Zopfiella attenuata
- Rada
- Erledigt
Es gibt 8 Antworten in diesem Thema, welches 3.358 mal aufgerufen wurde. Der letzte Beitrag () ist von nobi_†.
-
-
Starke Bilder Ralf! Wie groß ist das Cleistothecium denn etwa?
Im Titel ist übrigens ein Buchstabe zu viel
.Liebe Grüße,
Florian
-
Hallo Ralf,
Bilder nur so zum gucken sind immer was feines; erst recht, wenn es sich um solche knuffigen Cleistothecien handelt. Die Sporen sind einfach ein Träumchen.

Bitte gerne mehr solcher Bilderstrecken.

l.g.
Stefan
-
Rada
Hat den Titel des Themas von „Zopifiella attenuata“ zu „Zopfiella attenuata“ geändert. -
Starke Bilder Ralf! Wie groß ist das Cleistothecium denn etwa?
Im Titel ist übrigens ein Buchstabe zu viel
.Liebe Grüße,
Florian
Hach, ich hatte ein "i" übrig und wusste nicht wohin damit
Danke für den Hinweis.
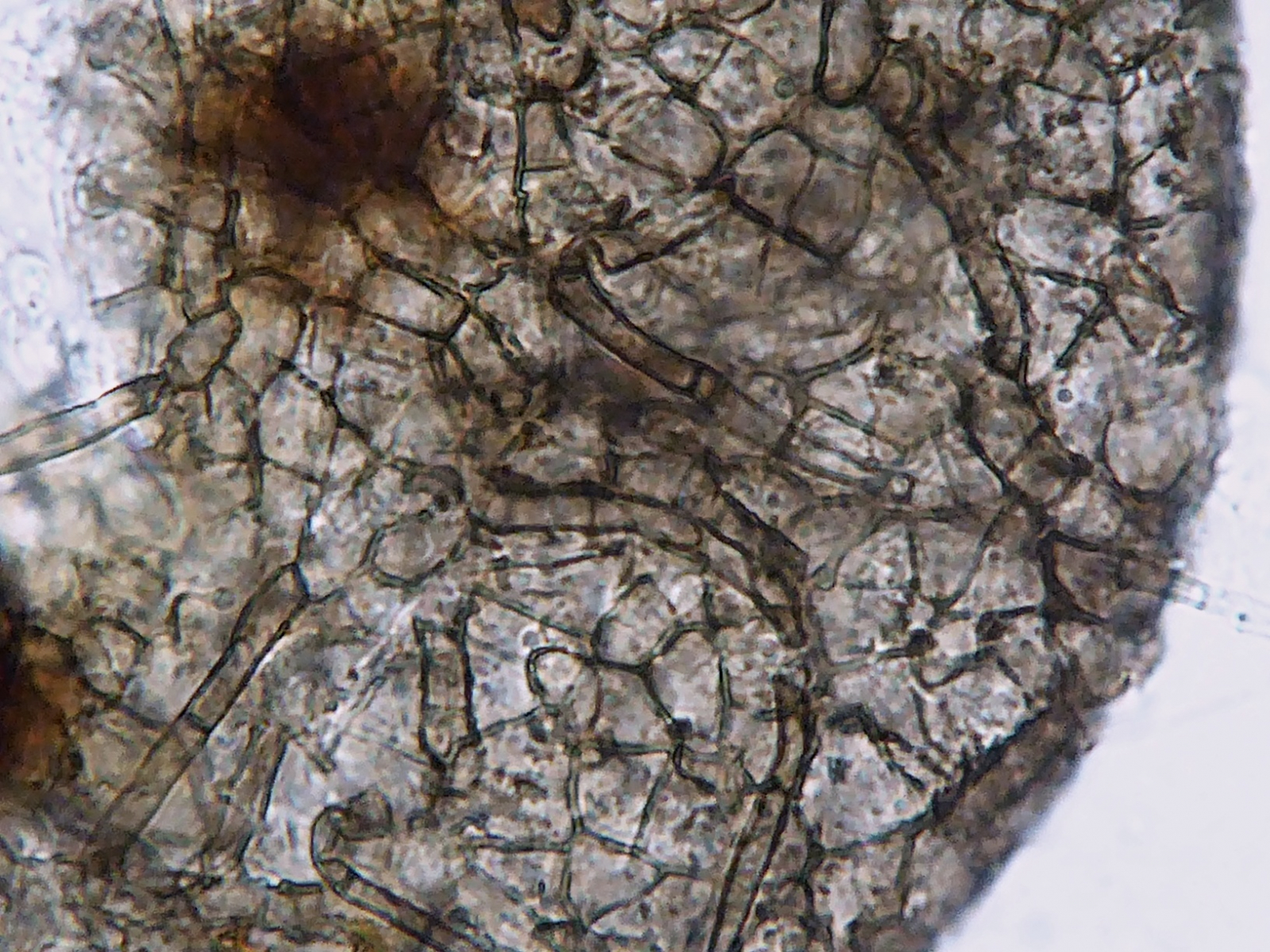
Die Cleistothecien bei meinen Funden schwanken zwischen 80 und 200 µm. Sollen nach Literatur aber auch bis 400µm groß werden. -
Mal ein paar Bildchen nur so zum kucken

Bei so einer Rarität kucke ich doch gern, Ralf, bzw. gucke ich gern, wie man außerhalb des Nordens sagt, zum Kuckuck aber auch mit der deutschen Sprache!

Möglicherweise stammt dieses Wort aus der Kindersprache und leitet sich von ebendiesem Vögelchen ab. Nur mal nebenbei.
Zurück zum Thema.
Als ich die Art 2007 mit Peter W. vorstellte (Z.Mykol. 73/2, S. 230-31) war das der Erstfund für D und auch weltweit kaum bezeugt.
Weißt Du etwas zur aktuellen Verbreitung?
Wir hatten übrigens damals die Cleistothecien mit 250-350 µm vermessen.
Toller Fund und danke fürs Zeigen!

Liebe Grüße vom Nobi
-
Alles anzeigen
Mal ein paar Bildchen nur so zum kucken

Bei so einer Rarität kucke ich doch gern, Ralf, bzw. gucke ich gern, wie man außerhalb des Nordens sagt, zum Kuckuck aber auch mit der deutschen Sprache!

Möglicherweise stammt dieses Wort aus der Kindersprache und leitet sich von ebendiesem Vögelchen ab. Nur mal nebenbei.
Zurück zum Thema.
Als ich die Art 2007 mit Peter W. vorstellte (Z.Mykol. 73/2, S. 230-31) war das der Erstfund für D und auch weltweit kaum bezeugt.
Weißt Du etwas zur aktuellen Verbreitung?
Wir hatten übrigens damals die Cleistothecien mit 250-350 µm vermessen.
Toller Fund und danke fürs Zeigen!

Liebe Grüße vom Nobi
Bei uns wird gekuckt, und nicht geguckt

Was die Verbreitung angeht kann ich nur meinen Bereich beurteilen. Hier kommt die Art gelegentlich auf dem Dung von Maus, Reh und Kaninchen vor. Gelegentlich bedeutet 11 Funde bisher. Coprophile sind ja völlig unterkartiert und so kleine werden oft nicht beachtet oder ignoriert.
-
Nachtrag:
Habe auch je einen Fund auf Hase und Pferd.
-
der Norbert guckt, oder guggd .. und das ist völlig korrekt so. Wir verwenden k, p und t nur, weil es so Mode ist, brauchen tut die keiner.

Aber ich werde jetzt auch mal die Augen offen halten ..
-
Hier kommt die Art gelegentlich auf dem Dung von Maus, Reh und Kaninchen vor. Gelegentlich bedeutet 11 Funde bisher.
Gelegentlich 11 Funde ist gigantisch viel, wenn man die bekannte Verbreitung zugrunde legt!
Coprophile sind ja völlig unterkartiert und so kleine werden oft nicht beachtet oder ignoriert.
Naja, ich beachte die schon.
Doch leider ist es mir trotz intensiver "Lobbyarbeit" in den letzten Jahren nicht gelungen, mehr als zwei, drei "Mitkämpfer" in Sachsen für dieses Spezialgebiet zu sensibilisieren. Deutschlandweit sieht es nicht viel besser aus, weswegen uns auch belastbare Angaben zur Verbreitung einzelner Arten fehlen.
Dieses Forum ist ein Glücksumstand, ohne es sähe es richtig finster aus.
