The population was found growing on the bark of Quercus ilex, close to a stream of water. Ascocarps 3-10 mm across, black hair (c 1.5 mm) longest on the rim and also present on the lower surface, but shorter and less dense. Scutellaria scutellata is my first guess but maybe there are other species to be considered. Specimen collected and in the refrigerator. I can check spores and measure the hairs tmrw. Many thanks
Are there other Scutellaria species to be considered (Scutellaria scutellata)
- Steve_mt
- Erledigt
Es gibt 5 Antworten in diesem Thema, welches 1.447 mal aufgerufen wurde. Der letzte Beitrag () ist von Steve_mt.
-
-
-
Lovely : love: - I investigate further today. Many thanks
-
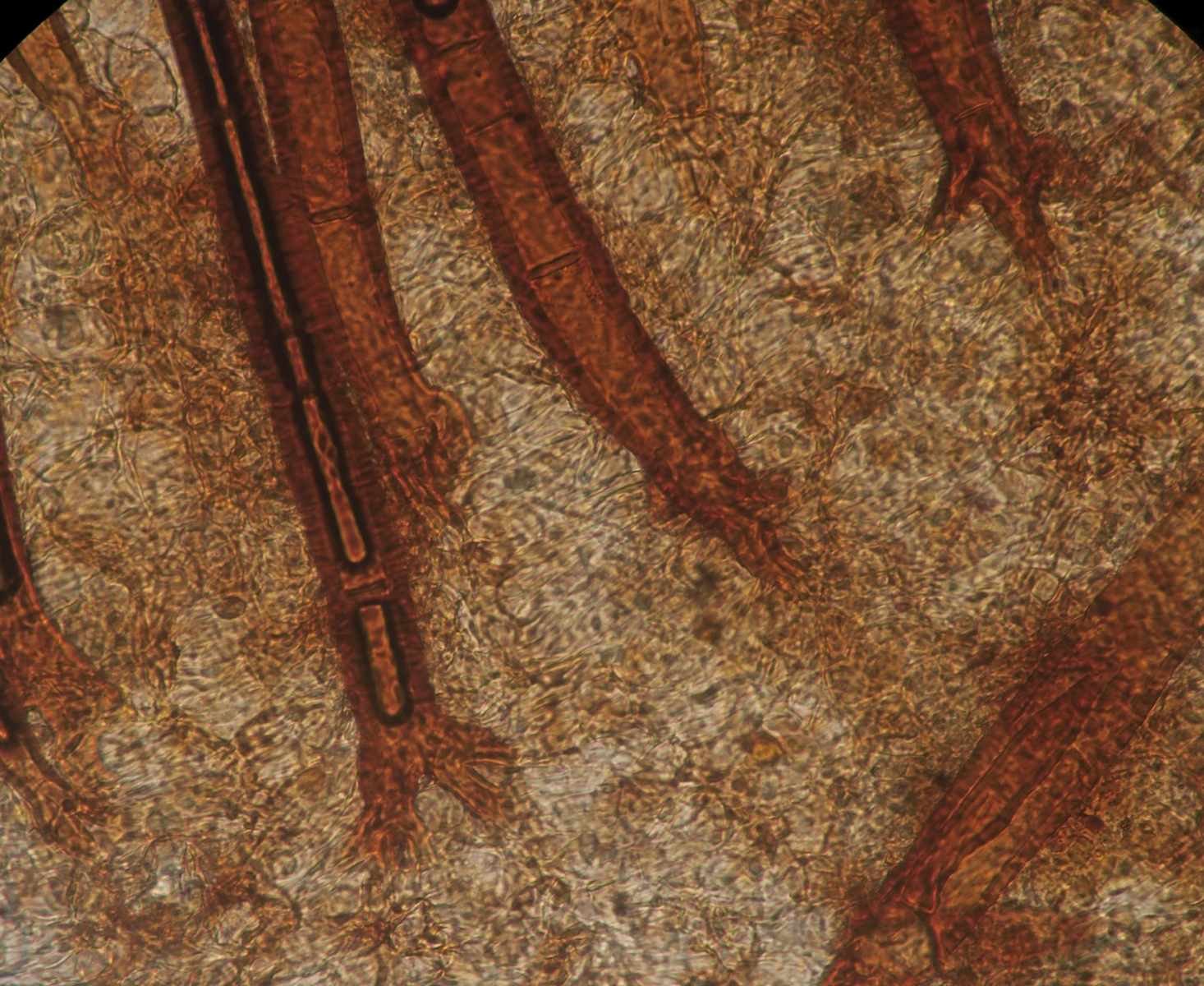
I have investigated this Scutellina, and I need some opinions and help. The hairs are in the range of 500-800 um, with some reaching 950 and exceptionally almost 1100um. The root of the hair is either single, or divided into two unequal roots, the main one being bulbous, and exceptionally I saw (if my eyes are good) roots divided into 3-5 parts (multifurcate)
The spores are ellipsoid-fusiform, Q c. 1.5, 16-18 x 1.1-1.2 um (spores measured out of the asci) with broad rounded ends
Now what about the ornamentation. Tricky! In my opinion, they are minute warts sometimes forming short ridges (crests) that do not form a distinct net and smaller / shallower from 0.5um.
Applying the key, I can have S. setosa if the spores are judged smooth (but I don't think so) ; S. macrospora if the ornamentation is judged finely punctate (but seems to have a Q of > 1.8). If agreed that all hairs are < 1200um (the longest I found was 1080) an on average > 500 um (then couplet 16) and we have S. vitreola, S. olivascens and S. olivascens var. minutispora, with the last two having spores bigger then in my specimen. To be honest I am not very convinced.
From the Scutellina figures of this key, I liked most S. crinita, where its spore size and ornamentation (micro warts and micro crests) matches very nice, and also the bi to multi furcation of the hairs.
S. crinita
S. vitreola
-
From the Scutellina figures of this key, I liked most S. crinita, where its spore size and ornamentation (micro warts and micro crests) matches very nice, and also the bi to multi furcation of the hairs.
Yes, I also think that you've found Scutellinia crinita, Steve!

One of the commonest species in this genus.
Scutellinia scutellata seems to be a rare species, often misinterpreted.
Kind regards, Nobi
-
Thank you Nobi for your comment

I try to photograph the spores with the zeiss phototube for my EOS SLR camera and Zeiss microscope because I have a delivery note that it arrived at the post office. The images above are with a digital camera through the eyepiece.
LG
Steve
