Hallo!
Noch ein Eike-Pilz.
Hat er auf einen Stück Weidenholz gefunden.
Die Art wächst eigentlich gerne sumpfig, Eike hat sie aber an einer nichtsumpfigen Stelle gefunden, vielleicht ist das Wachstum begünstigt durch den Dauerregen der letzten Zeit.
Nennt sich Hymenoscyphus imberbis (Bärtiges Stielbecherchen).
Der Komplex um imberbis ist auch so ein Wespennest, irgendwie scheint sich die Art auseinanderzuentwickeln.
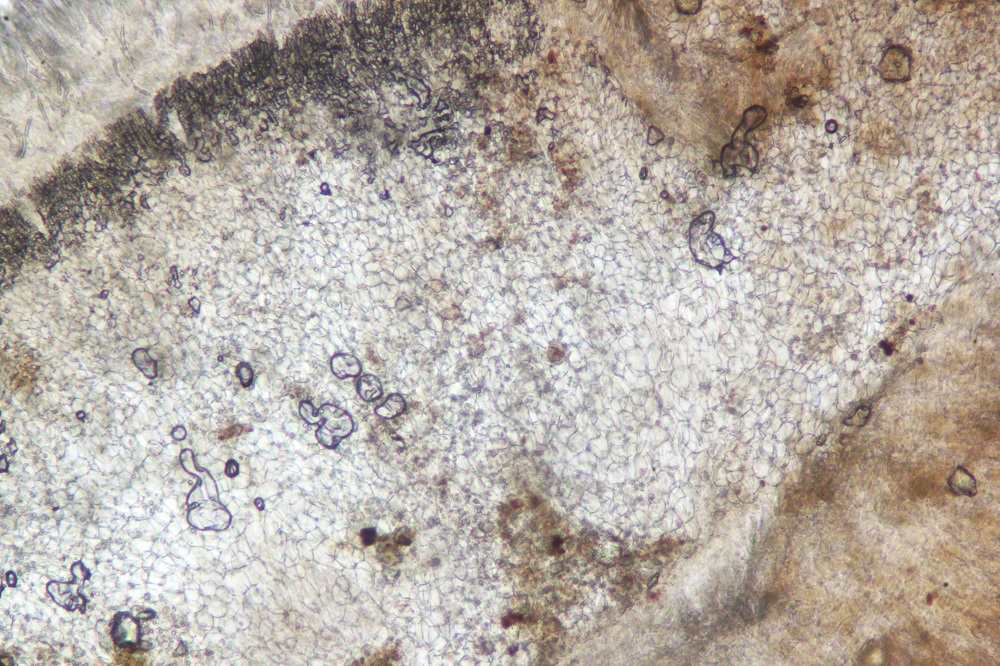
Ein ordentlicher H. imberbis hätte nämlich Inhalt in den Sporen (mindestens 2 kleine Tropfen, jeweils einer pro Pol, oft nicht auf der Längsachse liegend), dieser Becher hier ist völlig ohne Sporen-Öl, auch älter(?) und gerötet nicht.
Da gibt es aber noch mehr Zwillinge: welche mit kleineren Sporen (H. amyloideaexcipulata und H. rufescens), welche mit richtig viel Öl (H. kathiae), welche mit Haken, welche ohne, welche auf Nadelholz, welche auf sämtlichen Holz, bestimmt auch welche, die nur bei Vollmond wachsen.
Naja, hier haben wir jetzt also einen völlig ohne Öl aus unsumpfigem Gelände, bekommt eben auch er wieder einen Namens-Zusatz.
Ansonsten fällt der Art-Komplex auf durch zunächst weiße, später gelbe, oft kurz fettstielige Apothezien, welche bei Verletzung röten/bräunen und eben gern im nassen Millieu zu Hause sind.
Ihre Stielbasen färben wahrscheinlich allesamt blau mit Lugol.
Mikro:
VG Ingo W
