Seruvs beiernand,
heute war ich mit dem Nachwuchs an einem Spielplatz in einem alten Park. Dort fand ich an einem dicken umgestürzten Baumstamm Becherlinge.
Auf die will ich später nochmal zurück kommen. (aus der Ferne: Gyromitra ancilis, gebonkt oder? =D *
Erstmal solls um den Baustamm gehen: auf den ersten Blick ein klarer Fall. Wie überall in meiner Gegend auf Sandboden alles voller Kiefern.
Passt: abblätternde, grob eingerissene Rinde in rötlichen Tönen.
Moment: irgendwie ist das doch zu grobschollig für eine Kiefer oder? und auch der der Stammdurchmesser ist ganz schön groß..
Was steht denn in der näheren Umgebung? Oh Mist, wir sind in einem Park... hier steht so einiges: (wohl) Sequoia/Redwood, Wymouthkiefer, Douglasie, irgendwelche Tannen, Platane, gewöhnliche Kiefer, Rotbuchen, irgendwelche Zierbuchen, Zypressen, Ahorn, Linde und andere manchmal sehr dicke Baumriesen vielleicht um die Jahrhunderwende gepflanzt.
Das hilft nicht wirklich weiter... es könnte alles sein.
Aber was ist denn da dran? Aha (flache?) Lackporlinge:
Damit scheints jetzt klar oder? Es sollte Laubholz sein! Pappel könnte doch hinkommen?
Hm.. sonst steht im gesamten Park keine einzige Pappel.. feucht ist der Untergrund auch nicht sonderlich. Das nährt Zweifel.. und kann die Pappelrinde wirklich so fein abblättern wie ein Croissant? (falls das für euch klar ist vergebt mir, hier gibts wirklich selten Pappeln/Weiden, daher hab ich das nicht im Kopf, aber es kommt mir irgendwie spanisch vor)
Kurz mal das mobile Phon bemüht: Ganoderma applanatum (und auch adspersum, siehe Antwort @Beli) darf auch selten an Nadelholz gehen... hm... wenn es doch irgendeine exotische Nadelholzart ist?
Leider ist der Stamm bereits so verwittert dass keine kleineren Ästchen oder gar anhaftende Nadeln mehr vorhanden sind. Dort wo die Rinde fast herunter ist zeigen sich Hallimasch Rhizomorphen (siehe auch Bild 2). Aber das hilft auch nicht weiter, der befällt ja so ziemlich Alles.
Beim genaueren betrachten der Rinde fand ich diese kleinen schwarzen Punkte. Zufällig habe ich letzte Woche einen Eimer voll Zapfen mikroskopiert auf der (leider bisher erfolglosen) Suche nach Phragmotrichum chailletii. Da waren auch Spaltlippen dabei, die ich für Kiefernnadelspaltlippen/Lophodermium pinastri halte (Beitrag folgt). Die sahen durchaus ähnlich aus, so makroskopisch betrachtet.
Anscheinend kommen viele Spaltlippenarten gerne auf Kiefern vor... aber längst nicht alle: es gibt auch Laubholzbesiedelnde Arten der Gattung Hysterium/Hysterographium. Schade, wär auch zu einfach gewesen.
Nachdem ich mir vor Ort zwar zu Laubholz/Pappel tendierte, aber wegen der Blättrigkeit der Rinde nicht 100% sicher war ob es nicht doch eine Art Riesenkiefer sein könnte, habe ich ein kleines Stück Holz mitgenommen in der Hoffnung man könnte diese Frage vielleicht mikroskopisch oder mit irgendeiner Färbung klären.
Es erinnert mich schon deutlich an Pappelfurnier:
Ohne großes Wissen über Eigenschaften von Laub und Nadelholz hoffte ich darauf, dass es fundamentale mikroanatomische Unterschiede geben könnte zwischen Laub und Nadelholz. Das wär doch Klasse oder? Einfach unters Mikroskop und der Fall ist klar? Eine Bildersuche bei Mr. Gu-Gl fand leider keine entsprechenden Bilder oder Hinweise wie das zu klären sein könnte.
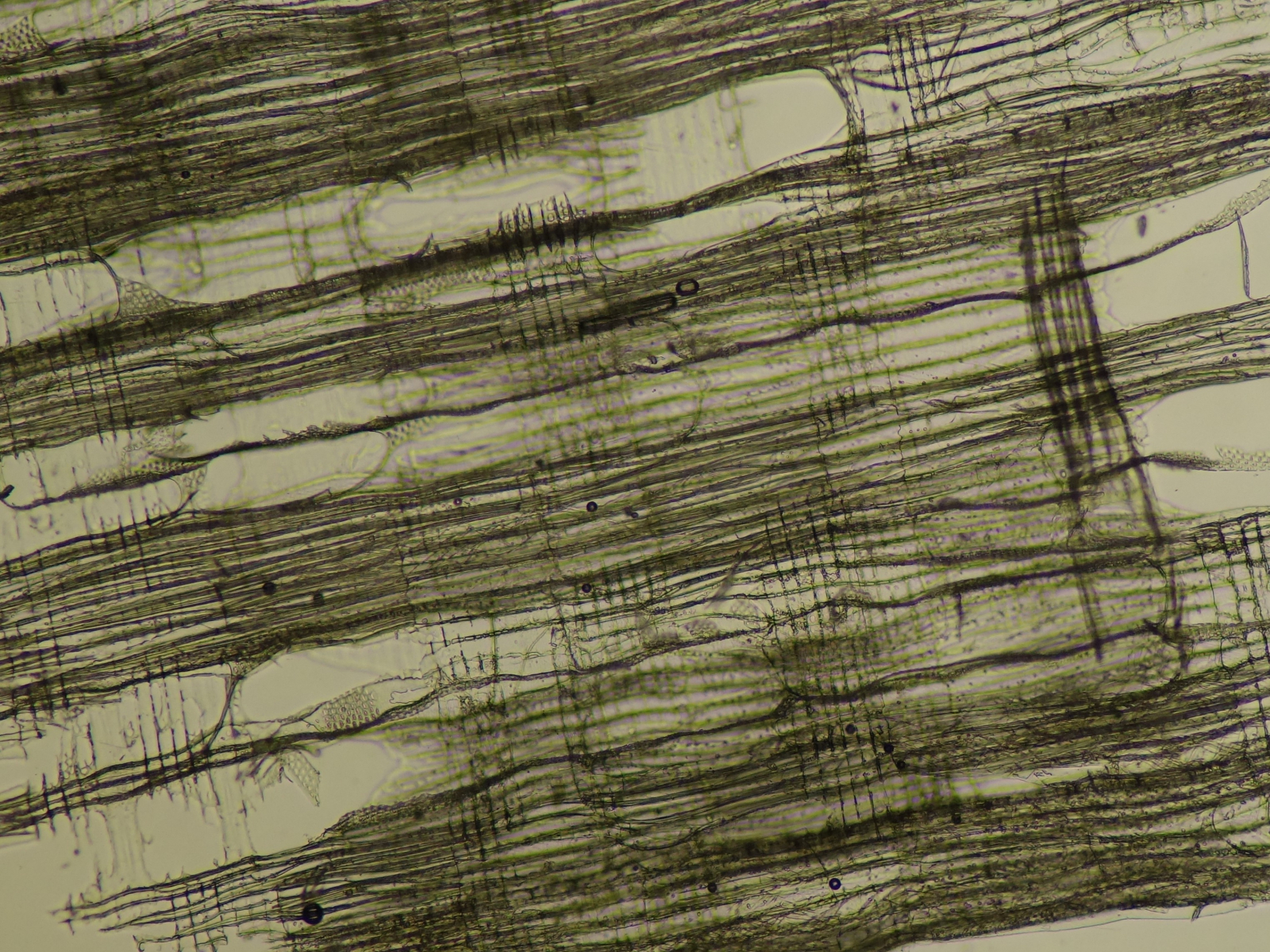
Aber die Forumssuche brachte mich zu diesem tollen Artikel von Rada hier. Ich las ihn leider erst nachdem ich ein Präparat angefertigt hatte, aber das Glück ist oft mit den Dummen und mein Stück Holz war offenbar so nass, dass ich meine Rasierklinge nicht zerbrochen habe und auf Anhieb ein recht feines Schnittchen hinbekommen hab.
quer, 100x, in H20
längs, 100x, in H20
Nach der Zeichnung von Thomas/ Bergwald im oben zitierten Beitrag ganz unten (#4) sollte es damit (zerstreutporiges?)Laubholz sein.
Das ist meine erste mikroskopische Holz- Zuordnung, von daherein bin ich über Korrekturen und Kommentare dankbar.
Falls das aber wirklich so einfach ist Nadel und Laubholz zu trennen, möchte ich gerne andere Mikroskopeinsteiger ermutigen das in strittigen Fällen auch mal zu probieren. Die Schnitte waren zumindest an meinem nassen Holz nicht schwer und sehen auch ganz hübsch aus.
* Ps: ein Bisschen habe ich euch auf die Folter gespannt, denn ich hab schon vor Ort gemerkt dass die Becherlinge keine Gyromitra sein können da zu hell, zu brüchig, zu dünnfleischig und äußerlich kleiig- ich würde sie am ehesten im Peziza (zB varia/arvernensis) Dunstkreis vermuten. Aber dazu vielleicht morgen mehr falls ich nochmal zum mikroskopieren komme. Dann werde ich mir auch die Spaltlippen noch vornehmen. Ich bin gespannt.
So long, Ogni
