Hallo
Habe gerade das hier gefunden und keine Ahnung weil ohne Asci bzw. Basidien!
Auf altem Wildschweindung
Frk mit Stiel
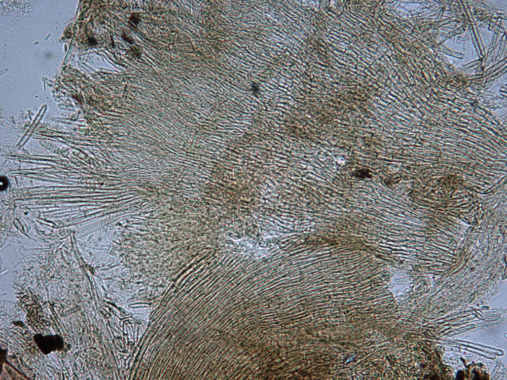
Hyphen langzylindrisch und am Ende mit verjüngenden fein inkrustierten Haaren
Haare zuerst deutlich dunkler
Haare durch ablösende Inkrustation deutlicher
leider keine Asci oder so gesehen
einige Sporen gesehen, würde ich aber nicht hierzu Einordnen.
Beste Grüße Hans
