Beiträge von coprinusspezi
-
-
Hallo
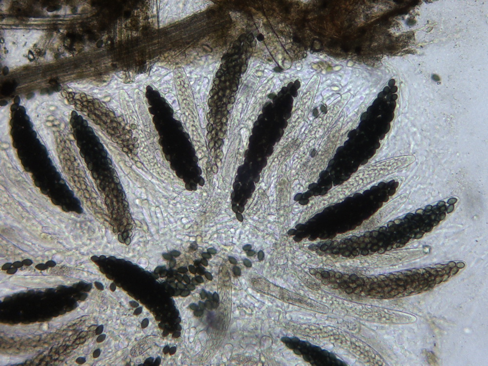
Auf Kaninchendug finde ich gerade 3 verschiedene Sordarias!
Sordaria fimicola, Sordaria macrospora und eine Art mit kleinen Sporen wobei ich da bei der Bestimmung bei Sordaria gaundaensis lande!
Sordaria fimicola
Sordaria macrospora
Sordaria gaundaensis
Sporen: 15,6 - 19 x 11,5 - 12,5 µm
Liebe Grüße Hans
-
-
Hallo
Ach, das ist mir noch gar nicht aufgefallen!
Dann hoffe ich mal, daß das jetzt auch stimmt!
Frk. gequetscht
Sporenkluster: 27,5 - 33,3 x 6,5 - 6,7 µm, bzw. unten 38,3 x 7,6 µm
Asci schon gestreckt,
Liebe Grüße Hans
leider doch nur minima, schade!
gut das du aufgepasst hast Karl.
Danke
-
Hallo Nobi
Danke für die Bestätigung
u.a. kamen da noch . . .
Coprinellus_pusillulus
Coprotus_niveus
Iodophanus_carneus
Lasiobolus_cuniculi
Saccobolus_versicolor
Sordaria_humana
Sporormiella_minimoides
Thelebolus_dubius var. dubius
Thelebolus_polysporus
Frk. bis 68 x 53 µm, Sporen: 6,5 - 6,7 x 3,3 - 3,7 µm
Liebe Grüße Hans
P.S. die Dinger murmelten in der Tüte nicht, die knickerten!
-
Hallo
Heute auf Dung von Damwild aus dem Depot vom 10.08.22!
Der Dung hatte in der Tüte beim Einsammeln die Geräucheigenschaft so hart wie Erbsen oder Knickern.
Frk. auf Dung von Damwild
Sporen: 9,7 - 10,4 x 5,3 - 6,1 µm
Nachdem ich diese Art jetzt hin und wieder mal gefunden habe, denke ich, daß es diese sein sollte.
Liebe Grüße Hans
-
Hallo Björn
Danke für den Schlüssel aber das ist mir zu schwierig mich da fest zu legen!
Liebe Grüße
Hans
-
-
Hallo Nobi
Das der Pilz so selten ist, könnte daran liegen, daß es eine sehr wärmeliebende Art ist.
Auf dem Balkon im zweckentfremdeten Aquarium war es zu dieser Zeit teilweise 30 °
Es wuchs fast nichts außer ein paar Tintlinge.
Nur so als Hinweis.
Liebe Grüße Hans
-
-
Liebe Maren
So wie das aussieht, passt es nirgendwo.
Mit den auffälligen dickwandigen Velumzellen sollte der schon irgenwo zu finden sein.
Da wird dir dann nichts anderes übrigbleiben als den Fund neu zu beschreiben.
Am besten Sequenzieren lassen dann weißt du mehr!
herzlichen Glückwunsch dazu
Hans
-
-
-
Hallo Maren
So wie ich das einschätze, liegst du mit der Bestimmung richtig.
Die längeren Zellen auf Bild 4 und das Letzte Foto haben mit dem Velum nichts zu tun und sind wahrscheinlich Zellen der Trama.
Glückwunsch
Hans
-
Hallo Matthias
War nur so eine Idee von mir eher rein makroskopisch!
In den Warmhäuser könnten noch viele Überraschungen zu Tage treten.
Grüße Hans
-
Hallo Matthias
Hattest du den 4. Lepiota sp ("rubrostriata") (#9294)
mal auf Leucoagaricus untersucht?
Liebe Grüße Hans
-
Hallo Felli
Leider habe ich das nicht gemacht mit dem Lgol!
Das mit dem Kern umd 2 Glykogentropfen sehe ich auch so.
Wenn dir dazu was einfällt wirst du dich ja melden!
Danke und bleib gesund
Hans
-
Hallo Nobi
Für den Fall der Fälle habe ich davon ein Exsikkat!
Die Paraphysen sind eigendlich typisch und mit diesen gelben Tröpfchen gefüllt, leider nicht so gut darstellbar.
Danke
Liebe Grüße Hans
-
Hallo
Auf älterem Dung von Damwild (Zucht) fand ich hier diese Beiden!
Einen einzelnen Coprotus Frk., der schon durch seine Größe auffiel! (ca. gut 1 mm)
Die mikroskopischen Merkmale würden am ehesten auf Coprotus luteus passen!
Da ich den selber noch nicht gefunden habe und der wohl selten vorkommt, möchte ich den hier mal zur Diskussion stellen.
Asci: 110 x 10,3 µm
Sporen: 10,3 - 11,2 x 5,0 - 6,5 µm
Desweiteren eine 4-sporige Art, die aber wohl nichts mit Coprotus tetrasporus zu tun hat.
Leider habe ich da keine Idee!
einen Frk. habe ich nicht gesehen!
Sporen: 16,4 - 16,8 x 9,5 - 10,3 µm
Liebe Grüße Hans
-
Hallo
Hier die vorerst letzten Funde von Gänsedung von Insel Föhr. Wie schon angesprochen, war Iodophanus carneus mehrfach vertreten,
Sporen: 17,6 - 18,9 x 8,9 - 10,3 µm
Von 2 Funden hatte ich mir im Urlaub Exsikkate gemacht und als Coprotus/Iodophanus getrocknet und eingetütet.
Bei der Untersuchung war ein Fund eindeutig I.carneus zuzuordnen.
Ein Exsikkat, vermutlich was zu diesen Fund gehört, hatte mir unbekannte Sporen!
Ich wüsste jetzt aber nicht, wo ich sowas einordnen sollte?
Sporen ausgereift = 21,6 - 26 x 10,1 - 13,1 µm
Hat da jemand eine Idee?
Liebe Grüße Hans
-
Hallo
Hier die häufigste Art auf dem Gänsedung =Ascobolus brantophilus.
Ich hatte sie im Gelände zuerst fälschlicherweise als A.albidus angesprochen und Zuhause beim mikroskopieren erkannt!
Natürlich auch dank unserem Pilzforum.eu
Bis vor kurzem war mir diese Art nicht geläufig.
Frk. erinnern an Ascobolus albidus
Sporen: 19 - 21,2 x 8,9 - 10,5 µm
Es gab auch noch andere normale Arten wie: Sordaria minima
der Podospora setosa
mit entsprechenden Haaren
Liebe Grüße Hans
-
Hallo Matthias
Da dürften sich sicher noch oder wieder welche finden lassen!
Kannst mir ja mal deine Anschrift geben.
Liebe Grüße Hans
-
Hallo Nobi
Der vermeintliche Coprotus?, Iodophanus? (Bild 2, rechts unten) sieht auch interessant aus.

Diese hatte ich als Iodophanus carneus angesehen, ich habe sie noch des öfteren auf dem Dung!
Viele Grüße Hans
-
Hallo
Eine weitere neu Art für mich auf Gänsedung von der Insel Föhr!
Da diese Art in Pilze Deutschland´s noch nicht eingetragen ist,
erlaube ich mir obwohl hier gerade erst als 1 Fund eingestellt, weitere Bilder davon zu zeigen.
Frk. von blaß rosa bis lila
Asci 4-sporig
in Kongorot
Sporen: 18,9 - 21 x 8 - 10,5 µm, reif warzig erscheinend, Hülle ablösbar!
Liebe Grüße Hans
-
Hallo
Ein weiterer Pilz auf Gänsekot von der insel Föhr!
In Abwägung der Merkmale zwischen den am nächsten stehenden Arten würde ich hier Ascobolus stictoideus zu sagen wollen!
Sporen: 28 - 30 x 14 - 16,5 µm, vielleicht etwas zu groß?
ob die Ablösung des Perispores so auch sein darf weiß ich nicht so genau!
weitere Arten folgen!
Liebe Grüße Hans
