Hallo ihr lieben,
wie der "Zufall" so spielt hat sich Rico, ein Teilnehmer unseres Altmühltreffens,
Artenexplosion im Altmühltal oder aber kleines aber feines Treffen von Naturfreunden
zu einem Besuch ins Osterzgebirge angekündigt. Er wollte gezielt Standorte bestimmter Alchemillen (Frauenmäntel) ansteuern, die in Deutschland quasi nur hier vorkommen. Er bearbeitet die Gattung. Natürlich habe ich die Chance genutzt, denn in letzter Zeit komme ich leider nicht mehr so häufig "raus". Zudem ist es immer toll mit so einem versierten Botaniker unterwegs zu sein, denn ich kann ihn mit Fragen löchern. ![]()
Treffpunkt war Altenberg an den Galgenteichen. Immer wieder gab es spannende Säume, teilweise an Wasserläufen zu bestaunen. Diese Artenvielfalt war erstaunlich.
Es ging auch gut los: Dactylorhiza cf majalis - Breiblättriges Knabenkraut
Achillea ptarmica - Sumpfschafgarbe kannte ich noch gar nicht
Kleiner Klappertopf - Rhinanthus minor
Blick auf den See
Eine von Ricos Lieblingspflanzen, der Moorklee - Trifolium spadiceum sehr selten; musste einfach fotografiert werden, weil er zu Ricos Lieblingspflanzen gehört
Rico ist fündig geworden. Er hat erst Mal zu tun.
Zeit für mich mal ein Doku-Bild zu machen, warum dieser Pilz so heißt, wie er heißt. Knopfstieliger Rübling - Gymnopus confluens
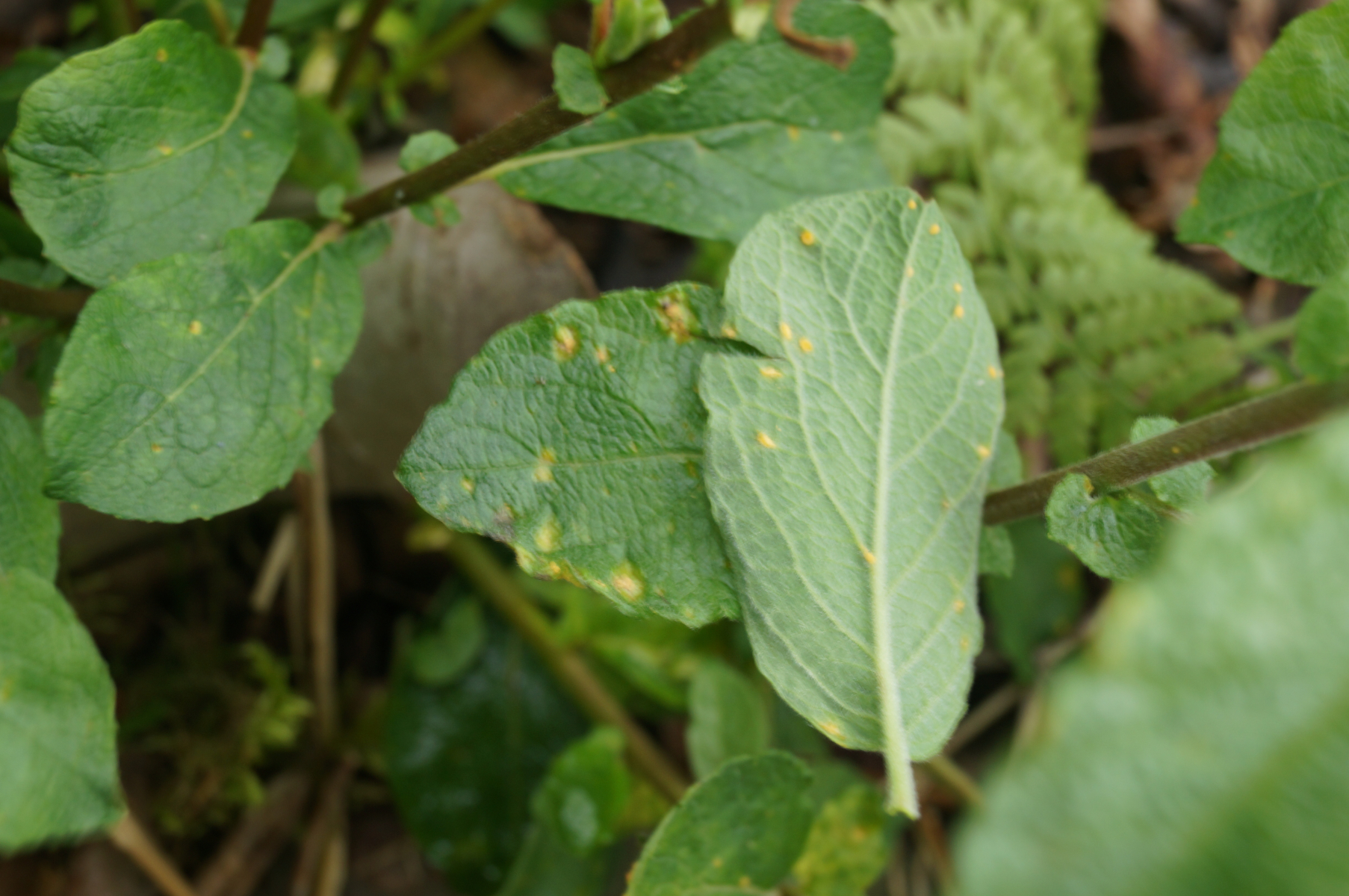
Das Doppel-Spec. Melampsora spec. auf Salix spec. ![]()
![]()
mein erster dieses Jahr und dann noch so hübsch ![]()
auch immer ein dankbares Fotomotiv
blühende Wollgräser
Fuchs Knabenkraut - Dactylorhiza cf fuchsii
Das war für uns beide eine Überraschung: Birngrün - Orthilia secunda
Name ist Programm Viola tricolor
Hier musste mich Rico erst darauf aufmerksam machen, dass das was seltenes ist. Ich kenne die Pflanze schon ein paar Jahre. Nur im Erzgebirge häufig; Aromatischer Kälberkropf - Chaerophyllum aromaticum
Aufrechtes Fingerkraut, Blutwurz - Potentilla erecta
Auch eine kleine Schönheit: Perückenflockenblume - Centaurea pseudophrygia ist auch typisch für das Erzgebirge
Die Distel das Tages darf natürlich nicht fehlen. ![]()
Mein Erstfund der Art Carduus crispus - Krause Distel ist sie nicht süß? ![]()
Selbstverständlich mit Rost dran. Ist überflüssig zu erwähnen, dass das auch ein Erstfund ist. Ich tus aber trotzdem. ![]()
Puccinia carduorum
Als Abschluss mit besonderem Gruß an Tricholomopsis Safrangelber Scheidenstreifling - Amanita crocea
Bei bedanke ich mich für die virtuelle Begleitung und bei Rico für den schönen und lehrreichen Tag. Viele Pflanzen, die ich hier vorstelle, kannte ich bis heute noch nicht. ![]()
l.g.
Stefan
