Hallo zusammen,
die Woche über war ich auf einer Konferenz über Quantenthermodynamik in Mailand. Dabei gab es zum Glück auch etwas Zeit um sich die Stadt anzuschauen. Und wenn man dann in den kleinen Parks unterwegs ist, bleibt es nicht aus, daß man auch Phytoparasiten findet:
1. Ramularia parietariae ex Parietaria officinalis
2. Entyloma bellidis ex Bellis perennis
3. Peronospora ficariae ex Ficaria verna
4. Ein falscher Mehltau auf Stellaria. Leider bin ich mir bei der Pflanze nicht sicher, welche Art es genau ist.
5. Protomycopsis bellidis ex Bellis perennis
6. Ich denke, daß es sich hier um Phragmidium mexicanum ex Potentilla indica handelt.
7. Das dürfte wohl Neoërysiphe galeopsidis ex Lamium sp. sein. Ich hab aber keinen Beleg eingepackt, weil Appressorien keinen Spaß machen
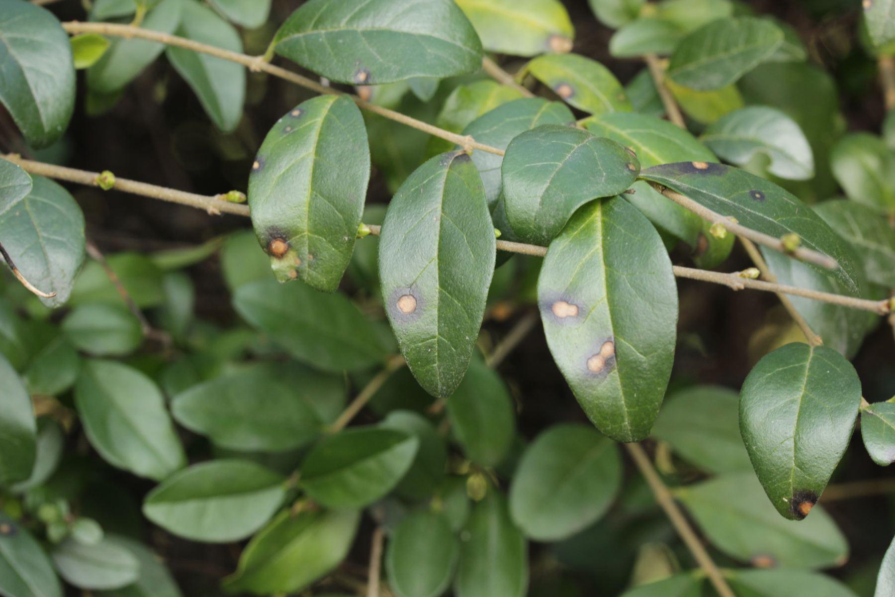
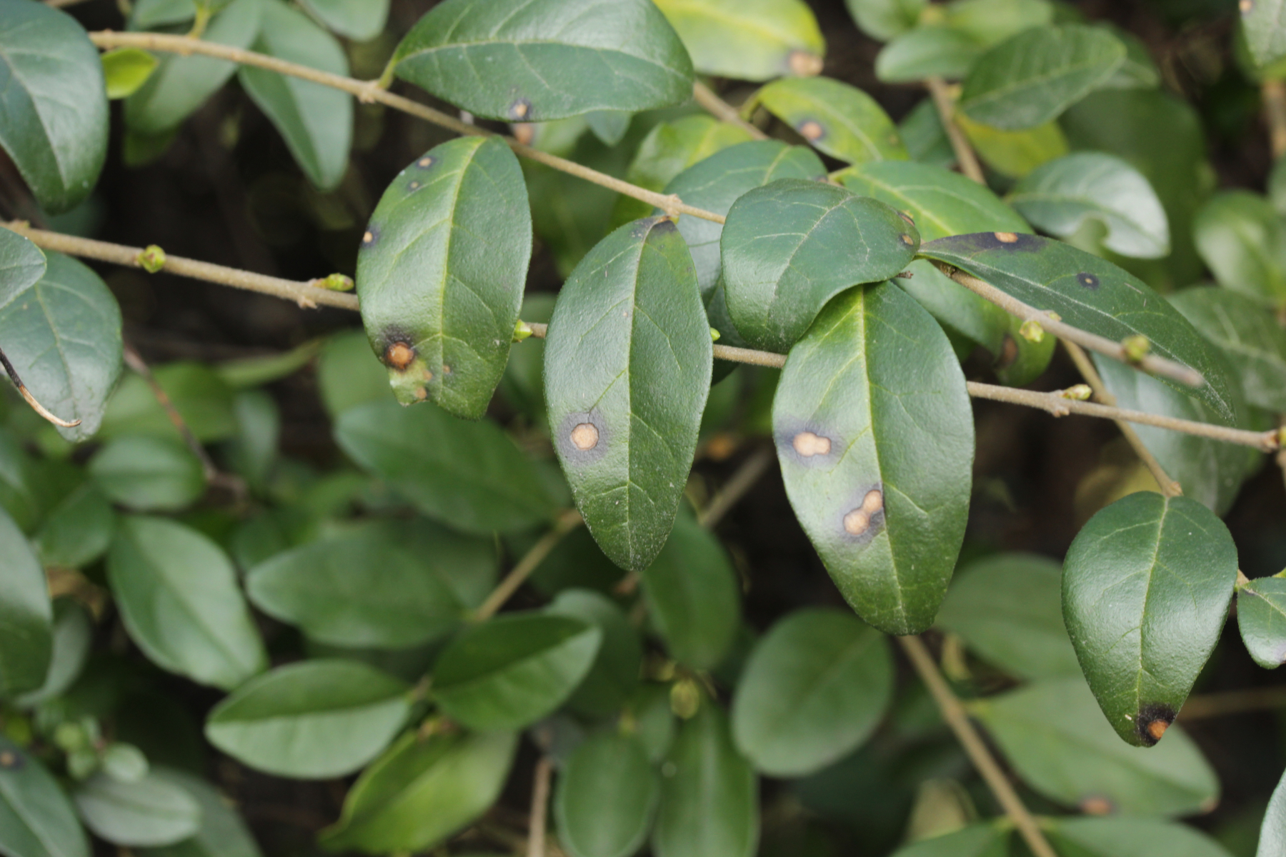
8. Thedgonia ligustrina ex Ligustrum vulgare
Björn
