Hallo!
Zwischendurch muss man auch mal Banales anschauen:
Pyrenopeziza petiolaris (Blattstiel-Einsenkbecherchen).
Dieser Becherling ist eigentlich momentan beinahe mit Ansage zu finden. Man nehme vorjährige liegende Blätter von Berg-Ahorn, und da sollte er auch relativ schnell an den Stielen zu finden sein.
Durch das momentan regnerische Wetter begünstigt, müsste er dann auch recht weit ausgebreitet sein.
Die Art kann seltener auch andere Blätter besiedeln. Ob es tatsächlich jedesmal die gleiche Art ist, weiß ich noch nicht so recht.
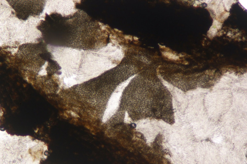
Auffällig ist die schwarzlackierte Blatt-Epidermis des Substrates dort, wo sich der Becher zunächst schiffchenförmig durch die Blattzellen schiebt.
Mikro:
Viele Grüße
Ingo W
