Hallo Stefan,
wie ist denn die Reaktion des Ascus und der Paraphysen auf Lugol ?
VG : Thorben
Hallo Stefan,
wie ist denn die Reaktion des Ascus und der Paraphysen auf Lugol ?
VG : Thorben
Hallo Björn,
wäre ja echt cool, wenn man den vermutlichen Bakterienbefall (Zotto vermutet auch dasselbe) bestimmen könnte.
Vielleicht könnte dieser Befall, der gleiche sein wie bei der Plicatura crispa oder zumindest die Gattung könnte gleich sein.
Leider kenne ich keinen der sich für so etwas interessiert, denn ich habe noch Material hier liegen.
VG : Thorben
Hallo zusammen,
ich möchte euch hier einen Befall zeigen, der auf Lachnum vorkommt und diese blau/violett verfärbt.
Der Befall scheint auch nicht selten zu sein, da schon mehrere Leute dies Beobachten konnten (Siehe auch hier).
Makroskopisch könnte man meinen jemanden hätte Tinte verschüttet, aber Mikroskopisch besteht dieser Befall aus Stäbchenartigen Gebilden, die in Ketten vorhanden zerfallen.
Jetzt die Frage kennt jemand von euch diesen Befall oder hat Informationen dazu ?
Konnte ihr so etwas vielleicht selber mal beobachten ?
Hier sind die Bilder:
1.
2.
3.
4.
5.
6.
VG : Thorben
Hi Björn,
mit den Sternhaaren wäre Scutellinia/Cheilymenia crucipila ein sehr heißer Kandidat.
VG : Thorben
Hallo Felli,
in der Tat, dass ist dasselbe.
Dann brauche ich jetzt nicht mehr beim Substrat suchen.
Hier auch der Link für die anderen Konidien Forsetzung Teil 9
VG : Thorben
Dank einem Hinweis von Peter Püwert ist mein Fund eine Ciboria rufofusca.
Hallo zusammen,
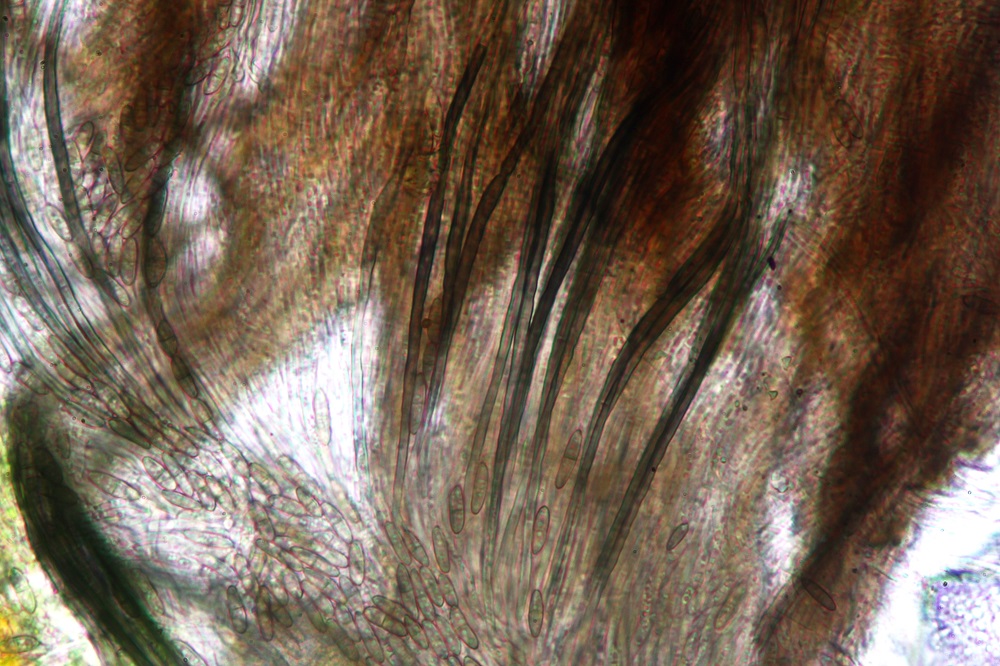
ich möchte euch hier eine Ciboria rufofusca bulgarioides (Siehe Antwort unten) zeigen, die ich in meinem Kartierungsgebiet erstmals gefunden hatte.
Der Fund stammt vom 06.06.2020 und das Substrat war ein Fichtenzapfen.
Leider ist der Frk. schon etwas älter und die Haare waren auch schon hinüber.
Hier sind die Bilder:
1.
2.
3. Paraphysen
4. Reaktion auf Lugol
5.
VG : Thorben
Hallo zusammen,
ich möchte euch hier eine Nematogonum ferrugineum zeigen.
Interessant ist bei dieses Anamorphe, dass dieser 3 verschiedene Konidien bildet (Primär-, Sekundär- und Tertiärkonidien).
Bisher habe ich diesen Pilz nur an Buchenstämmen gefunden und war dieses mal sehr überrascht, einen Fund an einem Fichtenstamm machen zu können.
Normalerweise ist der Pilz auch braun-orange, aber in diesem Fall habe ich ihn ganz jung erwischt.
Das eingesammelte Pilzmaterial hat sich nach einiger Zeit braun-orange verfärbt, weshalb ich vermute, dass die Verfärbung aufgrund von Trockenheit geschieht.
Hier sind die Bilder:
1.
2.
3.
4.
5.
6. Paar Tage später, dass Pilzmaterial verfärbt sich braun-orange
*Ab hier wurde wieder mit dem Frischmaterial gearbeitet
7.
8.
9.
*Ab hier gibt es Bilder zu dem Fund vom 02.03.2019 aus diesem Thread (hier)
10.
11.
12.
13.
14.
15.
16.
17.
VG : Thorben
Hallo Nobi,
klasse Bilder ![]()
Ich glaube auch das die Art nicht selten ist und hoffe das hier noch ein paar weitere Funde eingestellt werden.
VG : Thorben
Hallo Hans,
ein interessanter Fund und so welche gestreiften Konidien sieht man auch nicht häufig ![]()
Ich denke das ist ein Rhiopus sp. (Siehe hier).
VG : Thorben
Hallo zusammen,
am 01.05.2020 fand ich diesen Pyreno an einem Bach, an einem Ast, der mich vor einem Rätsel stellt.
Vielleicht weiß einer von euch was es ist. Auf Ascofrance habe ich auch schon angefragt, aber dort hat keiner eine Idee dazu.
Hier sind die Bilder:
1.
2.
3.
4. Paraphysen
5. 3-fach septierte Sporen
6.
7. Keine Reaktion auf Lugol
VG : Thorben
Hallo zusammen,
ich möchte euch hier einen Fund zeigen, den ich am 01.06.2020 gemacht hatte und als Orbilia rosea bestimmt habe.
Vor 3 Jahren konnte ich ebenfalls einen Fund einer O. rosea machen (Siehe hier).
Hier sind die Bilder:
1.
2. leider lässt sich hier die pinke Farbe nicht ablichten.
3.
4.
5. eine Paraphyse
6.
VG : Thorben
Hallo Björn,
das ist unglaublich was ihr alles gefunden habt ![]()
Am besten finde ich ja die Amicodisca svrcekii, die nach wie vor sich bei mir nicht zeigt ![]()
Du zeigst auch eine interessante Anamorphe, zu der ich momentan keine Idee habe.
VG : Thorben
Hallo Nobi,
die PDF ist richtig gut ![]()
![]()
Du hast recht es gibt nicht viele die sich die aquatisch/semiaquatischen Pilze anschauen, weshalb es wichtig ist diese hier oder zumindest in anderen Foren zu zeigen.
Je mehr Funde auftauchen, desto einfacher haben es andere diese Pilze zu bestimmen oder gar neue Arten zu zeigen und man kann sich noch besser austauschen.
Ich glaube auch, dass die P. lutea nicht selten ist, aber es fehlen einfach die Leute die danach suchen.
Aber ich bin mir ziemlich sicher, dass in Zukunft mehr Leute diese Art finden werden und hier im Forum zeigen werden ![]()
VG : Thorben
Hallo Hundd,
ich denke auch, dass es eine Doratomyces ist, aber ohne Mikrobilder ist das jetzt nur eine Vermutung.
VG : Thorben
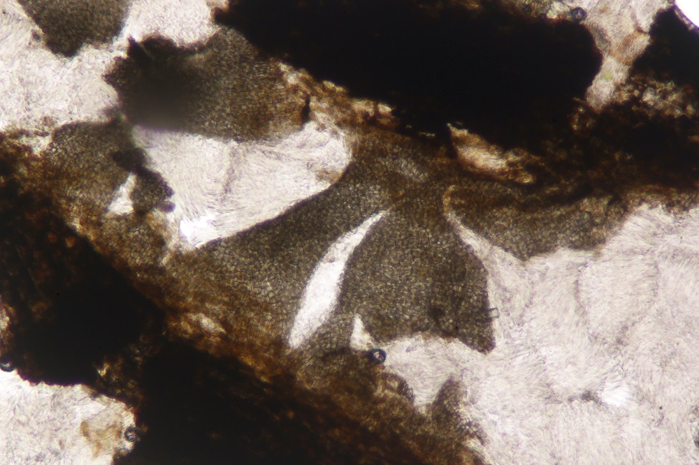
Hallo zusammen,
in diesem Thread möchte ich euch die Bactrodesmium obovatum vorstellen, die ich am 31.05.2020, an einem Ast in einem ausgetrockneten Bach gefunden hatte.
Einen Schlüssel zu der Gattung gibt es hier .
Hier sind die Bilder:
1.0
1.1
1.2
1.3
1.4
1.5
1.6
1.7 mit vielen kleinen Tröpfchen als Inhalt
1.8 oder mit großen Tropfen.
VG : Thorben
Hallo zusammen,
gestern konnte ich in einem trockenen Bach, auf einem stark zersetzten Ast, eine Pseudohalonectria lutea finden.
Einen Schlüssel zu dieser Gattung gibt es hier.
Hier sind die Bilder:
1.
2.
3.
4.
5.
6. 5-fach septiert
7.
8. Keine Reaktion auf Lugol
VG : Thorben
Hallo Stefan,
dass habe ich gemacht, aber leider ohne Ergebnis, denn es scheint noch kein Fund auf Taxus dort eingetragen zu sein.
Ich lasse das ganze Bestimmungstechnisch mal offen, falls jemand Material haben möchte, dann kann er sich gerne bei mir melden.
Mittlerweile mache ich zu jedem Fund (selten wird das vergessen) einen Beleg.
VG : Thorben
Hallo Stefan,
das hatte ich auch gedacht, aber hat Septoria Konidien die so zugespitzt sind ?
Ich denke ich werde das ganze unbestimmt lassen, müsste man eh Kultivieren und anschließend Sequenzieren, wo mein Material auch wohl schon zu alt für ist.
VG : Thorben
Hallo zusammen,
durch Zufall fand ich an älteren Fundmaterial, kleine schwarze Kügelchen, die sich dann allerdings als ein Coelomycet entpuppt haben.
Gefunden hatte ich diesen Pilz am 13.04.2020 unter der Rinde von einem Taxus.
Interessant finde ich die länglich-gebogenen Konidien, die auch gerne mal einfach septiert sein können.
Hier sind die Bilder:
1. Das Bild wurde nachträglich am 23.05.2020 gemacht
2. das weiße sind irgendwelche Insektenlarven
3.
4.
5.
6. in der Mitte einfach septiert
VG : Thorben
Hallo zusammen,
ich möchte euch in diesem Thread eine unbekannte Gibberella sp. mit Anamorphe Fusarium sp. zeigen, die ich am 23.05.2020 an einem Ast von einem Taxus gefunden hatte.
Eine Gibberella pulicaris ist das nicht, denn dazu gehört Fusarium sambucinum als Anamorphe, die wiederum nicht zu meinem Fund (nur 1-3 fach septiert) passt.
Hier sind die Bilder:
1.
2.
3. weißer Belag sind die Konidien
4.
5.
6. Konidien 1-3 fach septiert
9.
8. meistens einfach septiert, manchmal auch 2-fach septiert
9. keimende Sporen
10.
VG : Thorben
Hallo zusammen,
interessante Pilze die hier gezeigt werden, da werde ich auch mal danach Ausschau halten.
VG : Thorben
