Hallo zusammen,
am Sonntag hat es mich mal wieder nach Sythen in die Borkenberge getrieben, wo man seit letztem Jahr auf einer asphaltierten Straße durch das Gelände des ehemaligen Truppenübungsplatzes spazieren kann. Das Gebiet zeichnet sich vor allem durch Kiefern- und Heidebestände auf Sandböden aus, daneben gibt es aber auch Eichen und vereinzelt ein paar Buchen. Und natürlich jede Menge Pilze:
1. Mycena haematopus
2. Lycoperdon excipuliforme
3. Lactarius deliciosus
4. Microstroma album ex Quercus robur
5. Spilopodia nervisequa ex Plantago lanceolata
6. Cortinarius sp. bei Buche und Eiche, wobei auch eine Kiefer nicht auszuschließen ist. Hat einen eher angenehmen Geruch, den ich aber nicht näher beschreiben kann. Einige Exemplare liegen auch im Kühlschrank.
7. Leucopaxillus giganteus?
8. Suillus luteus
9. Coprinus comatus
10. Clitocybe nebularis
11. Hier lande ich bei Laccaria proxima
Basidien 4-sporig
Sporen (9.1+-0.4) µm x (7.1+-0.3) µm, Q=1.28+-0.04
12. Amanita phalloides, ein seltener Gast in unseren Gefilden
13. Tricholoma sulphureum
14. Cuphophyllus virgineus
15. Suillus bovinus
16. Boletus edulis
17. Melampsora cf. allii-populina ex Populus sp.
18. Macrolepiota sp.
19. Clitopilus geminus
20. Hygrocybe sp. Geschmack nicht bitter, Hut und Stiel nicht schleimig, Hut leicht schuppig
Huthaut
Basidien überwiegend 4-sporig
Sporengröße (7.3+-0.6) µm x (4.3+-0.4) µm, Q=1.7+-0.1
21. Lactarius pubescens
22.
Huthaut
Lamellen ohne Zystiden
Sporengröße (7.8+-0.7) x (4.9+-0.5) µm, Q=1.6+-0.1
23. Eine Hebeloma. Liegt auch im Kühlschrank.
24. Hygrocybe conica
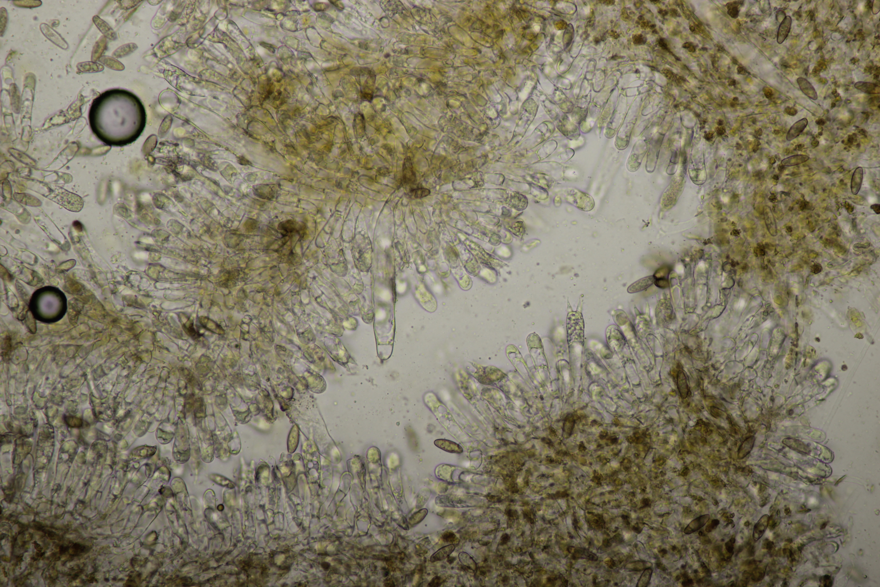
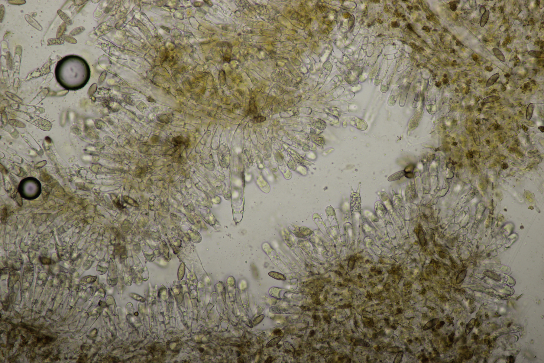
25. Chroogomphus mediterraneus
Pleurozystiden
Basidien
Cheilozystiden teilweise inkrustiert
Huthaut
Sporen
Huthaut in Melzer. Einige Hyphen werden blau, aber reicht offenbar nicht C. rutilus, wie mit Enno bei FB sagte.
Nochmal Zystiden
Nochmal Sporen
26. Tricholoma sp. unter 2-nadeliger Kiefer
27. Cladonia sp.
28. Lophodermium pinastri auf 2-nadeliger Kiefer
29. Cyclaneusma minus auf der gleichen Nadel
30. Entoloma sericeum mit dem typischen, gerieften Hut und Mehlgeruch.
31. Tricholoma sp. unter Kiefer
32. Mucilago crustacea
33. Tricholoma sp.? Unter Eiche, Kiefer, Traubenkirsche, Weißdorn und Birke. Ein Exemplar liegt im Kühlschrank und kann bei Bedarf näher betrachtet werden
34. Tricholoma sp. unter Quercus.Da liegt ebenfalls ein Exemplar im Kühlschrank
35. Auriscalpium vulgare
36. Cystoderma amianthinum
37. Sparassis crispa
38. Lactarius turpis
Björn
