N'abend,
eine habe ich noch. Wieder vom Hof, von der Saunatür, die aus diesem Jahrtausend stammt und eigentlich nicht zu den typischen Substraten gehört - mit Ausnahme der sehr schnellen Pionierart Mycocalicium subtile. Sehr klein, bis 0,3 mm hoch, mit bloßem Auge kaum zu sehen, wären da nicht diese Büschel. Das Brett ist Kiefer und ziemlich harzig (deswegen farbecht erhalten im Vergleich zu Fichte rechts und links davon), weswegen ich beim Schlüsseln auch die Arten auf Harz, harzigem Holz einbezogen haben - nur haben die fast alle unseptierte Sporen. Es könnte, wie auch auf dem Haus Ch. debilis sein, nur eben mit abweichender, krass verzweigter Wuchsform.
Makrofotos vor Ort, es gibt auch einzelne ganz normale Nadeln mit nur einem Kopf, aber eben auch sehr viele solche Büschel
Auflicht
Wasser
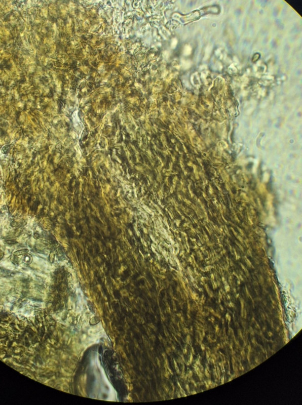
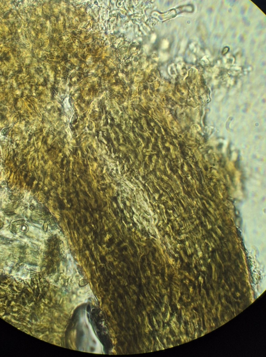
Stiel
Asci, uniseriat, Sporen teils schräg angeordnet, 40-50*4 µm
teils mit erkennbarem Kanal in der Ascusspitze
Sporen überwiegend septiert, meist ziemlich deutlich, daneben aber auch kürzere unseptierte, 5,5-8*2-3 µm
Auch der kriegt erst mal keinen Namen außer "11", wobei debilis schon in Frage kommt.
LG, Bernd
