidien – kollabiert. Tricholomopsis Was denkst du? Vor dem Hintergrund, dass dieses Merkmal in einigen Kollektionen der Forschenden nicht vorhanden war, wäre es in jedem Fall kein Ausschlusskriterium, wenn meine Kollektion auch keine biapiculaten Sporen hätte.

    4. Basidien

    Von den Basidien her passt die Beschreibung an sich sehr gut – gerade, dass die Basidien gestielt und die Basidiolen wellig sind. Mit den obigen Merkmalen wäre die Bestimmung von Radulomyces rickii für mich nun eindeutig, wäre da nicht die Sache mit den Basalschnallen. Wie ich oben bereits gezeigt habe, sind die Basidien eindeutig schnallenlos. In Ghobad-Nejhad & Kotiranta, 2007 steht aber „Basidia basally clamped“ (S. 104) und auch in der Mikrozeichnung auf S. 106 werden die Basidien mit Schnallen gezeichnet:



    Eine gute Erklärung dafür habe ich nicht. Das Vorhandensein von Schnallen ist doch solch ein grundlegendes Merkmal, dass es nicht sein kann, dass der eine Fruchtkörper es besitzt, der andere aber nicht – oder irre ich mich da?


    An sich will ich dem Kind den Namen geben, nur die Basalschnallen lassen mich zweifen. Tricholomopsis Erinnerst du dich noch, ob dein Fund Basalschnallen hatte?


    Herzliche Grüße,

    Vitus



    Literatur:

    Ghobad-Nejhad, M., & Kotiranta, H. (2007). Re-evaluation of Radulomyces rickii and notes on Radulomyces and Phlebiella (Basidiomycota). Mycotaxon, 102, 101–111.

    Hallo zusammen,


    Argross Danke dir für den Hinweis zu Radulomyces confluens! Tatsächlich haben die Hyphen Schnallen:



    Das würde also schon einmal wunderbar passen – genau so wie die fehlenden Zystiden, das monomitische Hyphensystem und der deutlich erkennbare Apiculus der Sporen. Was mich allerdings noch stutzig macht, sind diese Dinge:

    1. Schlüsselt man in Fungi Europaei rückwärts, erhält man „Basidia normally with 4 sterigmata“ (Koppel 169, S. 52). Auf meinen Bildern sieht man aber – bis auf die eine Ausnahme – zwei Sterigmen, selbst bei der Basidie mit Spore an einem Sterigma. Auch, wenn man die Tiefenschärfe verstellt, erkennt man nur zwei Sterigmen. Aber dann habe ich doch eine Basidie mit mehr als zwei Sterigmen gefunden. Im Übrigen, Armin, behauptest du, dass diese Basidie viersporig ist, weil du vier Sterigmen siehst, oder weil es keine dreisporigen Sterigmen gibt?
    2. Das Hymenium soll sich makroskopisch gelb verfärben, wenn man 3% KOH darauf gibt. Meine Verfärbung ist aber eher bräunlich als gelblich:

    1. In der Annahme, dass wir Punkte 1 und 2 lösen: Es gibt neben Radulomyces confluens noch Radulomyces rickii; siehe diese Studie. Diese Art soll globosere Sporen und ein glatteres Hymenium haben, was in unserem Fall besser passen würde. Hier der dazugehörige Forenpost. Die Studie erwähnt aber explizit, dass die „Basidia basally clamped“ sind, dabei sind die Basidiolen, die ich finde, ohne Schnallen:

    zuehli Danke dir für die Verlinkung zu deinem Post! Da verzweifeln wir wohl beide mit Rindenpilzen – aber geteiltes Leid ist schließlich halbes Leid. Wenn du Stereum rugosum ausschließen möchtest, lass mal Leitungswasser über ein Stückchen laufen und warte ein paar Minuten. Bei mir wurde auch ein sehr ausgetrocknetes Exemplar blutrot (siehe diesen Post).


    Tricholomopsis Du hast ja Radulomyces rickii damals mikroskopiert – was ist deine Einschätzung?


    Herzliche Grüße,

    Vitus

    Hallo zusammen,


    am 20.02.2026 haben meine Partnerin und ich einen weißen corticioiden Pilz gefunden, dem wir bisher keinen Namen entlocken konnten. Er wuchs rein resupinat auf einem toten, entrindeten, relativ dicken Ast, der noch mit dem stehenden Baum verbunden war:



    Um welchen Baum es sich handelt, konnten wir nicht sicher feststelllen; hier auch ein Bild mit Rinde:



    Wir haben versucht, einen Sporenabwurf zu machen, leider war dieser aber erfolglos. Der Pilz war ohnehin ziemlich jung, sodass wir nur wenige Sporen im Präparat gefunden haben:



    Sporenmaße: 8,5 ± 0,7 µm × 7,0 ± 0,5 µm, Q̄ = 1,2 ± 0,1

    Reichweite: 7,1–9,8 µm × 6,4–8,1 µm, Q = 1,1–1,3

    n = 12


    Überwiegend haben wir zweisporige, zylindrische bis clavate Basidien gefunden:



    Unglücklicherweise ist uns aber auch eine Basidie über den Weg gelaufen, die scheinbar drei Sterigmen besitzt:



    Zudem haben wir unzählige Strukturen gefunden, die wir für Basidiolen halten; sie besitzen keine Basalschnalle:



    Auffällige Zystiden konnten wir nicht erkennen, allerdings war ein Objekt dabei, das unserer Ansicht nach gleichermaßen Basidie oder Zystide werden könnte:



    Eine amyloide Reaktion konnten wir mikroskopisch nicht feststellen und makroskopisch aufgrund des fehlenden Abwurfs nicht testen. Mit den Schüsseln von Fungi Europaei 12 und The Corticiaceae of North Europe sind wir mit diesen Informationen nicht weitergekommen, deshalb wenden wir uns an euch. Habt ihr eine Idee, um welche Art es sich handeln könnte? Falls nicht, welche weiteren Informationen benötigt ihr?


    Herzliche Grüße,

    Vitus

    Liebe Pilzfreunde,

    da ich selbst Linux nutze und man mich mit Windows jagen kann, habe ich mich vor einiger Zeit daran gesetzt, eine gut funktionierende linux-kompatible Alternative zur Sporenmessung zu schreiben. Sie basiert auf Fiji und ist so weit automatisiert wie möglich. Ich nutze sie mittlerweile seit einigen Monaten und bin damit sehr zufrieden. Ich habe mich bemüht, die Dokumentation so ausführlich und beginnerfreundlich wie irgend möglich zu gestalten, sodass Interessierte nicht vorzeitig entmutigt werden. Bei Fragen oder Problemen könnt ihr jederzeit unter diesen Post schreiben; ich bemühe mich, euch zeitnah zu antworten.

    Das Coden und Dokumentieren war sehr viel Arbeit, deshalb hoffe ich, dass sie bei der einen oder dem anderen hier im Pilzforum auf Interesse stößt.

    Bevor wir loslegen, möchte ich mich ganz herzlich bei boccaccio bedanken! Björn hat mir nicht nur viel über Pilze beigebracht, sondern mich auch beim Prozess begleitet, seine Ideen eingebracht und ermutigt, das Projekt fortzuführen. Ohne ihn wäre das Pilzmikroskopie-Paket nie zustande gekommen.

    Inhaltsverzeichnis

    1. Fiji installieren

    1.1. Download Windows

    Fiji erfordert keine klassische Installation. Stattdessen handelt es sich um einen portablen Ordner, der die ausführbare Datei und alle Abhängigkeiten enthält. Solange dieser Ordner vorhanden ist, lässt sich Fiji per Doppelklick starten – ohne Setup-Assistent, ohne Einträge in der Registry.


    Ein praktischer Vorteil: Der gesamte Ordner lässt sich auf einen USB-Stick kopieren und an einem anderen Rechner starten, inklusive aller eigenen Konfigurationen.

    1. Die aktuelle Version von fiji.sc herunterladen: unter Latest Downloads das passende Betriebssystem und die Prozessorarchitektur wählen (Windows: 64-Bit / x86 → Downloadserver in Europa bevorzugen).
    2. Die heruntergeladene .zip-Datei (~600 MB) per Rechtsklick → Alle extrahieren entpacken.
    3. Den entstandenen Fiji-Ordner an einen dauerhaften Ort verschieben – nicht im Downloads-Ordner belassen, da dieser leicht versehentlich geleert wird. Empfehlung: %USERPROFILE%\Fiji (Windows) bzw. ~/Fiji (Linux/macOS).
    4. Die Datei ImageJ-win64.exe (Windows) per Doppelklick starten. Bei der Windows-Sicherheitswarnung auf Weitere InformationenTrotzdem ausführen klicken.

    Optional lässt sich die .exe an die Taskleiste anheften oder eine Desktop-Verknüpfung anlegen.


    1.2. Download Linux

    1.2.1. Ubuntu

    Ubuntu-User folgen der Windows-Anleitung und downloaden die aktuelle Version (in der Regel x86-64 – außer man hat einen ARM-Prozessor).

    1.2.2. Arch Linux

    Zur Installation lässt sich pacman, pamac oder yay nutzen, um Fiji zu installieren, das Paket heißt fiji-bin. Wichtig ist, dass man den Zugriff vom chaotic AUR freigeschaltet hat. Hier wird Fiji im Gegensatz zu den anderen Installationswegen fest installiert (meist unter /opt/fiji).

    2. Pilzmikroskopie-Paket installieren

    Zunächst downloadet man das Paket über diesen Link. Wer git nutzt, kann auch clonen:

    Code
    git clone https://codeberg.org/opensource-philosophy/fiji-pilzmikroskopie-scripts.git

    Das Pilzmikroskopie-Paket ist ein Ordner mit fünf JavaScript-Scripts, der installiert wird, indem man ihn in den Scripts-Ordner von Fiji legt:

    1. Den Ordner Pilzmikroskopie/ in das Unterverzeichnis scripts/ der Fiji-Installation verschieben (per Drag & Drop oder Dateimanager), sodass die Datei-Struktur so aussieht:

      Code
      Fiji/
      └── scripts/
          └── Pilzmikroskopie/
              ├── Messbalken_hinzufügen.js
              ├── Bild_mit_Messdaten_versehen.js
              ├── Messdaten_speichern_(Linien).js
              ├── Messdaten_speichern_(Rechtecke).js
              └── Messdaten_zusammenführen.js
    2. Fiji neu starten. Im Menü erscheint jetzt ein neuer Reiter Pilzmikroskopie mit allen fünf Scripts.

    3. Kalibrierung einrichten

    Damit Fiji Abstände in Mikrometern (statt Pixeln) ausgibt, muss für jedes verwendete Objektiv die Kalibrierung (Pixel pro µm) hinterlegt werden.

    3.1. Kalibrierung messen

    1. Für jedes vorhandene Objektiv ein Bild mit dem Objektmikrometer aufnehmen und in Fiji öffnen (per Drag & Drop oder Datei → Öffnen).
    2. Das Straight Line Tool auswählen (fünftes Symbol von links in der Werkzeugleiste).
    3. Eine Linie über eine bekannte Strecke ziehen (z. B. von Balkenmitte zu Balkenmitte = 10 µm-Schritte → 5 Balken = 50 µm).
    4. Analyze → Set Scale aufrufen. Fiji zeigt die gemessene Pixelzahl.
      • Known Distance: die bekannte Distanz eintragen (z. B. 50)
      • Unit of Length: µm eingeben (Alt Gr + M drücken, dann M → µm)
      • Global aktivieren, damit die Kalibrierung für alle offenen Bilder gilt.
      • den Wert Pixel/µm notieren.

    3.2. Kalibrierung dauerhaft als Makro speichern

    Ohne weitere Maßnahmen geht die Kalibrierung beim Schließen von Fiji verloren. Um sie dauerhaft zu speichern, werden Makros in der StartupMacros-Datei hinterlegt; so wird sie bei jedem Start neu geladen.

    3.2.1. Datei öffnen

    Der Fiji-Pfad lautet Fiji/macros/StartupMacros.fiji.ijm. Diese Datei öffnen wir mit einem beliebigen Texteditor.

    3.2.2. Makros eintragen

    Am Ende der Datei folgende Makros einfügen und die distance-Werte an die eigene Messung anpassen – bei mir bspw.


    Der Wert distance gibt an, wie viele Pixel einem Mikrometer entsprechen und wurde gerade von uns notiert. Wer möchte, kann auch die Tastenkürzel in eckigen Klammern (F1, F2, F3) nach Wunsch umlegen; meine Belegung folgt der Logik: kleinste F-Taste = kleinste Vergrößerung. Wichtig: Damit die Kalibrierung angewendet werden kann, muss mindestens ein Bild geöffnet sein; Set Scale ist sonst nicht verfügbar.

    3.2.3. Änderungen speichern und testen

    1. Änderungen in StartupMacros speichern.
    2. Fiji neu starten.
    3. Ein Bild öffnen → passende F-Taste drücken → Fiji zeigt Maße in µm links über dem Bild an.

    3.3. Autorun-Script (optionale Automatisierung)

    Im Ordner Fiji/macros/AutoRun/ können .ijm-Dateien abgelegt werden, die beim Start von Fiji automatisch ausgeführt werden. Ein nützliches Autorun-Script führt beim Laden des ersten Bildes folgende Schritte durch:

    1. Es wartet 200 ms, prüft dann in einer Schleife, ob Bilder geladen sind.
    2. Es setzt den Maßstab für das Standard-Objektiv automatisch.
    3. Es wählt das Straight Line Tool aus (statt des Standard-Rechtecktools).
    4. Es öffnet den ROI Manager.
    5. Es aktiviert Show All im ROI Manager, sodass alle bereits gezogenen Linien angezeigt werden.

    Damit entfallen beim sämtliche manuelle Vorbereitungsschritte und man kann direkt losmessen. Zur Installation im Ordner Fiji/macros/AutoRun/ eine Datei mit .ijm-Endung anlegen (bspw. Sporenmessung.ijm), den folgenden Code einfügen und Fiji neu starten:


    Wer hier bspw. vorwiegend mit dem 40er-Objektiv arbeitet, soltlte run("Set scale for 100x objective"); durch run("Set scale for 40x objective"); ersetzen.

    4. Grundlegendes Messen in Fiji

    Bevor die Pilzmikroskopie-Scripts erklärt werden, hier der grundlegende Messbetrieb, den Fiji von Haus aus bietet.

    4.1. Werkzeuge

    Über Rechtsklick auf das Linientool in der Werkzeugleiste sind folgende Varianten verfügbar:

    Werkzeug Anwendung
    Straight Line Einfache gerade Linie (Normalfall)
    Segmented Line Mehrfach abknickende Linie (z. B. für ungerade Zystiden, Sporen oder Basidien)
    Rotated Rectangle Frei rotierbares Rechteck (z. B. für Entoloma-Sporen)

    4.1.1. Segmented Line

    Linksklick setzt einen Ankerpunkt. Weitere Klicks fügen Segmente hinzu. Abschluss: Linksklick auf den Startpunkt.

    4.1.2. Rotated Rectangle

    Klick und Ziehen definiert die Längsachse; eine zweite Bewegung definiert die Breite.

    4.2. ROIs anlegen und speichern

    1. Linie oder Rechteck zeichnen.
    2. T drücken → das Werkzeug wird als Region of Interest (ROI) im ROI Manager gespeichert.
    3. Für alle zu messenden Strukturen wiederholen.
    4. Show All im ROI Manager aktiviert halten, damit alle gespeicherten ROIs gleichzeitig sichtbar sind.

    4.3. Längen ablesen

    Analyze → Measure (oder Strg+M) zeigt für alle ROIs im Manager die Längen in der konfigurierten Einheit (µm bei gesetzter Kalibrierung, sonst Pixel).

    4.4. Konvention für Sporenmessungen

    Pro Spore werden zwei Linien gezogen und mit T gespeichert:

    • Erste Linie: Längsachse
    • Zweite Linie: Querachse

    Das Script Messdaten_speichern_(Linien).js setzt genau dieses Format voraus.

    4.5. Navigation

    • Mit + rein- und - rauszoomen
    • Bei eingezoometem Bild Leertaste halten und linke Maustaste gedrückt halten zum Verschieben des Ausschnitts.

    5. Die Pilzmikroskopie-Scripts

    Die fünf Scripts funktionieren unabhängig voneinander, sind aber für einen verzahnten Workflow konzipiert. Jedes Script kann interaktiv per Dialog oder vollautomatisch über Makro-Parameter gesteuert werden. Das Automatisierungsprinzip ist das Folgende: Wenn beim Aufruf mindestens ein Makro-Parameter übergeben wird, öffnet sich kein Dialogfenster. Fehlende Parameter fallen auf ihre Standardwerte zurück.

    5.1. Messbalken_hinzufügen.js

    Dieses Script zeichnet einen kalibrierten Messbalken dauerhaft in das Bild ein (kein Overlay – die Änderung ist permanent im Bildprozessor). Die auszuwählenden Optionen sind:

    5.1.1. Dialog-Parameter

    Parameter Standard Beschreibung Variable
    Pixel pro µm auto Automatisch aus Bildkalibrierung; manuell überschreibbar pixels_per_um
    Länge (µm) 10 Länge des Messbalkens in Mikrometern length_um
    Dicke (px) 10 Linienstärke des Balkens in Pixeln thickness
    Schriftgröße 30 Schriftgröße der Beschriftung font_size
    Rand vertikal (%) 5 Abstand vom vertikalen Bildrand margin_vertical
    Rand horizontal (%) 2 Abstand vom horizontalen Bildrand margin_horizontal
    Farbe Blau Weiß, Schwarz, Rot, Grün, Blau, Gelb, Magenta, Cyan color
    Position Unten rechts Unten rechts/links, Oben rechts/links position
    Vertikale Endbalken Ja Abschlusslinien an beiden Enden des Balkens endcaps


    Dieses Script nutze ich in der Regel für das Dialogmenü.

    5.1.2. Makro-Beispiel

    Code
    run("Messbalken hinzufügen",
        "pixels_per_um=44.6 length_um=10 thickness=8 font_size=28 " +
        "margin_vertical=3 margin_horizontal=2 " +
        "color=Blau position=Unten_rechts endcaps=yes");

    5.2. Messdaten_speichern_(Linien).js

    Misst alle ROIs im ROI Manager aus und exportiert die Ergebnisse als formatierte ASCII-Tabelle in eine Textdatei. Voraussetzung: Im Manager befinden sich genau zwei Linien-ROIs pro Objekt (Längsachse + Querachse). Die Gesamtanzahl muss geradzahlig sein.


    Das Script sortiert intern: Die längere Linie wird als Länge, die kürzere als Breite behandelt. Der Q-Wert (Länge ÷ Breite) wird automatisch berechnet.

    5.2.1. Ausgabeformat

    Code
    | Nr. | Länge (µm) | Breite (µm) | Q-Wert |
    |-----+------------+-------------+--------|
    |   1 |        8,4 |         4,1 |    2,0 |
    |   2 |        9,1 |         4,5 |    2,0 |
    
    Sporenmaße: 8,8 ± 0,5 µm × 4,3 ± 0,3 µm, Q̄ = 2,0 ± 0,1
    Reichweite: 8,4–9,1 µm × 4,1–4,5 µm, Q = 2,0–2,0
    n = 2

    Dateiname der Ausgabe: [Präfix] [Bildname ohne Endung].[Endung]

    5.2.2. Parameter

    Parameter Standard Beschreibung
    measurement_prefix [gemessen] Präfix im Ausgabedateinamen
    measurement_extension txt Dateiendung (ohne Punkt)
    delete_rois true ROIs nach Export löschen
    close_image true Bild nach Export schließen

    5.2.3. Makro-Beispiel

    Code
    run("Messdaten speichern (Linien)",
        "measurement_prefix=[gemessen] measurement_extension=txt " +
        "delete_rois=false close_image=false");

    5.3. Messdaten_speichern_(Rechtecke).js

    Funktioniert analog zu 5.2, jedoch für Rechteck-ROIs. Pro ROI eine Messung (nicht 2 ROIs pro Objekt). Das Script setzt intern die Messoptionen auf fit bounding display add, um Width/Height (gerade Rechtecke) oder Major/Minor (rotierte Rechtecke) zu erfassen.


    Ausgabedatei-Kopfzeile: Rechteckmaße: statt Sporenmaße:. Die Parameter sind identisch mit 5.2.

    5.4. Bild_mit_Messdaten_versehen.js

    Dieses Script liest alle ROIs aus dem ROI Manager, berechnet deren Maße aus der Bildkalibrierung und zeichnet beschriftete Overlays ins Bild. Das Ergebnis wird als neue Bilddatei gespeichert (Präfix [gemessen] vor dem Originalnamen).


    Die unterstützten ROI-Typen sind …

    1. einfache Linie
    2. segmentierte Linie
    3. Freihandlinie
    4. Rechteck
    5. rotiertes Rechteck.

    Das Script enthält eine Kollisionslogik: Wenn eine Beschriftung eine andere Linie überschneiden würde, wird das Label automatisch entlang der Linie verschoben. Bei Rechtecken werden Maßtexte stets außerhalb platziert.

    5.4.1. Dialog-Parameter

    Der Dialog ist in drei Abschnitte aufgeteilt: Einfache Linien, Segmentierte Linien, Rechtecke. Jeder Abschnitt enthält:

    Parameter Standard Beschreibung
    Linienstärke 4 / 8 / 4 Breite der Linie in Pixeln
    Linienfarbe blue Farbe als Name (blue, red, green, black …)
    Schriftgröße 40 / 80 / 40 Fontgröße der Maßbeschriftung
    Schriftfarbe blue Farbe des Beschriftungstexts
    Nachkommastellen 1 Dezimalstellen des Messwerts

    Zudem gibt es noch die folgenden Parameter:

    Parameter Standard Beschreibung
    rect_show_area false Flächeninhalt des Rechtecks anzeigen
    save_to_overlay true Overlay (true) oder ROI (false)
    save_overlay_image true Beschriftetes Bild als Datei speichern
    measurement_folder (leer) Optionaler Unterordner für gespeicherte Bilder
    close_overlay_image_after_saving true Originalbild nach dem Speichern schließen
    delete_rois_after_saving true ROIs nach dem Speichern löschen

    5.4.2. Makro-Beispiel

    Code
    run("Bild mit Messdaten versehen",
        "line_width=3 line_color=green line_font_size=36 line_digits=1 " +
        "seg_width=6 seg_color=green seg_font_size=60 seg_digits=1 " +
        "save_overlay_image=true close_overlay_image_after_saving=false " +
        "delete_rois_after_saving=false measurement_folder=gemessen");

    5.5. Messdaten_zusammenführen.js

    Dieses Script lies alle Einzelmessdateien eines Ordners (erzeugt durch Scripts 5.2 / 5.3) und führt sie zu einer Gesamtstatistik zusammen. Quelldateien werden anhand ihres Präfixes und ihrer Endung identifiziert.


    Das Script sucht im Verzeichnis des aktuell geöffneten Bildes. Alle Dateien mit passendem Präfix und passender Endung werden eingelesen, die Werte akkumuliert und eine Ausgabedatei erstellt.


    Ein Hinweis zu eckigen Klammern: Wird das Präfix im Makro-Modus ohne eckige Klammern übergeben (z. B. gemessen statt [gemessen]), ergänzt das Script die Klammern automatisch.

    5.5.1. Ausgabeformat

    Die Ausgabedatei enthält drei Abschnitte:

    1. GESAMTSTATISTIK FÜR [STRUKTUR] – Mittelwert ± SD, Reichweite, n
    2. AKKUMULIERTE MESSDATEN – vollständige Wertetabelle aller Einzelmessungen
    3. QUELLDATEIEN (optional) – Ursprungsdateien mit Nummernbereichen, Ordner, Datum und Uhrzeit

    5.5.2. Parameter

    Parameter Standard Beschreibung
    measurement_prefix [gemessen] Präfix der Quelldateien
    measurement_file_ext txt Endung der Quelldateien
    output_file [merged] Messwerte Dateiname der Ausgabedatei
    output_ext txt Endung der Ausgabedatei
    structure_to_measure Sporen Name der Struktur (Sporen, Basidien, Zystiden …)
    show_sources yes Quelldateiliste in der Ausgabe anzeigen
    delete_sources yes Quelldateien nach dem Merge löschen
    close_fiji no Fiji nach Abschluss beenden

    5.5.3. Makro-Beispiel

    Code
    run("Messdaten zusammenführen",
        "measurement_prefix=[gemessen] measurement_file_ext=txt " +
        "output_file=[merged] Messwerte output_ext=txt " +
        "structure_to_measure=Sporen show_sources=yes " +
        "delete_sources=yes close_fiji=yes");

    6. Effizienter Workflow mit Makros

    Für das tägliche Messen vieler Bilder empfiehlt sich ein Workflow, der alle Scripts über Tastenkürzel automatisch aufruft – ohne Dialoge, ohne manuelle Eingaben.

    6.1. Konzept

    Die Workflow-Makros werden in der StartupMacros-Datei hinterlegt. Jedes Makro ruft die benötigten Scripts mit festen Parametern auf und öffnet anschließend das nächste Bild im Ordner. Existiert kein nächstes Bild, wird die Gesamtstatistik automatisch erstellt und Fiji beendet. Meine Tastenbelegungen sind:

    Taste Funktion
    1 Messen + Overlay einbrennen + nächstes Bild öffnen
    2 Bild überspringen (kein Overlay, nur weiterblättern)
    3 Nur Messdaten speichern, Bild schließen (kein Overlay)
    4 Letztes Bild manuell beenden: Messdaten speichern + Zusammenführen

    6.2. Schriftgröße und Linienstärke je Objektiv

    Das Hilfsskript getWidthAndFontByScale() liest die aktuelle Kalibrierung aus und gibt passende Werte zurück:

    Objektiv Pixel/µm (ca.) Linienstärke Schriftgröße
    10× ~4,7 1 1
    25× ~11,7 1 3
    40× ~18,9 1 10
    100× ~45 1 20

    6.3. Workflow-Makros (vollständiger Code)

    6.4. Schritt-für-Schritt: Typischer Messdurchlauf

    1. Fiji starten → Autorun-Script konfiguriert Werkzeuge automatisch.
    2. Erstes Bild öffnen (Drag & Drop). Kalibrierung ggf. per F-Taste setzen.
    3. Für jede Spore: Längsachse ziehen → T, Querachse ziehen → T.
    4. Taste 1 drücken:
      1. Messdaten werden in eine .txt-Datei exportiert.
      2. Ein beschriftetes Bild ([gemessen] Bildname) wird gespeichert.
      3. Das nächste Bild im Ordner öffnet sich automatisch.
    5. Schritte 3–4 für alle weiteren Bilder wiederholen.
    6. Am letzten Bild: ROIs setzen, dann Taste 1 drücken.
      1. Das Script erkennt, dass kein weiteres Bild folgt.
      2. Alle Einzeldateien werden zur Gesamtstatistik zusammengeführt.
      3. Fiji schließt sich.

    Soll ein Bild ohne Messung übersprungen werden: Taste 2 drücken.

    7. Tipps und häufige Fehler

    7.1. Häufige Fehlermeldungen

    Fehler / Problem Ursache Lösung
    „ROI Manager ist leer" Keine ROIs vorhanden Linien zeichnen und mit T speichern, dann Script aufrufen
    „Messzahl ist ungerade oder 0" Ungerade ROI-Anzahl Genau 2 ROIs pro Spore anlegen
    Beschriftung außerhalb des Bildbereichs Schriftgröße zu groß line_font_size / seg_font_size verringern
    Farbe nicht erkannt Unbekannter Farbname Nur Java-Standardfarben verwenden (s. Abschnitt 7.2)
    Keine Quelldateien beim Zusammenführen Präfix oder Endung stimmt nicht Präfix inkl. eckiger Klammern und Dateiendung prüfen
    Bild wird im falschen Ordner gespeichert Bild noch nicht auf Disk gespeichert Bild vor dem Script-Aufruf speichern
    Kalibrierung nach Neustart weg Nicht in StartupMacros eingetragen Makros gemäß Abschnitt 3.2 in StartupMacros eintragen

    7.2. Unterstützte Farbnamen

    Parameterwert Farbe
    blue Blau
    red Rot
    green Grün
    black Schwarz
    white Weiß
    yellow Gelb
    magenta Magenta
    cyan Cyan


    Groß- und Kleinschreibung werden automatisch normalisiert.

    7.3. Präfix-Konvention

    Präfixe mit eckigen Klammern (z. B. [gemessen]) werden beim alphabetischen Sortieren im Dateimanager ganz oben angezeigt. So lassen sich gemessene und ungemessene Bilder auf einen Blick unterscheiden.

    8. Schnellübersicht

    8.1. Scripts

    Script Funktion Voraussetzung
    Messbalken_hinzufügen.js Messbalken dauerhaft ins Bild einzeichnen Geöffnetes Bild (kalibriert)
    Bild_mit_Messdaten_versehen.js Maßlinien und Beschriftungen ins Bild brennen ROIs im ROI Manager
    Messdaten_speichern_(Linien).js Sporenmaße aus Linien-ROIs exportieren Gerade Anzahl Linien-ROIs
    Messdaten_speichern_(Rechtecke).js Maße aus Rechteck-ROIs exportieren Rechteck-ROIs im Manager
    Messdaten_zusammenführen.js Einzeldateien zu Gesamtstatistik zusammenführen Gespeicherte Einzeldateien

    8.2. Tastenkürzel

    Taste Funktion
    F1 – F3 Kalibrierung setzen (10×, 40×, 100×)
    T Aktuelle Linie/ROI im ROI Manager speichern
    1 Messen + Overlay + nächstes Bild
    2 Bild überspringen
    3 Nur Messdaten speichern, Bild schließen
    4 Letztes Bild: Messdaten speichern + Zusammenführen + Fiji beenden
    + / − Rein-/Rauszoomen
    Leertaste Bild bei gedrückter linker Maustaste verschieben

    Hallo Björn,


    danke für deine Antwort! Ich habe heute aus Neugier nun auch mal ein Exemplar von Stereum subtomentosum mikroskopiert und dort sehr ähnliche spitze Gebilde gefunden (auch wenn die Art keine Acanthozystiden hat):



    Bernicchia & Gorjón, 2010, p. 642 beschreiben Elemente mit „30–40 × 4–5 µm, with pointed apex and slightly projecting“ als „acutocystidia“. Ob das Kind nun den Namen „Acanthozystide ohne Auswüchse“ oder „Acutozystide“ trägt, ist mir im Endeffekt auch egal. Was mir allerdings nicht egal ist, ist, wie uneinheitlich die Literatur teilweise ist. Wenn ich zwei Mikrobeschreibungen ein und derselben Art lese, fühlt es sich teils so an, als würden zwei verschiedene beschrieben. Aber ich denke, ein Gefühl dafür kommt mit der Zeit. Vielen Dank für eure ganzen Beiträge, ich durfte viel von euch lernen!


    Herzliche Grüße,

    Vitus



    Literatur:

    Bernicchia, A., & Gorjón, P. (2010). Fungi Europaei 12: Corticiaceae s.l. Candusso.

    Hallo Björn,


    ja, mit etwas Fantasie sehe ich da auch Auswüchse. Sind die anderen Gebilde, die auf deinem Bild deutlicher zu erkennen sind und die ich auch oben zeige, denn dann auch Acanthozystiden, oder andere Elemente?


    Herzliche Grüße,

    Vitus

    Hallo Björn,


    danke für die Klarstellung der verschiedenen Definitionen von gloepleren Hyphen! Gar nicht so leicht, da durchzusteigen. Was die Farbe der Zystiden betrifft, überzeugt mich deine Kongorot-Erklärung.


    Danke dir für das Mikrobild! Diese dünneren Objekte mit teils ausgezogenem, teils spitzem Apex finde ich in größeren Mengen bei mir. Hier eine Kollektion:



    Von den Maßen her passen sie auch zur Literatur:



    Ich habe sie bisher aber nie als Acanthozystiden wahrgenommen. Sie sehen meiner Ansicht nach nicht aus wie in der oben gezeigten Zeichnung von Bernicchia & Gorjón, 2010, p. 640; Clémençon, 1997, p. 534 beschreibt sie als „apikal kurz fingerförmig verzweigte, dünnwandige, farblose, terminale Zystiden“ und zeigt diese Abbildung:



    Kurz fingerförmig verzweigt ist auf den Bildern von uns beiden aber nichts – ich sehe nur eine ausgezogene Spitze. Wie kann man sich das erklären?


    Herzliche Grüße,

    Vitus



    Literatur:

    Bernicchia, A., & Gorjón, P. (2010). Fungi Europaei 12: Corticiaceae s.l. Candusso.

    Clémençon, H. (1997). Anatomie der Hymenomyceten: eine Einführung in die Cytologie und Plectologie der Krustenpilze, Porlinge, Keulenpilze, Leistlinge, Blätterpilze und Röhrlinge = Anatomy of the Hymenomycetes. Komm. F. Flück-Wirth.

    Hallo ihr drei,


    danke euch für eure Rückmeldungen! boccaccio: Deine Mikro-Bilder haben mich jetzt restlos überzeugt, dass es sich um Stereum rugosum handelt – danke dafür! Bei Miggel, 2008 habe ich gestern noch gelesen, dass man rötende Stereum-Arten im getrockneten Zustand einfach anfeuchten und dann ankratzen kann. Allein das Anfeuchten hat schon eine sehr deutliche Rötungsreaktion hervorgerufen:



    Das ist genau der Vorschlag, den du gemacht hast, Ingo W! Ich wusste nicht, dass das möglich ist. Im Übrigen habe ich auch versucht, einem Exsikkat von Stereum subtomentosum durch Anfeuchten eine gelbe Druckreaktion zu entlocken, allerdings hat das nicht funktioniert.


    Trotz (oder gerade wegen?) der Tatsache, dass die Bestimmung nun eindeutig ist, sind bei mir einige Baustellen offen. Um das zusammenzufassen:

    1. Das obige Zitat von Beenken, 2004 behauptet, dass die Sulfovanillinreaktion mit allen gloeopleren Elementen positiv ist, dabei stimmt das weder für Zystiden noch für Hyphen. Dann ist das wohl falsch!
    2. Stimmt die Aussage von Larsson & Ryvarden, 2021, p. 18, dass gloeoplere Hyphen in rötenden Stereum-Arten für das Röten verantwortlich sind, nun? Wenn ja, muss es ja sulfovanillin-negative gloeoplere Hyphen bei Stereum rugosum geben – aber welche? Wie sehen sie aus?

    Zu guter Letzt gibt es bei mir Verwirrung bezüglich der Zystiden – auch hier scheint sich die Literatur zu widersprechen. Zum Vergleich zunächst Eriksson et al., 1984, p. 1429:

    Zitat
    1. Pseudocystidia thick-walled, except for in the apical part, slightly projecting, smooth, more or less constricted, hyaline to yellowish, with oily content, 5–12 µm wide, usually more than 100 µm long.
    2. Acanthocystidia easily observed, 30–35 × 3–4 µm, projecting slight above the basidia.

    Und nun Bernicchia & Gorjón, 2010, p. 640:

    Zitat
    1. Pseudocystidia thick-walled except in the apical part, obtuse to acute, often more than 100 × 3–6 μm, usually brown.
    2. Acanthocystidia slightly projecting, 30–40 × 3–5 μm.

    Hier noch die Zeichnung der Autoren:



    Ich habe gestern und heute mehrere Präparate durchsucht. Zwar konnte ich im Hymenium Pseudozystiden ≥ 100 µm finden:



    Diese waren aber nicht braun oder gelblich. Braun waren ähnliche, aber insgesamt deutlich kleinere (keins ≥ 100 µm) Gebilde:



    Aber zumindest habe ich welche gefunden und kann sie abhaken. Was die Acanthozystiden betrifft, habe ich nur nur ein einziges Bild, das gegebenenfalls eine zeigt:



    Ansonsten konnte ich nichts finden. Was denkt ihr?


    Tricholomopsis: Danke für die Erklärung zu Skeletthyphen! Ja, die Erfahrung fehlt mir noch, das Mikroskop nutze ich erst seit ca. 2 Monaten. Aber solche Einordnungen helfen ungemein! Was die Amyloidität betrifft: Ich hatte im frischen Zustand keinen Abwurf gemacht, deshalb blieb mir nichts anderes übrig, als ein Stück Exsikkat in Melzers zu geben, und da habe ich keine Amyloidität feststellen können. Oder gibt es da einen Trick, noch ein paar isolierte Sporen aus einem Exsikkat zu bekommen?


    Mir zeigt das einmal mehr, wie uneinheitliche Literatur Verwirrung bei Pilzbegeisterten stiften kann. Ich bin sehr dankbar, dass ihr mir helft, das Wirr-Warr in meinem Kopf zu ordnen!


    Herzliche Grüße,

    Vitus


    Literatur:

    Beenken, L. (2004). Die Gattung Russula: Untersuchungen zu ihrer Systematik anhand von Ektomykorrhizen. Ludwig-Maximilians-Universität München.

    Bernicchia, A., & Gorjón, P. (2010). Fungi Europaei 12: Corticiaceae s.l. Candusso.

    Eriksson, J., Hjortstam, K., & Ryvarden, L. (1984). The corticiaceae of north europe 7: Schizopora – suillosporium. Fungiflora.

    Larsson, K.-H., & Ryvarden, L. (2021). Corticioid fungi of europe. volume 1: Acanthobasidium - gyrodontium. FUNGIFLORA.

    Miggel, B. (2008). Die Schichtpilze der Gattung Stereum. Südwestdeutsche Pilzrundschau, 44(2), 49–60.

    Hallo, ihr beiden!


    Danke für eure fixen Antworten. Tricholomopsis: Nur für mein Verständnis: Ich bezeichne ja zwei Arten von Objekten als „Hyphen“. Die, die ich als „dickwandigeren Hyphentyp“ bezeichne, hatten keine mir ersichtlichen Septen, auch auf den Bildern kann man keine erkennen. Beziehst du dich mit deiner Antwort auch auf diese Objekte? Ich hatte bisher noch nie eine Skeletthyphe unter dem Mikroskop und habe mich an Zeichnungen aus der Literatur sowie an diesem Forumpost orientiert.


    boccaccio Ich versuche mal, meinen Gedankengang transparent zu machen. Vielleicht wird dadurch mein möglicher Fehler erkennbar. Larsson & Ryvarden, 2021, p. 18 schreiben:

    Zitat
    Gloeoplerous hyphae (fig. 4c) occur only in species belonging to Russulales. The contents of gloeoplerous hyphae is usually oily or grainy and sometimes weakly yellowish (compare gloeocystidia). The bleeding reaction in some Stereum species and in Gloiothele lactescens depends on the gloeoplerous hyphae.

    Jetzt ist das Problem, wie man das „some“ liest. Ich sehe hier zwei Interpretationen:

    1. Einige Stereum-Arten zeigen eine Blutungsreaktion, und alle Stereum-Arten, die eine solche Reaktion zeigen, hängen von gloeopleren Hyphen ab.
    2. Einige Stereum-Arten zeigen eine Blutungsreaktion, und einige Stereum-Arten, die eine solche Reaktion zeigen, hängen von gloeopleren Hyphen ab (aber einige andere nicht).

    Ich muss zugeben, dass ich beim Lesen direkt (1) verstanden habe und erst jetzt bei erneutem Lesen auch die zweite Interpretation sehe. Wir gehen nun aber zunächst davon aus, dass (1) zutrifft, damit ich meinen Gedankengang weiterführen kann. Beenken, 2004, p. 323 schreibt:

    Zitat
    Lichtmikroskopisch sieht man in den gloeopleren Elementen kleine lichtbrechende Tröpfchen (ca. 1–2 μm im Durchmesser), die um große kugelige Vakuolen angeordnet sind […]. Mit Sulfobenzaldehyden, z.B. Sulfovanillin, fließen diese Tröpfchen zusammen und verfärben sich dunkelbraun bis blauschwarz […]. […] Diese bei den Russulaceae gemachten Beobachtungen finden sich auch an den gloeopleren Elementen anderer Mitglieder der Russulales.

    Zum Verständnis habe ich mir den folgenden Zeichnungs-Mikrovergleich von gloeopleren Hyphen gemacht:



    Da Stereum Teil der Stereaceae ist und diese den Russulales zuzuordnen ist, war mein Gedankengang nun folgender:

    1. Wenn es sich beim betrachteten Exemplar um eine rötende Stereum-Art handelt, muss sie gloeoplere Hyphen enthalten.
    2. Gloeoplere Hyphen haben öligen Inhalt und verfärben sich mit Sulfovanillin.
    3. Einige betrachteten Hyphen haben tröpfchenförmigen Inhalt, aber keine verfärbt sich mit Sulfovanillin.
    4. Also enthält das betrachtete Exemplar keine gloeopleren Hyphen.
    5. Also handelt es sich nicht um eine rötende Stereum-Art.

    Wenn ich die Stelle mit der Blutungsreaktion falsch verstehe, bricht das Kartenhaus allerdings schon zusammen. Vielleicht habe ich aber auch einen anderen Fehler im Gedankengang?


    Wenn es sich bei den dickwandigeren Objekten um Pseudozystiden handelt, müssten diese ja „with oily content“ (Eriksson et al., 1984, p. 1429) sein, sie haben aber teils einen bräunlichen Inhalt, teils keinen (sichtbaren), deshalb bin ich mir hier noch etwas unsicher. Womöglich kann man gloeoplere Hyphen aber auch als Pseudozystiden deuten? Pseudozystiden sind ja keine echten Zystiden, sondern eigentlich Hyphen. Auch hier äußere ich aber nur vage Vermutungen.


    Was die Acanthozystiden betrifft, mache ich gleich noch einmal ein Schlachtfeld-Präparat und suche weiter. In der Literatur stand „Acanthocystidia easily observed“, vielleicht ist diese Einschätzung ja etwas zu optimistisch. Außerdem suche ich gleich mal nach einem Stereum-Exsikkat und mikroskopiere das zum Vergleich. Vielleicht wird mir dadurch ja einiges klarer.


    Mein Kopf ist gerade kurz vor’m Qualmen, ich lerne gerade aber sehr viel. Vielen Dank, dass ihr euch die Zeit nehmt!


    Herzliche Grüße,

    Vitus


    Literatur:

    Beenken, L. (2004). Die Gattung Russula: Untersuchungen zu ihrer Systematik anhand von Ektomykorrhizen. Ludwig-Maximilians-Universität München.

    Eriksson, J., Hjortstam, K., & Ryvarden, L. (1984). The corticiaceae of north europe 7: Schizopora – Suillosporium. Fungiflora.

    Larsson, K.-H., & Ryvarden, L. (2021). Corticioid fungi of europe. volume 1: Acanthobasidium - Gyrodontium. Fungiflora.

    Hallo Björn,


    danke dir für deine Antwort! An Stereum rugosum hatte ich auch schon gedacht: das Verwachsen mit dem Substrat, die Farbe des Hymeniums und die leicht rötliche Verfärbung passen – auch die Sporenform und -größe. Unglücklicherweise habe ich im frischen Zustand nicht daran gekratzt, im getrockneten Zustand tut sich beim Kratzen nichts.


    Mikroskopisch gesehen passt zu Stereum rugosum zu meiner Verzweiflung leider einiges nicht. Neben den von dir erwähnten Acanthozystiden, die ich in keinem meiner Präparate finden konnte, sehe ich noch die folgenden Probleme (Infos aus Eriksson et al., 1984, p. 1429 entnommen):

    1. Auch Acutozystiden fehlen.
    2. Pseudozystiden mit öligem Inhalt, die mit Sulfuvanillin reagieren, fehlen.
    3. Das Hyphensystem von Stereum-Arten ist monomitisch, ich glaube aber Skeletthyphen gefunden zu haben (irre ich mich vielleicht?).

    Zudem sind die Sporen von Stereum-Arten amyloid, allerdings kann ich das, wie oben beschrieben, nicht sicher ausschließen. Da das der erste corticioide Pilz ist, den ich mikroskopiere, kann ich mit all meinen Zweifeln jeodch völlig daneben liegen!


    Herzliche Grüße,

    Vitus


    Literatur:

    Eriksson, J., Hjortstam, K., & Ryvarden, L. (1984). The Corticiaceae of North Europe 7: Schizopora – Suillosporium. Fungiflora.

    Hallo zusammen,


    am 13.11.2025 habe ich einen corticioiden Pilz auf Laubholz gefunden, den ich nicht einmal der Gattung nach zuordnen kann. Makroskopisch sieht er so aus:



    Aufgrund der leichten rötlichen Verfärbungen auf der Unterseite dachte ich erst, das Exemplar könnte gloeoplere Hyphen enthalten. Zwar konnte ich Hyphen mit tropfenförmigen Inhalt finden, allerdings waren diese in zu geringer Anzahl, nicht um Vaukolen angeordnet und auch nicht mit Sulfovanillin verfärbend:



    Die generativen Hyphen sind septiert, aber ohne Schnallen:



    Zudem gibt es noch einen weiteren, dickwandigeren Hyphentyp, den ich für Skeletthyphen halte. Diese kommen sowohl in transparenter Form als auch mit braunem Inhalt vor:




    Aus diesem Grund gehe ich von einem dimitischen Hyphensystem aus. Die Basidien sind viersporig und keulenförmig:



    Basalschnallen tragen sie nicht:



    Das Hymenium sieht unauffällig aus und enthält scheinbar keine sterilen Elemente:



    Hier noch ein Bild vom Subhymenium:



    Die Sporen sind ellipsoid und leicht gebogen, dünnwandig, glatt und mit gut erkennbarem Apiculus:



    Sporenmaße: 9,5 ± 0,8 µm × 4,1 ± 0,5 µm, Q̄ = 2,4 ± 0,3

    Reichweite: 8,4–11,7 µm × 3,4–5,3 µm, Q = 1,8–3,1

    n = 25


    Eine amyloide Reaktion unter dem Mikroskop konnte ich nicht erkennen, allerdings habe ich auch nicht mehrere Sporen übereinander gelagert beobachten können.


    Was den Aufbau der Schichten betrifft, kann ich diese Bilder anbieten:



    Zu guter Letzt habe ich in meinen Queschpräparaten zusätzlich diese Strukturen gefunden, die ich nicht weiter zuordnen kann:



    Auch nach stundenlangem Schlüsseln komme ich nicht einmal auf eine Gattung. Kann hier jemand Abhilfe schaffen, oder zumindest die dunkel gefärbten Skeletthyphen sowie die Tröpfchen in den generativen Hyphen erklären?


    Ich freue mich auf eure Antworten!


    Herzliche Grüße,

    Vitus

    Lieber Christoph,


    danke dir für deine Antwort! Ich fürchte, dass deine Information, dass es mit der Unterscheidung von Flammulina velutipes s. str. und Flammulina elastica f. longispora anhand der Sporengröße nicht so einfach ist, Shroom! und mir gerade einen dicken Strich durch die Rechnung macht. Christopher war so lieb und hat mir seine in Beitrag #10 beschriebenen, auffällig großen und auf Weide wachsenden Samtfußrüblinge zugeschickt. So sahen die Fruchtkörper geernet aus:



    Ich habe sie heute in getrocknetem Zustand noch einmal fotografiert und ausgemessen:



    Selbst getrocknet sind die Brecher über 10 cm im Durchmesser. Anschließend habe ich die Sporen gemessen:



    Sporenmaße: 8,3 ± 0,7 µm × 3,4 ± 0,2 µm, Q̄ = 2,4 ± 0,1

    Reichweite: 7,4–10,4 µm × 3,0–4,0 µm, Q = 2,1–2,7

    n = 25 (einzelne Messwerte als Tabelle in .txt-Datei angehängt)


    Unglücklicherweise stehen wir, wenn wir deinem Schüssel folgen, vom Q-Wert her mit 2,4 ± 0,1 genau zwischen den Stühlen. Ohne das Wissen aus deinem letzten Beitrag hätte ich mich jetzt auf das Maximum der Sporenlänge (hier: 10,4 µm, erste Reihe rechts im Bild) bezogen, damit Eintrag 5* ("Sporen nur bis 9,5 μm lang") ausschließen können und wäre bei der mir vermuteten Flammulina elastica f. longispora gelandet. Dieser Weg ist mir mit den neuesten Erkenntnissen verwehrt, oder sehe ich da etwas falsch?


    Falls nicht: Da die HDS der beiden Arten jeweils ein wirres Ixotrichderm ist, fehlen mir weitere Ansatzpunkte zur Unterscheidung. Weißt du, ob es hier ausschlaggebende Unterscheidungsmerkmale fernab von Sporengröße und -form gibt, kannst du Literatur empfehlen, oder warten wir auf die Ergebnisse deines Kollegen? Ich bin höchst gespannt auf die weitere Entwicklung zur Unterscheidung der beiden Arten!

    Herzliche Grüße,

    Vitus

    Lieber Emil,


    wunderbar, danke für's Einpflegen und die Erläuterungen! Jetzt habe ich auch endlich verstanden, wie du es mit der Kursivierung meintest: Rangangaben ("agg.". "var.", "f." etc). werden nicht kursiviert, die Namen – vor und hinter den Rangangaben – selbst schon!


    Bei mir ist der Artikel von 123pilze schon aktualisiert. Dort steht beispielsweise im Titel "ENOKI = FLAMMULINA FILIFORMIS = EIGENSTÄNDIGE ART". Es ist aber sehr gut möglich, dass dein Browser noch die alte Seite gespeichert hat; es sollte helfen, den Cache zu löschen und/oder Strg + F5 zum kompletten Refreshen zu drücken.

    Herzliche Grüße,

    Vitus

    Hallo zusammen,


    ich stimme zuehli da völlig zu; ich durfte diesen Sommer auch Bekanntschaft mit Hartbovisten machen und habe mich damit intensiv auseinandergesetzt. Ich hänge mal ein sehr detailliertes Pilzportrait von Scleroderma verrucosum an, wo ich auch auf die Unterschiede zwischen den Arten eingehe. Hier eine Übersicht, die ich aus der Literatur zusammengesammelt habe:


    Scleroderma verrucosum Scleroderma areolatum
    Größe der Fruchtkörper mittelgroß (3–7 cm) klein (1–3,5 cm)
    Länge des Scheinstiels lang (3–6 cm) kurz (1–2 cm)
    Beschaffenheit des Scheinstiels mit Hohlräumen größtenteils ausgefüllt
    Beschaffenheit der Schuppen ungleichmäßig, ohne Areolen regelmäßig, mit Areolen
    Grundfarbe der Exoperidie gelbbraun bis rotbraun rötlich-gelb (heller)
    Sporendurchmesser (7)8–10(11) µm (8)9–12(–14) µm
    Sporenornamente bis 1,4 µm hoch 1,5–2,5 µm hoch


    Aufgrund der hohen Variabilität der Exoperidien und Pseudorhizen ist eine sichere Unterscheidung nur anhand der mikroskopischen Merkmale – und hier besonders anhand der Länge der Stacheln – möglich.


    Herzliche Grüße,

    Vitus

    Lieber Emil,


    vielen Dank für deinen Beitrag – und danke, dass du dich um die Pilzartikel bei Wikipedia kümmerst! Das wusste ich noch nicht, nächstes Mal markiere ich dich in solchen Fällen. Auch, dass man Zusätze von wissenschaftlichen Namen nicht kursiviert, war mir neu. Ich finde schön, wie man im Forum solche Infos austauscht und sich gegenseitig hilft, immer ein Stückchen besser zu werden! In diesem Sinne: Ich habe den Wikipedia-Artikel zum gemeinen Samtfußrübling gerade noch einmal gelesen. Ich finde ihn sehr gelungen! Mir sind die folgenden Punkte aufgefallen:

    1. "Dagegen beziehen sich die Trivialnamen Samtfuß oder Samtfußrübling...": Da du die Namen hier nicht nutzt, um dich auf die Pilze zu beziehen, sondern sie als Namen erwähnst, gehören sie in Anführungszeichen; siehe Use vs. Mention.
    2. "Die Varietät lactea": Wenn ich deine obigen Ausführungen richtig verstehe, gehört "lactea" nicht kursiviert.
    3. "Die Sporen messen 6–9,5 x 3–4,5 µm": Statt "x" nutzt man hier das Multiplikationszeichen "×", das perfekt symmetrisch ist und höher steht. Dasselbe gilt für "6-9 x 4-5 µm".
    4. "Der tödlich giftige Gift-Häubling (Galerina marginata) hat einen nicht schwarzsamtigen, sondern silbrig faserigen, beringten Stiel": Wäre hier "hat keinen schwarzsamtigen, sondern einen ..." vielleicht schöner?
    5. "Alle genannten Arten und Gattungen unterscheiden sich außerdem durch ihr braunes Sporenpulver den nicht schwarzsamtigen Stiel": Vor "den" scheint mir ein "und" zu fehlen.
    6. "Eine besondere Vorliebe zeigt der Samtfußrübling für die Gattungen Salix (Weiden), Populus (Pappeln), Fraxinus (Eschen) und Holunder": Hier wäre es konsistent, "Sambucus (Holunder)" zu schreiben.
    7. "Die einfache Kultivierung des saprotroph lebenden Gemeinen Samtfußrüblings führte dazu, dass Flammulina velutipes ein beliebtes Objekt in der wissenschaftlichen Forschung wurde": Hier wird es sich vermutlich um Flammulina filiformis gehandelt haben. Leider gibt es keinen Methodik-Teil der Studie, wo Genaueres erläutert wird, aber 1996 wusste man nichts von der Unterscheidung und hat vermutlich man einfach ein Growset genommen, das immer Flammulina filiformis ist. Vielleicht könnte man das so klarstellen: "Die einfache Kultivierung der saprotroph lebenden Samtfußrüblinge führte dazu, dass die Zuchtform der nah verwandten Flammulina filiformis ein beliebtes Objekt in der wissenschaftlichen Forschung wurde."
    8. Ähnliches gilt für den Artikel der Gattung. Hier steht "Kulturen von Flammulina velutipes wurden im Space Shuttle Columbia untersucht, um das Wachstum mit geringer Schwerkraft zu untersuchen.[15]".

    Da ich nicht mit allen Stichpunkten zu 123pilze etwas anfangen kann, traue ich mir nicht zu, all deine Punkte korrekt wiederzugeben. Ich habe mich aber darum gekümmert, dass der Eintrag von 123pilze geändert wird; Wolfgang Bachmeier hat sich sofort darum gekümmert.


    Herzliche Grüße,

    Vitus

    Lieber Reinhard,


    ja, es handelt sich um Trametes gibbosa! Gerade bei den Fruchtkörpern an der oberen Kante der Schnittfläche sieht man die Buckel gut. Jedes Merkmal ist bei deinem Fund charakteristisch.


    Herzliche Grüße,

    Vitus