Hallo Dungifreunde
Ein Glücksfund zuerst Wildschweindung und später jetzt auch auf Damwild in meiner Zuchtkiste!
Frk. gesellig, auf Wildschweidung
Zellen im oberen Randbereich
junge Frk. schlank töpfchenförmig und lange mit olivton
auf Dung von Damwild, Frk. ca. 2,5 mm groß, Basis mit langen Ankerhyphen
Zellen im Außenbereich
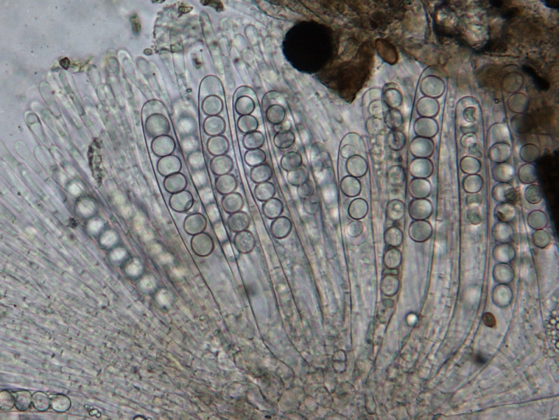
Asci und Paraphysen
Paraphysen
Asci: 8- sp, bis 220 x bis 22 µm
in Baumwollblau z.T. warzig erscheinend! (Hüllreste?)
Sporen: 14,1 - 16,6 x 11,6 - 13,2 µm, Sporen: glatt in Wasser
Sporen: mit gelatinösem Umfeld!
Sporen: jung rundlich,
Sporenoberfläche: ohne Streifung!
Paraphysenspitzen in Lugol oliv
Liebe Grüße
Hans
