Hallo zusammen,
am Sonntag ging es mit dem APR zur letzten Exkursion des Jahres auf die Halde Hoppenbruch und den angrenzenden Waldfriedhof. Dabei kamen am Ende im dauerhaften Regen immerhin gute 100 Arten für die Fundliste zusammen, von denen ich hier einige vorstellen möchte:
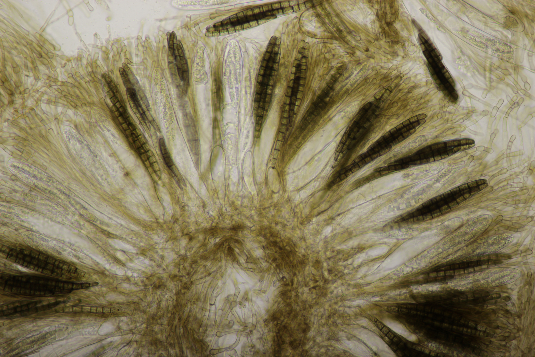
1. Geoglossum cookeanum
2. Cuphophyllus virgineus
3. Pithya cupressina
4. Helvella crispa
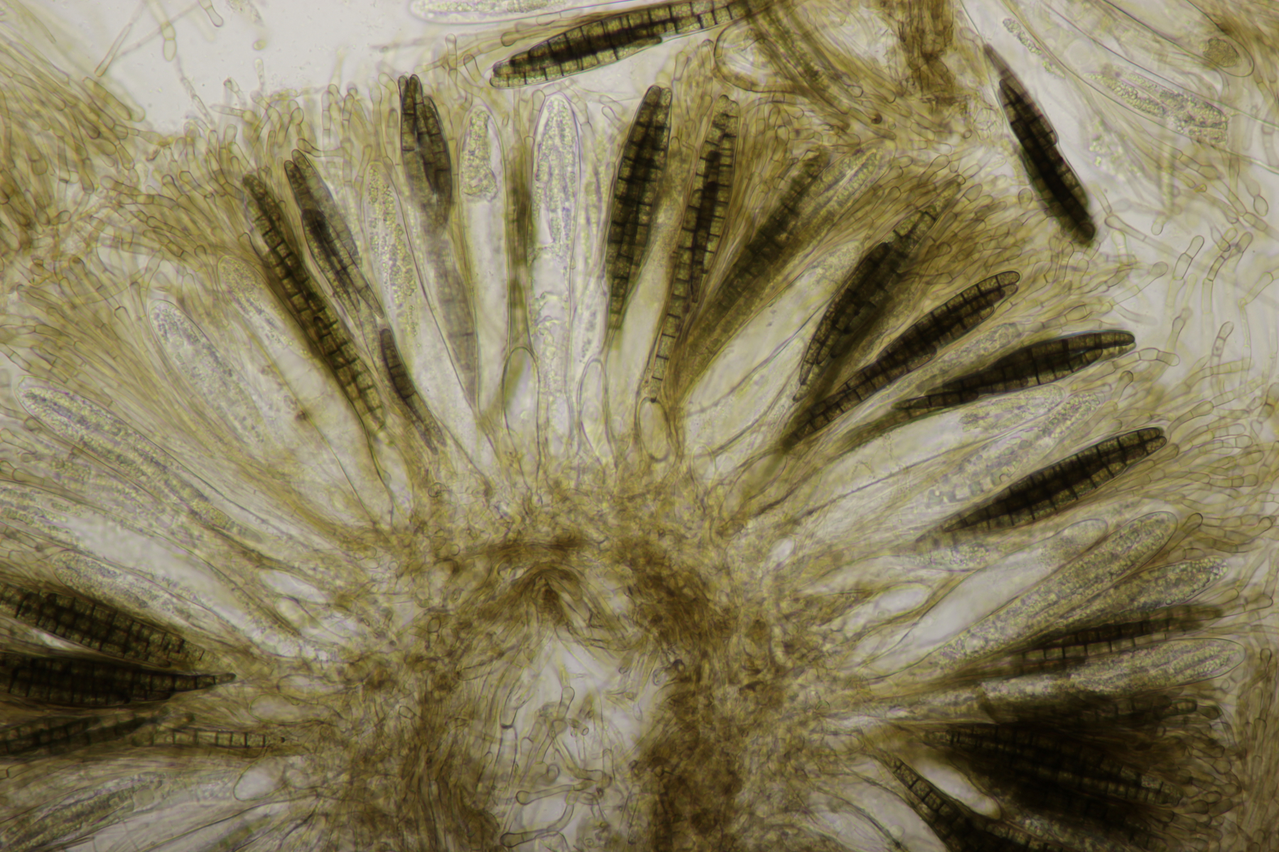
5. Nochmal Geoglossum cookeanum von einer anderen Stelle
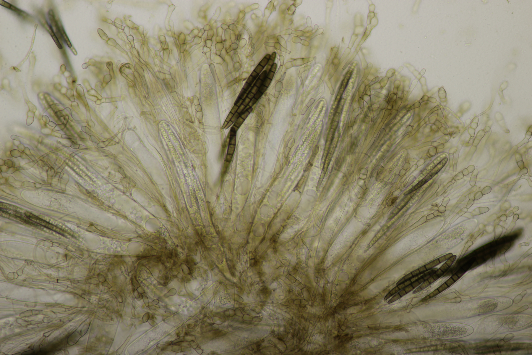
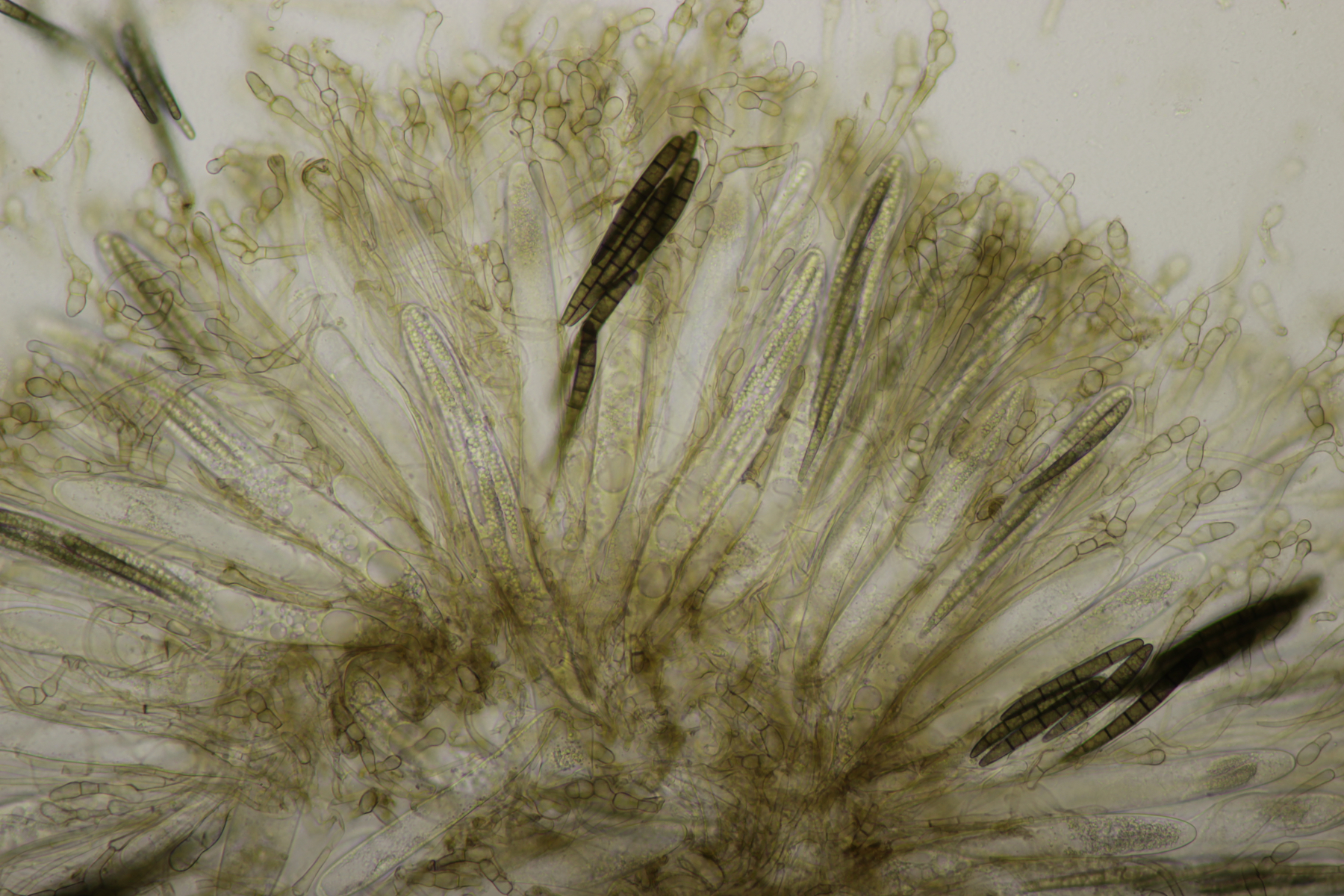
6. Neotiella rutilans
7. Eine unbekannte Anamorphe auf Kirschlorbeer. Hübsche Sporen hat sie ja...
8. Vuilleminia comedens auf Quercus robur
9. Cyclaneusma niveum auf Schwarzkiefer, Sporen bis 105 µm lang
Björn
