Cortinarius bovinus -> sequenziert

Es gibt 22 Antworten in diesem Thema, welches 3.803 mal aufgerufen wurde. Der letzte Beitrag () ist von ibex.

  • Hallo zusammen


    Hier ist noch ein weiterer Schleierling aus dem kalkhaltigen Fichtenwald (vereinzelt mit Lärchen) auf ca. 1700m, wo ich kürzlich unterwegs war. Diese Gruppe habe ich ganz am Anfang bei jungen Fichten gefunden. Das Velum ist weiss, den Hut empfand ich eigentlich als nicht oder kaum hygrophan. Den Geruch würde ich als schwach, angenehm champignonartig beschreiben. Die Basis ist keulig bis zwiebelig-knollig. Die Lamellenschneiden sind stellenweise etwas weisslich.


    Ich habe zuerst mit dem FN geschlüsselt, kam aber leider nicht so richtig zu etwas Passendem. Dann habe noch etwas gesucht und testweise noch mit dem PdS geschlüsselt. Dort kam ich zu Cortinarius privignoides - Zwiebel-Wasserkopf. Wenn ich mir die Beschreibung durchlese passt das eigentlich sehr gut zu meinem Fund (auch die Sporen). Dort steht z.B. auch "kaum hygrophan". Hier habe ich auch noch ein paar Infos gefunden: https://www.mushroomexpert.com/cortinarius_privignoides.html

    Ich habe dann mal im FN nach Cortinarius privignoides gesucht und dieser wird dort unter Cortinarius carneinatus aufgeführt. Wenn ich mir dort aber die Beschreibung durchlese stimmen mMn ein paar Sachen nicht mit meinem Fund überein. Z.B. steht dort stark hygrophan, die Sporen sind schmaler und kürzer.


    Die Beschreibung im PdS würde gut zu meinem Fund passen, aber das ist ja auch schon in die Jahre gekommen. Wäre toll, wenn da jemand von den Schleierlingsexperten etwas Licht ins Dunkle bringen könnte.









    Ich habe 20 Sporen gemessen: 9.1 µm (8.4 - 9.7 µm) x 6.0 (5.7 - 6.3 µm), Q = 1.52 (1.43 - 1.64):






    Wie immer wäre ich sehr dankbar für eine Einschätzung, besonders natürlich auch unserer Schleierlingsexperten Uwe Cortinarius , Günter Mykollege_Günter und Matthias Matthias .


    Vielen Dank im Voraus und LG

    Benjamin

    Mit meinen Beiträgen gebe ich lediglich meine persönliche Einschätzung/Meinung ab. Sie sind nur als Vorschläge zu werten und es gibt damit insbesondere keine Verzehrsfreigaben meinerseits. Eine sichere Bestimmung sowie Verzehrsfreigabe kann nur der Pilzkontrolleur bzw. Pilzsachverständige vor Ort geben.

  • Hallo ibex,

    ich bin jetzt keiner von den genannten Experten, aber da deine Pilze anscheinend einen Velumgürtel am Stiel haben, würde ich sie bei den Gürtelfüssen suchen. Da die Lamellen so rotkrautrot aussehen, wäre mein erster Verdacht, ohne die Sporen gecheckt zu haben, der Wohlriechende Gürtelfuss (C. torvus).

    FG

    Oehrling

    PSVs dürfen weder über I-Net noch übers Telefon Pilze zum Essen freigeben - da musst du schon mit deinem Pilz zum lokalen PSV!

  • Hallo Oehrling


    Besten Dank für deine Einschätzung. Natürlich darf sich gerne jeder melden, nicht nur die aufgeführten Experten und ich denke du weisst, dass ich deine Einschätzung immer sehr schätze. An C. torvus glaube ich aber nicht. Der Geruch ist mMn überhaupt nicht süsslich-fruchtig, sondern eher etwas würzig-champignonartig. Zudem konnte ich eigentlich nichts violettes am Pilz erkennen und auch die von dir genannten rotkrautroten Lamellen sehe ich weder live, noch auf einem der Fotos oben. Auf welchem siehst du denn diese? Leider konnte ich die Studioaufnahmen erst ein paar Tage nach dem Fund machen und daher sind die ersten zwei Fotos zur Einschätzung der Farben besser geeignet. Die Lamellenfarbe hätte ich als etwas dunkel milchkaffeefarben beschrieben. Auch der Standort passt laut meiner Literatur nicht zu C. torvus. Dieser soll in sauren Gebieten, vor allem bei Laubbäumen oder wenn bei Nadelbäumen, dann bei Tannen, wachsen. Das Fundgebiet ist aber kalkhaltig und in der Nähe standen junge Fichten.


    LG

    Benjamin

    Mit meinen Beiträgen gebe ich lediglich meine persönliche Einschätzung/Meinung ab. Sie sind nur als Vorschläge zu werten und es gibt damit insbesondere keine Verzehrsfreigaben meinerseits. Eine sichere Bestimmung sowie Verzehrsfreigabe kann nur der Pilzkontrolleur bzw. Pilzsachverständige vor Ort geben.

  • auch die von dir genannten rotkrautroten Lamellen sehe ich weder live, noch auf einem der Fotos oben. Auf welchem siehst du denn diese?


    Auf dem Foto mit den Schnittbildern und dem Lineal, welches zugegeben ein Kunstlicht-Foto ist.

    Also gut, dann halt kein C. torvus, wurde ja von mir auch nur als erster Verdacht genannt. Vielleicht haben die Experten andere Ideen.

    FG

    Oehrling

    PSVs dürfen weder über I-Net noch übers Telefon Pilze zum Essen freigeben - da musst du schon mit deinem Pilz zum lokalen PSV!

  • Danke für deine Antwort. OK, für mich sind sie dort einfach nur dunkelbraun. Meine Antwort war auch keinesfalls negativ gemeint, ich bin immer für Ideen und Einschätzungen dankbar.


    LG

    Benjamin

    Mit meinen Beiträgen gebe ich lediglich meine persönliche Einschätzung/Meinung ab. Sie sind nur als Vorschläge zu werten und es gibt damit insbesondere keine Verzehrsfreigaben meinerseits. Eine sichere Bestimmung sowie Verzehrsfreigabe kann nur der Pilzkontrolleur bzw. Pilzsachverständige vor Ort geben.

  • Also: torvus ist eine Laubwaldart, kommt hier also nicht infrage.

    Schwierig, ich würde die vielleicht bei den Firmiores suchen, (vergleiche mal mit C. uxorum) oder doch eher bei den Bovini (vgl. C. bubulus, bovinus, fuscobovinaster....)

  • Hi Benjamin

    Einen Tip habe ich da nicht.

    Bei mir kommt der Hut mit leichtem Stich ins Olivfarben rüber und scheint auch etwas seidig zu glänzen. Siehst du das auch? Wichtig ist sicher auch die etwas abgesetzte Velumzone.

    Das wäre mal ein guter Sequenzierungskandidat, anderst kommt man da nicht zu einer annähernd tragfähigen Bestimmung.

    Deine Doku ist ja vorbildlich, da würde sich der Aufwand sicher lohnen

    Gruß

    Uwe

  • Hallo zusammen


    Vielen Dank für die Antworten.

    Schwierig, ich würde die vielleicht bei den Firmiores suchen, (vergleiche mal mit C. uxorum) oder doch eher bei den Bovini (vgl. C. bubulus, bovinus, fuscobovinaster....)

    Vielen Dank für die Vorschläge. Leider ist es für mich etwas schwierig mit den genannten zu vergleichen, da ich nicht viele Infos dazu finde. In meiner Literatur sind viele gar nicht zu finden. Gibt es eigentlich gute Literatur (so etwas wie den Ludwig) speziell für Telamonia mit guten, ausführlichen Beschreibungen (auf Deutsch oder Englisch) und evtl. Zeichnungen oder ist so etwas in Arbeit? Ich finde Telamonia nicht nur sehr schwierig zu bestimmen, sondern mir scheint auch, dass es dazu nicht gerade viel an guter Literatur gibt oder täusche ich mich da? Ich werde den Pilz aber wohl auch mal sequenzieren lassen, vielleicht kommen wir dann zu einem Ergebnis. :)


    Bei mir kommt der Hut mit leichtem Stich ins Olivfarben rüber und scheint auch etwas seidig zu glänzen. Siehst du das auch? Wichtig ist sicher auch die etwas abgesetzte Velumzone.

    Also dass er etwas seidig glänzt finde ich auch und ein ganz leichter Stich ins Olive denke ich, sollte auch passen. Ich tue mich immer noch etwas schwer bei so genauen Beschreibungen. :) Diese etwas abgesetzte Velumzone ist mir aber auch gleich aufgefallen.


    Das wäre mal ein guter Sequenzierungskandidat, anderst kommt man da nicht zu einer annähernd tragfähigen Bestimmung.

    Deine Doku ist ja vorbildlich, da würde sich der Aufwand sicher lohnen

    Vielen Dank. Macht es eigentlich einen Sinn bei Cortinarien auch immer die HDS zu mikroskopieren, oder eher nicht? Das habe ich hier nämlich jetzt noch nicht gemacht, könnte ich aber noch nachholen. Den Fund werde ich in diesem Fall wohl auch mal sequenzieren lassen.


    LG

    Benjamin

    Mit meinen Beiträgen gebe ich lediglich meine persönliche Einschätzung/Meinung ab. Sie sind nur als Vorschläge zu werten und es gibt damit insbesondere keine Verzehrsfreigaben meinerseits. Eine sichere Bestimmung sowie Verzehrsfreigabe kann nur der Pilzkontrolleur bzw. Pilzsachverständige vor Ort geben.

  • Gibt es eigentlich gute Literatur (so etwas wie den Ludwig) speziell für Telamonia mit guten, ausführlichen Beschreibungen (auf Deutsch oder Englisch) und evtl. Zeichnungen oder ist so etwas in Arbeit? Ich finde Telamonia nicht nur sehr schwierig zu bestimmen, sondern mir scheint auch, dass es dazu nicht gerade viel an guter Literatur gibt oder täusche ich mich da?

    Hallo Ben


    Telamonia ist in Sachen Literatur absolutes Brachland.

    Vielleicht findest du ein wissenschaftliches Paper, das deinen Artenkomplex im Detail bearbeitet.

    Das ist aber eher Glück als die Regel.


    Ansonsten gibt es noch den Atlas des Cortinaires, da ist zumindest sehr viel drin, aber die haben es massiv übertrieben und viel zu viele neue Arten geschaffen.

    Mit den gewöhnungsbedürftigen Schlüsseln kommt man auch nicht immer ans Ziel, aber zumindest in die Nähe, dann kann man auf dieser Basis weiterführende Literatur suchen.

    Nur nach dem Atlas bestimmen ist wenig sinnvoll.

    Oder du nimmst die Bestimmung nach Funga Nordica als Ausgangslage und suchst auf dieser Basis Fachartikel.


    Für eine belastbare Bestimmung bleibt meistens nur die Sequenzierung.

    Viele Arten lassen sich morphologisch überhaupt nicht zuverlässig unterscheiden, die sind viel variabler als man früher angenommen hat.


    Bei Cortinarius habe ich mir angewöhnt, HDS und Stiel grundsätzlich immer zu mikroskopieren, geht ja schnell.

    Oft ist das nicht nötig, aber das weiss man nicht immer im Voraus.

    Ist dann ärgerlich, wenn man es am Herbarmaterial nachholen muss, Frischmaterial ist halt schon einfacher zu bearbeiten.


    Gruss Raphael

  • Hallo Raphael


    Vielen Dank für die vielen Informationen, die mir sehr weitergeholfen haben. In den Atlas des Cortinaires habe ich auch schon reingeschaut, aber ich fand das irgendwie alles so unübersichtlich. :) Gibt es dazu eigentlich irgendwo ein Verzeichnis, wo alle enthaltenen Schleierlinge aufgeführt sind mit der Info in welchem Band und auf welcher Seite diese sind? Da gibt es nämlich so viele Bände, dass ich, wo ich mir das mal anschauen wollte, irgendwie überhaupt keinen Überblick mehr hatte.


    OK, dann werde ich wohl auch die HDS mikroskopieren. Entschuldige die blöde Frage, aber beim Stiel suche ich einfach nur nach Caulos, oder? Und falls ja, an der Stielspitze und unterhalb der Mitte? Bisher habe ich noch nie etwas am Herbarmaterial untersucht, stelle es mir aber schwierig vor. Muss mich da mal einlesen, wie das überhaupt am besten funktioniert. Das ist evtl. dann etwas für den Winter. :)


    LG

    Benjamin

    Mit meinen Beiträgen gebe ich lediglich meine persönliche Einschätzung/Meinung ab. Sie sind nur als Vorschläge zu werten und es gibt damit insbesondere keine Verzehrsfreigaben meinerseits. Eine sichere Bestimmung sowie Verzehrsfreigabe kann nur der Pilzkontrolleur bzw. Pilzsachverständige vor Ort geben.

  • Hallo Ben


    In den Heften des AdC ist bei jedem Band ein Gesamtverzeichnis. Also im Heft zu Band 24 ist alles drin.

    Ganz wichtig ist ein Überblick, welche Arten inzwischen synonymisiert wurden.

    Dabei ist Günters Abbildungsverzeichnis extrem hilfreich, die "mission impossible" von Liimatainen et al. und diverse andere Fachartikel.

    Du verzettelst dich sonst bei der Bestimmung, und am Ende kommt raus dass du vier Arten in Betracht gezogen hast, die sich genetisch alle als identisch erwiesen haben.

    Bei einigen Arten gibt es da über 10 Synonyme über verschiedene Telamonia-Sektionen des AdC.


    Stiel: Spezifische Kaulozystiden gibt es meines Wissens nicht bei Cortinarius, oder sie sind für die Bestimmung unwichtig.

    Aber z.B. bei kleinen Telamonien sind die Stielhyphen manchmal inkrustiert, das wäre in der Funga Nordica eine Schlüsselfrage.

    Wenn es nicht zu viel Velum gibt, kannst du die abgefallenen/reifen Sporen am Stiel und die Stielhyphen im gleichen Präparat anschauen.


    Gruss Raphael

  • Hallo nochmal


    Ich danke euch ganz herzlich für die ganzen Infos und die tollen Erklärungen.


    Stiel: Spezifische Kaulozystiden gibt es meines Wissens nicht bei Cortinarius, oder sie sind für die Bestimmung unwichtig.

    Aber z.B. bei kleinen Telamonien sind die Stielhyphen manchmal inkrustiert, das wäre in der Funga Nordica eine Schlüsselfrage.

    Wenn es nicht zu viel Velum gibt, kannst du die abgefallenen/reifen Sporen am Stiel und die Stielhyphen im gleichen Präparat anschauen.

    Da sieht man eben, dass ich, vor allem auch im Zusammenhang mit bestimmungsrelevanten Merkmalen, noch Mikroneuling bin. ^^ Vielen Dank für die Erklärung. Ob ich das dann immer alles mache, kann ich zwar noch nicht versprechen, aber ich gebe mir Mühe. Bei mir geht das nämlich nie so schnell, wie bei euch Mikro-Profis. :)


    LG

    Benjamin

    Mit meinen Beiträgen gebe ich lediglich meine persönliche Einschätzung/Meinung ab. Sie sind nur als Vorschläge zu werten und es gibt damit insbesondere keine Verzehrsfreigaben meinerseits. Eine sichere Bestimmung sowie Verzehrsfreigabe kann nur der Pilzkontrolleur bzw. Pilzsachverständige vor Ort geben.

  • Servus Benjamin,


    natürlich kannst du die gesamte Mikroskopie bei Cortinarius auch am Exsikkat-Material machen. Einfach in KOH mikroskopieren. Bei vielen Kollektionen sind Sporenabwurfpräparate (auf Objektträgern) ganz nützlich, vor allem, wenn es Kollektionen bzw. Arten mit wenig Cortina sind. Ich mache die HDS auch routinemäßig. Wie Raphael schon sagte, es muss nicht zwingend nützlich sein, aber in vielen Fällen ergeben sich daraus auch neue Bestimmungsmerkmale. Allein an der Färbung eines HDS-Präparats in KOH kann man z.B. mit ein bisschen Erfahrung schon erkennen, ob eine Kollektion eher zu den Obtusi oder zu den Flexipedes gehört.


    Beste Grüße

    Hias

  • Griass Di Matthias


    Vielen Dank für deine Antwort. Wie macht man das dann genau? Versucht man vom trockenen Exsikkat z.B. ein Stücken Huthaut rauszubrechen und und legt diese dann auf den Objektträger in KOH. Das stelle ich mir sehr schwierig vor. Oder schneidet man sich zuerst z.B. einen halben Hut aus dem Exsikkat und weicht diesen dann in KOH ein und schneidet dann ein kleines Stückchen (z.B. Huthaut) raus?

    Also wenn ich dich richtig verstanden habe, sollte man auch die HDS bei Schleierlingen immer in KOH mikroskopieren. Bisher habe ich das nämlich immer in Wasser gemacht, dann ist das gut zu wissen, vielen Dank. Also kann man eigentlich sagen, dass man bei Schleierlingen eigentlich immer alles in KOH mikroskopiert, oder?


    LG

    Benjamin

    Mit meinen Beiträgen gebe ich lediglich meine persönliche Einschätzung/Meinung ab. Sie sind nur als Vorschläge zu werten und es gibt damit insbesondere keine Verzehrsfreigaben meinerseits. Eine sichere Bestimmung sowie Verzehrsfreigabe kann nur der Pilzkontrolleur bzw. Pilzsachverständige vor Ort geben.

  • Hallo Benjamin

    Das Exsikkat muss man zuerst in KOH aufweichen lassen, dabei kannst du ein Teilstück entnehmen und in einem Objektträger mit Vertiefung einige Zeit aufschwellen lassen.

    Anschliessend kannst du mit der weiteren Untersuchung fortfahren. Ich verwende auch fast nur noch KOH 3% zum mikroskopieren, mir gefällt das arbeiten damit -> man sieht so die Inkrustierung oder andere Pigmentierung. Man kann nicht generell sagen nur noch KOH verwenden, bei Ramaria für das Sporenornament benutze ich BWB Baumwollblau. Bei vielen FK eignet sich auch sehr gut Kongorot um die Zystiden anzuschauen.


    ich kann dir folgende Literatur von Heinz Clemencon empfehlen:

    Methods for Working with Macrofungi Laboratory Cultivation and Preparation of Larger Fungi for Light Microscopy

    aber es ist glaube ich out of print.


    BG Andy

  • Hallo Andy


    Danke dir für die Erklärung. Also wenn ich das richtig verstehe entnehme ich ein Stück vom Exsikkat, z.B. je nach Grösse einen halben Hut und weiche diesen zuerst in KOH ein. Dann nehme ich von diesem Stück eine kleine Probe, die ich untersuchen möchte und mikroskopiere diese in KOH. Objektträger mit Vertiefung habe ich gar keine. muss ich mal schauen, wo man die kaufen kann.

    Mir ist eigentlich am liebsten, wenn ich Wasser zum Mikroskopieren nehmen kann, allerdings habe ich mit KOH auch kein Problem (wenn es sinnvoll ist, was ja bei Cortinarien und z.B. auch Inocybe der Fall ist). Super wäre so eine Art Übersicht, wo man direkt sieht, welche Gattungen (und Pilzteile davon) man am besten in was mikroskopiert. Färben ist auch kein Problem, aber das möchte ich eigentlich auch nur machen, wenn es wirklich viel bringt und ich die Merkmale nur dadurch sehe.


    Vielen Dank für den Buchtipp. Ich habe das Buch sogar, aber bisher aus Zeitmangel leider noch kaum reingeschaut. Vielleicht kann ich das dann im Winter mal ein bisschen durchlesen. Dort gibt es nicht so eine Übersicht welche Gattungen man am besten in was mikroskopiert oder vielleicht doch?


    LG
    Benjamin

    Mit meinen Beiträgen gebe ich lediglich meine persönliche Einschätzung/Meinung ab. Sie sind nur als Vorschläge zu werten und es gibt damit insbesondere keine Verzehrsfreigaben meinerseits. Eine sichere Bestimmung sowie Verzehrsfreigabe kann nur der Pilzkontrolleur bzw. Pilzsachverständige vor Ort geben.

  • Hallo Benjamin,

    nicht das ganze Exikkat einweichen, du schneidest wie beim Frischpilz ein Teil deiner Wahl (z.B. Huthaut oder Lamelle) als Präperat ab. Huthautschnitte gehen am getrockneten Beleg meist besser als beim Frischpilz weil sich das Fleisch beim Schneiden nicht verformt,

    viele Grüsse

    Matthias

  • Hallo Matthias


    Vielen Dank für die Erklärung, ich glaube jetzt weiss ich langsam, wie es gemeint ist. ^^ Ich stelle mir das noch relativ schwierig vor, habe es aber auch noch nie probiert. In meinen Gedanken bröselt mir das Exsikkat beim Versuch ein kleinen Stück rauszuschneiden weg. Aber es wird dann hoffentlich doch nicht ganz so schlimm sein. ^^


    Wenn man aber das ganze Exsikkat einweichen würde, wäre es ja auch etwas blöd, denn dann wäre nach einer Untersuchung unter Umständen vom Exsikkat nichts mehr übrig, denn ich glaube nicht, dass man es dann ein weiteres Mal trocknen könnte, ohne dass die Qualität sehr darunter leider würde.


    LG

    Benjamin

    Mit meinen Beiträgen gebe ich lediglich meine persönliche Einschätzung/Meinung ab. Sie sind nur als Vorschläge zu werten und es gibt damit insbesondere keine Verzehrsfreigaben meinerseits. Eine sichere Bestimmung sowie Verzehrsfreigabe kann nur der Pilzkontrolleur bzw. Pilzsachverständige vor Ort geben.

  • Servus Benjamin,


    es gibt sehr unterschiedliche Methoden der Exsikkat-Mikroskopie und sicher gibt es keine, die "der Weisheit letzter Schluss" ist.

    Ich persönlich weiche weder die Exsikkate noch Teile davon vorher in KOH ein, sondern präpariere wie beim Frischpilz. Wie Matthias schon schrieb, geht das bei bestimmten Aufgabenstellung sogar besser als beim Frischpilz (z.B. Huthautschnitt bei schleimigen Milchlingen). Es ist auf jeden Fall in der Regel kein Hexenwerk, das kriegst du sicher hin. Schwierig wird es nur bei sehr kleinen Pilzen, die man nach dem Trocknen kaum mehr findet und ohne spezielle Technik nicht mehr richtig präparieren kann.


    Beste Grüße

    Matthias

  • Servus Matthias


    Vielen Dank, ich werde es dann versuchen. Ich denke im Winter, wenn es bei uns ausser Schnee und Skifahren nicht viel anderes gibt, werde ich vielleicht mal das ein oder andere Exsikkat versuchen zu mikroskopieren.


    LG

    Benjamin

    Mit meinen Beiträgen gebe ich lediglich meine persönliche Einschätzung/Meinung ab. Sie sind nur als Vorschläge zu werten und es gibt damit insbesondere keine Verzehrsfreigaben meinerseits. Eine sichere Bestimmung sowie Verzehrsfreigabe kann nur der Pilzkontrolleur bzw. Pilzsachverständige vor Ort geben.

  • Hallo zusammen


    Ich wollte nur kurz Bescheid geben, dass der Pilz aus dem Startbeitrag, zusammen mit 3 weiteren Cortinarien auf dem Weg nach Spanien (Sequenzierung) zu Pablo sind. Sobald ich etwas weiss, gebe ich euch natürlich im jeweiligen Thread Bescheid. Bin schon gespannt.


    LG

    Benjamin

    Mit meinen Beiträgen gebe ich lediglich meine persönliche Einschätzung/Meinung ab. Sie sind nur als Vorschläge zu werten und es gibt damit insbesondere keine Verzehrsfreigaben meinerseits. Eine sichere Bestimmung sowie Verzehrsfreigabe kann nur der Pilzkontrolleur bzw. Pilzsachverständige vor Ort geben.

  • Hallo zusammen


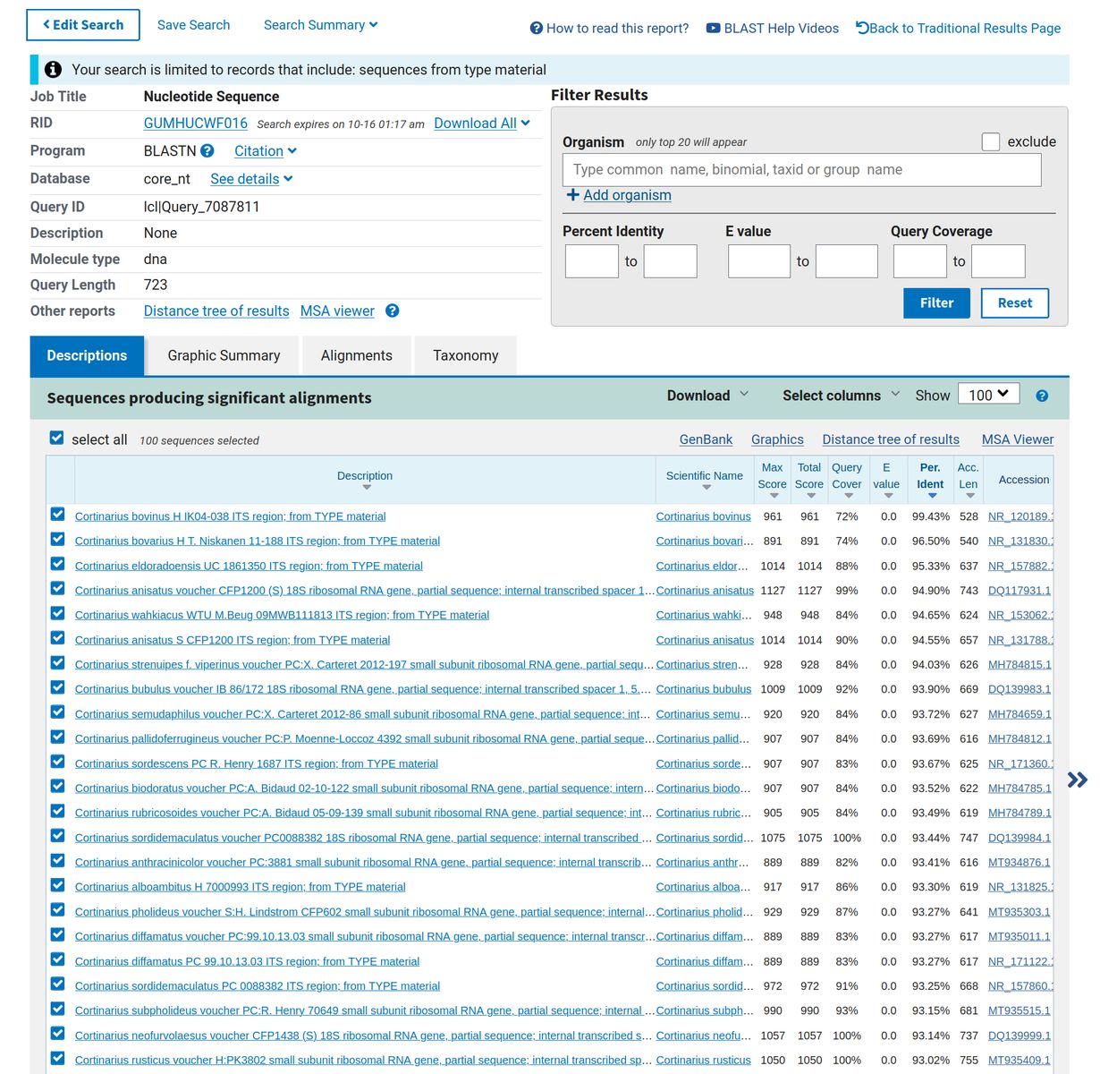
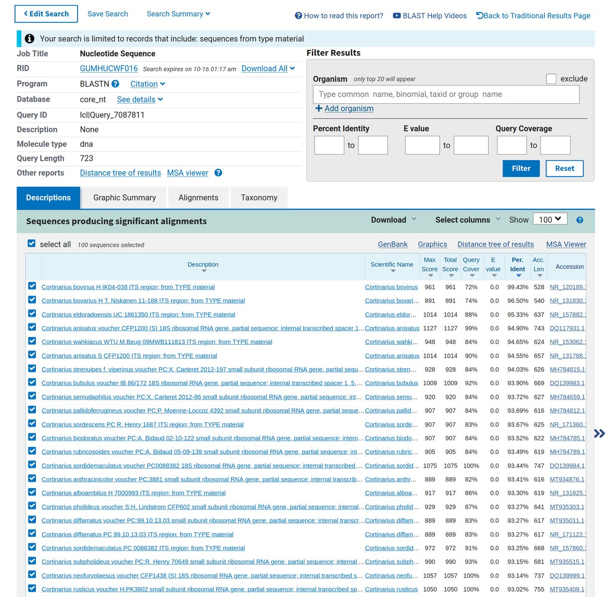
    Auch hier gibt es ein Update. Die Probe ist auch sequenziert und es deutet alles auf Cortinarius bovinus hin. Mykollege_Günter hatte wieder das richtige Auge und einer seiner Vorschläge scheint genau zu passen. :thumbup: Diese Artenkenntnis bei dieser schwierigen Gruppe finde ich schon unglaublich faszinierend. Wiederum vielen Dank.


    Hier die Ergebnisse vom NIH (Query Cover ist mit 72% etwas tief):



    Hier die Ergebnisse von Unite:


    Gibt es bei Unite eigentlich nur die Prozentangabe und falls ja, was bedeutet sie dann? Beim NIH gibt es ja den Query Cover und den Per. Indent Wert und beide haben, soweit ich weiss, ihre Wichtigkeit. Im Idealfall sollten ja beide möglichst hoch sein. Bei Unite gibt es jedoch nur diese Prozentangabe. Falls das jemand erläutern könnte, wäre ich sehr dankbar.


    LG
    Benjamin

    Mit meinen Beiträgen gebe ich lediglich meine persönliche Einschätzung/Meinung ab. Sie sind nur als Vorschläge zu werten und es gibt damit insbesondere keine Verzehrsfreigaben meinerseits. Eine sichere Bestimmung sowie Verzehrsfreigabe kann nur der Pilzkontrolleur bzw. Pilzsachverständige vor Ort geben.

  • ibex

    Hat den Titel des Themas von „Cortinarius privignoides - Zwiebel-Wasserkopf?“ zu „Cortinarius bovinus -> sequenziert“ geändert.