Hallo zusammen,
am vergangenen Freitag ging es für mich vormittags zu einer kleinen Runde über die Ölgangsinsel in Neuss. Da hatte ich letztes Jahr schon einige nette Phytoparasiten gefunden. Die zeigten sich auch dieses Jahr wieder:
1. Puccinia phragmitis ex Rumex cf. obtusifolius
2. Puccinia symphyti-bromorum ex Symphytum officinalis
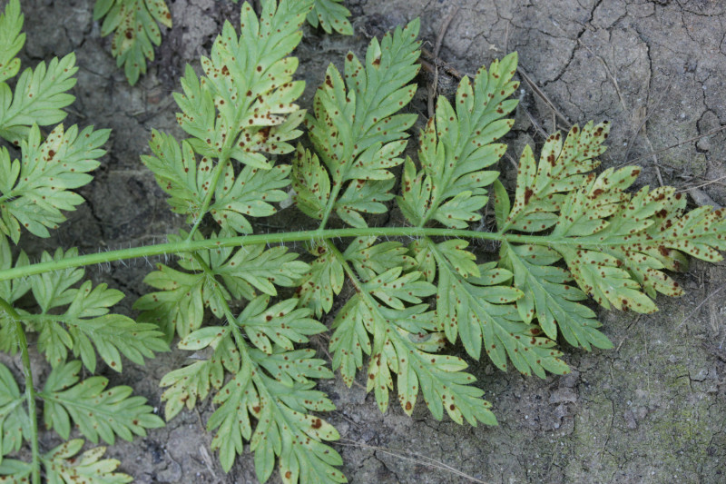
3. Puccinia retifera ex Chaerophyllum bulbosum
4. Albugo candida s.l. ex Capsella bursa-pastoris
Am Nachmittag ging es dann noch weiter in den Duisburger Stadtwald:
5. Cantharellus cibarius
6. Dorcus parallelipipedus
Björn
